Spandidos Publications Logo
  • About
    • About Spandidos
    • Aims and Scopes
    • Abstracting and Indexing
    • Editorial Policies
    • Reprints and Permissions
    • Job Opportunities
    • Terms and Conditions
    • Contact
  • Journals
    • All Journals
    • Oncology Letters
      • Oncology Letters
      • Information for Authors
      • Editorial Policies
      • Editorial Board
      • Aims and Scope
      • Abstracting and Indexing
      • Bibliographic Information
      • Archive
    • International Journal of Oncology
      • International Journal of Oncology
      • Information for Authors
      • Editorial Policies
      • Editorial Board
      • Aims and Scope
      • Abstracting and Indexing
      • Bibliographic Information
      • Archive
    • Molecular and Clinical Oncology
      • Molecular and Clinical Oncology
      • Information for Authors
      • Editorial Policies
      • Editorial Board
      • Aims and Scope
      • Abstracting and Indexing
      • Bibliographic Information
      • Archive
    • Experimental and Therapeutic Medicine
      • Experimental and Therapeutic Medicine
      • Information for Authors
      • Editorial Policies
      • Editorial Board
      • Aims and Scope
      • Abstracting and Indexing
      • Bibliographic Information
      • Archive
    • International Journal of Molecular Medicine
      • International Journal of Molecular Medicine
      • Information for Authors
      • Editorial Policies
      • Editorial Board
      • Aims and Scope
      • Abstracting and Indexing
      • Bibliographic Information
      • Archive
    • Biomedical Reports
      • Biomedical Reports
      • Information for Authors
      • Editorial Policies
      • Editorial Board
      • Aims and Scope
      • Abstracting and Indexing
      • Bibliographic Information
      • Archive
    • Oncology Reports
      • Oncology Reports
      • Information for Authors
      • Editorial Policies
      • Editorial Board
      • Aims and Scope
      • Abstracting and Indexing
      • Bibliographic Information
      • Archive
    • Molecular Medicine Reports
      • Molecular Medicine Reports
      • Information for Authors
      • Editorial Policies
      • Editorial Board
      • Aims and Scope
      • Abstracting and Indexing
      • Bibliographic Information
      • Archive
    • World Academy of Sciences Journal
      • World Academy of Sciences Journal
      • Information for Authors
      • Editorial Policies
      • Editorial Board
      • Aims and Scope
      • Abstracting and Indexing
      • Bibliographic Information
      • Archive
    • International Journal of Functional Nutrition
      • International Journal of Functional Nutrition
      • Information for Authors
      • Editorial Policies
      • Editorial Board
      • Aims and Scope
      • Abstracting and Indexing
      • Bibliographic Information
      • Archive
    • International Journal of Epigenetics
      • International Journal of Epigenetics
      • Information for Authors
      • Editorial Policies
      • Editorial Board
      • Aims and Scope
      • Abstracting and Indexing
      • Bibliographic Information
      • Archive
    • Medicine International
      • Medicine International
      • Information for Authors
      • Editorial Policies
      • Editorial Board
      • Aims and Scope
      • Abstracting and Indexing
      • Bibliographic Information
      • Archive
  • Articles
  • Information
    • Information for Authors
    • Information for Reviewers
    • Information for Librarians
    • Information for Advertisers
    • Conferences
  • Language Editing
Spandidos Publications Logo
  • About
    • About Spandidos
    • Aims and Scopes
    • Abstracting and Indexing
    • Editorial Policies
    • Reprints and Permissions
    • Job Opportunities
    • Terms and Conditions
    • Contact
  • Journals
    • All Journals
    • Biomedical Reports
      • Information for Authors
      • Editorial Policies
      • Editorial Board
      • Aims and Scope
      • Abstracting and Indexing
      • Bibliographic Information
      • Archive
    • Experimental and Therapeutic Medicine
      • Information for Authors
      • Editorial Policies
      • Editorial Board
      • Aims and Scope
      • Abstracting and Indexing
      • Bibliographic Information
      • Archive
    • International Journal of Epigenetics
      • Information for Authors
      • Editorial Policies
      • Editorial Board
      • Aims and Scope
      • Abstracting and Indexing
      • Bibliographic Information
      • Archive
    • International Journal of Functional Nutrition
      • Information for Authors
      • Editorial Policies
      • Editorial Board
      • Aims and Scope
      • Abstracting and Indexing
      • Bibliographic Information
      • Archive
    • International Journal of Molecular Medicine
      • Information for Authors
      • Editorial Policies
      • Editorial Board
      • Aims and Scope
      • Abstracting and Indexing
      • Bibliographic Information
      • Archive
    • International Journal of Oncology
      • Information for Authors
      • Editorial Policies
      • Editorial Board
      • Aims and Scope
      • Abstracting and Indexing
      • Bibliographic Information
      • Archive
    • Medicine International
      • Information for Authors
      • Editorial Policies
      • Editorial Board
      • Aims and Scope
      • Abstracting and Indexing
      • Bibliographic Information
      • Archive
    • Molecular and Clinical Oncology
      • Information for Authors
      • Editorial Policies
      • Editorial Board
      • Aims and Scope
      • Abstracting and Indexing
      • Bibliographic Information
      • Archive
    • Molecular Medicine Reports
      • Information for Authors
      • Editorial Policies
      • Editorial Board
      • Aims and Scope
      • Abstracting and Indexing
      • Bibliographic Information
      • Archive
    • Oncology Letters
      • Information for Authors
      • Editorial Policies
      • Editorial Board
      • Aims and Scope
      • Abstracting and Indexing
      • Bibliographic Information
      • Archive
    • Oncology Reports
      • Information for Authors
      • Editorial Policies
      • Editorial Board
      • Aims and Scope
      • Abstracting and Indexing
      • Bibliographic Information
      • Archive
    • World Academy of Sciences Journal
      • Information for Authors
      • Editorial Policies
      • Editorial Board
      • Aims and Scope
      • Abstracting and Indexing
      • Bibliographic Information
      • Archive
  • Articles
  • Information
    • For Authors
    • For Reviewers
    • For Librarians
    • For Advertisers
    • Conferences
  • Language Editing
Login Register Submit
  • This site uses cookies
  • You can change your cookie settings at any time by following the instructions in our Cookie Policy. To find out more, you may read our Privacy Policy.

    I agree
Search articles by DOI, keyword, author or affiliation
Search
Advanced Search
presentation
Experimental and Therapeutic Medicine
Join Editorial Board Propose a Special Issue
Print ISSN: 1792-0981 Online ISSN: 1792-1015
Journal Cover
May-2025 Volume 29 Issue 5

Full Size Image

Sign up for eToc alerts
Recommend to Library

Journals

International Journal of Molecular Medicine

International Journal of Molecular Medicine

International Journal of Molecular Medicine is an international journal devoted to molecular mechanisms of human disease.

International Journal of Oncology

International Journal of Oncology

International Journal of Oncology is an international journal devoted to oncology research and cancer treatment.

Molecular Medicine Reports

Molecular Medicine Reports

Covers molecular medicine topics such as pharmacology, pathology, genetics, neuroscience, infectious diseases, molecular cardiology, and molecular surgery.

Oncology Reports

Oncology Reports

Oncology Reports is an international journal devoted to fundamental and applied research in Oncology.

Experimental and Therapeutic Medicine

Experimental and Therapeutic Medicine

Experimental and Therapeutic Medicine is an international journal devoted to laboratory and clinical medicine.

Oncology Letters

Oncology Letters

Oncology Letters is an international journal devoted to Experimental and Clinical Oncology.

Biomedical Reports

Biomedical Reports

Explores a wide range of biological and medical fields, including pharmacology, genetics, microbiology, neuroscience, and molecular cardiology.

Molecular and Clinical Oncology

Molecular and Clinical Oncology

International journal addressing all aspects of oncology research, from tumorigenesis and oncogenes to chemotherapy and metastasis.

World Academy of Sciences Journal

World Academy of Sciences Journal

Multidisciplinary open-access journal spanning biochemistry, genetics, neuroscience, environmental health, and synthetic biology.

International Journal of Functional Nutrition

International Journal of Functional Nutrition

Open-access journal combining biochemistry, pharmacology, immunology, and genetics to advance health through functional nutrition.

International Journal of Epigenetics

International Journal of Epigenetics

Publishes open-access research on using epigenetics to advance understanding and treatment of human disease.

Medicine International

Medicine International

An International Open Access Journal Devoted to General Medicine.

Journal Cover
May-2025 Volume 29 Issue 5

Full Size Image

Sign up for eToc alerts
Recommend to Library

  • Article
  • Citations
    • Cite This Article
    • Download Citation
    • Create Citation Alert
    • Remove Citation Alert
    • Cited By
  • Similar Articles
    • Related Articles (in Spandidos Publications)
    • Similar Articles (Google Scholar)
    • Similar Articles (PubMed)
  • Download PDF
  • Download XML
  • View XML
Article

Adenosine A1 receptor agonist alleviates cerebral ischemia/reperfusion injury by inhibiting Nrf2/NLRP3 signaling‑mediated pyroptosis

  • Authors:
    • Qiuli Ming
    • Ze Li
    • Jun Tan
    • Yanwei Li
  • View Affiliations / Copyright

    Affiliations: Department of Neurology, Third Affiliated Hospital of Xinxiang Medical University, Xinxiang, Henan 453000, P.R. China, Department of Neurology, Second Affiliated Hospital of Xinxiang Medical University, Xinxiang, Henan 453000, P.R. China, Department of Neurology, Third Affiliated Hospital of Xinxiang Medical University, Xinxiang, Henan 453000, P.R. China
  • Article Number: 94
    |
    Published online on: March 13, 2025
       https://doi.org/10.3892/etm.2025.12844
  • Expand metrics +
Metrics: Total Views: 0 (Spandidos Publications: | PMC Statistics: )
Metrics: Total PDF Downloads: 0 (Spandidos Publications: | PMC Statistics: )
Cited By (CrossRef): 0 citations Loading Articles...

This article is mentioned in:



Abstract

The present study aimed to investigate whether adenosine A1 receptor (A1R) agonists can alleviate cerebral ischemia/reperfusion (I/R) injury by inhibiting pyroptosis mediated through the nuclear factor erythroid 2‑related factor 2 (Nrf2)/NLR family pyrin domain containing 3 (NLRP3) signaling pathway. A total of 36 Sprague‑Dawley rats were randomly assigned to the following four groups: Sham (sham group), I/R (model group), adenosine A1 receptor agonist preconditioning [model + adenosine A1R agonist 2‑chloro‑N(6)‑cyclopentyladenosine] group and ML385 (model + adenosine A1R agonist group + Nrf2 pathway inhibitor group). A middle cerebral artery occlusion model was induced using the thread occlusion method. Neurological function was assessed using the Longa scale, brain infarction volume was determined through 2,3,5‑triphenyltetrazolium chloride staining, protein expression of Nrf2, NLRP3, caspase‑1, GSDMD and IL‑1β was assessed using western blotting, and the expression of Nrf2 and GSDMD was assessed using immunofluorescence. The findings revealed that adenosine A1R agonist improved neurological function and reduced infarct size. Mechanistically, this was found to be associated with the activation of the Nrf2/NLRP3 signaling pathway and the suppression of pyroptosis‑associated proteins (gasdermin D, caspase‑1 and IL‑1β) expression. Notably, the Nrf2 inhibitor ML385 reversed the aforementioned effects induced by the adenosine A1R agonist. These results suggest that adenosine A1R agonist can alleviate cerebral I/R injury in rats, potentially by modulating the Nrf2/NLRP3 signaling pathway to inhibit pyroptosis.

Introduction

Ischemic stroke is a one of the worldwide leading causes of death, with an incidence of ~7 million individuals annually, and a leading cause of disability, as expressed by >160 million disability-adjusted life-years lost, representing a significant socioeconomic burden. The estimated global cost is >US$890 billion annually (1). The primary treatment strategy for ischemic stroke is the rapid restoration of blood flow. However, reperfusion of the ischemic brain tissue can worsen the injury, which is caused a phenomenon known as cerebral ischemia/reperfusion (I/R) injury (2). This condition involves multiple pathological processes, including pyroptosis, apoptosis, oxidative stress and the inflammatory response (3). Current treatment options for cerebral I/R injury are limited, as although substances such as antioxidants and anti-inflammatory agents have demonstrated neuroprotective effects in models of cerebral I/R injury, consistent results have not yet been achieved in further clinical trials (4). This highlights the urgent need for the development of novel therapeutic strategies.

Pyroptosis is a form of inflammatory programmed cell death that has been documented to serve a key role in cerebral I/R injury (5,6). It is characterized by activation of the NLR family pyrin domain containing 3 (NLRP3) inflammasome, which in turn activates caspase-1 to cleave gasdermin D (GSDMD) and promotes the release of various inflammatory cytokines, such as IL-1β and IL-18(7). These cytokines, through binding to their respective receptors, initiate inflammatory signaling cascades that ultimately result in pyroptotic cell death (8).

Adenosine is an endogenous purine nucleoside and can mediate a variety of physiological functions through interactions with its receptors (9). There are four currently known subtypes of adenosine receptors (A1, A2a, A2b and A3), which are widely distributed throughout the body and are therefore implicated in a range of pathological conditions, including ischemic cerebrovascular diseases, immune disorders, cardiovascular diseases and inflammation, thereby underscoring the critical importance of selecting adenosine receptors based on their subtypes (10). Amongst them, adenosine A1 receptors (A1Rs) exert neuroprotective effects in the central nervous system (11). Recent studies have shown that adenosine A1R agonist [2-chloro-N(6)-cyclopentyladenosine (CCPA)] can alleviate cerebral I/R injury in the MCAO model (12), although the exact mechanisms remain unclear.

The Nrf2/NLRP3 pathway is a key pathway in regulating pyroptosis (13). Therefore, the present study aimed to investigate the effects of the adenosine A1R agonist on the Nrf2/NLRP3 signaling pathway and pyroptosis in rats, to elucidate the possible mechanism of adenosine A1R agonist in cerebral I/R injury.

Materials and methods

Experimental animals

A total of 36 healthy, male Sprague-Dawley rats (age, 6-7 weeks; weight, 230-250 g) were provided by Beijing Weitong Lihua Experimental Animal Technology Co., Ltd. [license no. SCXK (Beijing) 2021-0011]. The temperature in the animal room was controlled at 25±1˚C and the air humidity was 60-65%. Animals were housed under a 12-h light/dark cycle and had free access to food and water ad libitum. The present study was approved by the Animal Experiment Ethics Committee of Xinxiang Medical University (approval no. K2023-64-01; Xinxiang, China).

Main drugs, reagents and instruments

Adenosine A1R agonist CCPA (cat. no. 119136) was purchased from MilliporeSigma. The NLRP3 (cat. no. 38679) and IL-1β antibodies (cat. no. 41059) were obtained from Signalway Antibody LLC. The GSDMD (cat. no. AF4012), caspase-1 (cat. no. AF5418), Nrf2 (cat. no. AF0639) and GAPDH antibodies (cat. no. AF7021) were obtained from Affinity Biosciences. The Nrf2 inhibitor ML385 (cat. no. T4360) was purchased from TargetMol Chemicals, Inc. Western blotting electrophoresis equipment was obtained from Bio-Rad Laboratories, Inc. A cryogenic grinder was purchased from Shanghai Jingxin Industrial Development Co., Ltd.

Animal grouping and model establishment

A total of 36 Sprague-Dawley rats were randomly divided into the following four groups: Sham, I/R, adenosine A1 receptor agonist preconditioning (AP) and ML385, with 9 rats in each group. Amongst these, 3 rats were used for 2,3,5-triphenyltetrazolium chloride (TTC) staining, 3 for western blot analysis and 3 rats for immunofluorescence. The sham and I/R groups were given intraperitoneal injections with an equal amount of physiological saline (0.9% NaCl, 2 ml/kg) (14) 3 days before surgery, once per day. The AP group was administered the adenosine A1R agonist (200 µg/kg dissolved in physiological saline) by intraperitoneal injection 3 days before surgery, once per day (15). The ML385 group received intraperitoneal injections of ML385 + adenosine A1R agonist (30 mg/kg + 200 µg/kg, respectively) 3 days before surgery, once per day. The dosages used were based on previous studies (16,17).

The middle cerebral artery occlusion (MCAO) model was prepared using the Longa method (18). After an intraperitoneal injection of 40 mg/kg pentobarbital sodium for anesthesia, the rats were fixed in a supine position and a midline longitudinal incision was made in the neck to separate the left common carotid artery (CCA), external carotid artery (ECA) and the internal carotid artery (ICA). A V-shaped oblique incision was made at the bifurcation of the ECA and ICA using vascular scissors. The arterial clamp was then reopened and the embolization line was inserted through the residual end of the ECA into the ICA until slight resistance was felt, after which the insertion was stopped. The upper end of the CCA was then ligated to prevent bleeding and movement. Blood flow was blocked for 2 h, the filament was withdrawn, and after reperfusion for 24 h, neurological function scoring was conducted. The sham group did not undergo middle cerebral artery embolization.

The following criteria were used to determine when animals should be immediately euthanized during the 24 h of reperfusion: i) Lack of movement or unresponsiveness to gentle stimuli; ii) respiratory distress (typical symptoms include drooling from the mouth or nose and/or cyanosis); iii) diarrhea or urinary incontinence; iv) weight loss of >20% compared with the pre-experiment body weight; v) inability to eat or drink; vi) persistent seizures or stereotyped behavior; and vii) skin lesions covering >30% of the body or signs of purulent infection. The surgical procedure was smooth, with no rat fatalities.

All rats were euthanized with an intraperitoneal injection of sodium pentobarbital (150 mg/kg) 24 h after MCAO. Death was confirmed based on the absence of pain responses, complete cessation of cardiac and respiratory activity and pupil dilation.

Neurobehavioral function score

Neurobehavioral function score was assessed at 24 h after reperfusion using the Longa method (19). Scores of 1-4 were considered indicative of a successful model. The scoring scale used was as follows: 0, no neurological deficits; 1, failure to fully extend the right forepaw (mild deficits); 2, turning in circles to the right while crawling (moderate deficits); 3, falling to the right (moderate deficits); 4, not able to walk independently and exhibiting a depressed level of consciousness (severe deficits).

TTC staining

After rat euthanasia, the brain was quickly removed, placed in a -20˚C freezer for 20 min. The brain was cut into five 2-mm coronal sections. The slices were soaked in a 2% TTC solution and stained in the dark at 37˚C, then the brain slices were fixed with 4% paraformaldehyde at 4˚C for 24 h. The non-ischemic area appeared red, whilst the infarcted area was white. ImageJ software (version 1.6.0; National Institutes of Health) was used for image analysis, where the infarct volume ratio (%) was calculated using the following formula: Infarct volume ratio=(infarct area/total brain volume) x100% = (∑ infarct area x slice thickness)/(∑ total brain area x slice thickness) x100%.

Western blotting

The separated cerebral cortex was stored at -80˚C for subsequent protein extraction. The tissue samples (50 mg each) were lysed with RIPA lysis buffer (Beyotime Institute of Biotechnology) at 4˚C, before the tissue homogenate was centrifuged at 4˚C and at 12,000 x g for 30 min to extract proteins. The protein concentration was determined using the BCA method (Bio-Rad Laboratories, Inc.). Proteins samples (50 µg/lane) were separated on a 10% gel by SDS-PAGE and transferred onto a PVDF membrane. After blocking the membrane with 5% milk at room temperature for 2 h, diluted primary antibodies (1:1,000; diluted in blocking solution) against GAPDH, Nrf2, NLRP3, caspase-1, GSDMD and IL-1β were added and incubated overnight at 4˚C. Subsequently, anti-rabbit IgG (H+L) secondary antibody (cat. no. 14708; 1:1,000; Cell Signaling Technology, Inc.) was added and the membrane was incubated in the dark at room temperature for 1 h. The membrane was visualized using an enhanced chemiluminescence detection kit (cat. no. WBULS0100; Merck KGaA). ImageJ software (version 1.6.0; National Institutes of Health) was used to analyze the target bands and calculate the band density, before protein expression was normalized to GAPDH levels.

Immunofluorescence

The brain tissue was fixed in a 4% paraformaldehyde solution at 4˚C for 24 h, before 20-µm-thick slices were prepared in coronal position using a cryostat at -20˚C. Slices containing the hippocampal dentate gyrus region were selected for immunofluorescence analysis. The slices were permeabilized with 0.2% Triton X-100 and blocked with 10% normal goat serum (cat. no. 16210064; Thermo Fisher Scientific, Inc.) at room temperature for 45 min. Subsequently, 35 µl diluted (1:200) Nrf2 and GSDMD primary antibodies were added to the sections and incubated overnight at 4˚C. After washing three times with PBS, the slices were incubated with 35 µl goat anti-rabbit IgG (H+L) Fluor488-conjugated secondary antibody (cat. no. S0018; 1:1,000; Affinity Biosciences) at room temperature in the dark for 2 h. The tissue was stained with DAPI (cat. no. C1005; 1:1; Shanghai Biotium Biological Co., Ltd.) at 25˚C for 5 min, followed by mounting with glycerol. Images were obtained using a Leica microscope (Leica DM 2000, Leica Microsystems, Inc.) and Leica microscope software (LAS V3.7). The number of positive stained cells was counted using ImageJ software (version 1.6.0; National Institutes of Health).

Statistical analysis

Statistical analysis was performed using GraphPad Prism 9 software (Dotmatics). The neurobehavioral function score is presented as the median (interquartile range), whilst all other data are presented as the mean ± standard deviation. The normality of the data was assessed using the Shapiro-Wilk test, whereas the homogeneity of variance was examined using the Brown-Forsythe test. One-way ANOVA followed by Tukey's post hoc test was used for comparisons among multiple groups, whilst the neurobehavioral function score was evaluated using Kruskal-Wallis followed by Dunn's post hoc test. P<0.05 was considered to indicate a statistically significant difference.

Results

Neurobehavioral function score and cerebral infarction volume of rats

Compared with that in the sham group, the neurobehavioral function score in the I/R group was found to be significantly increased (P<0.05). Compared with that in the I/R group, the AP group exhibited a significant decrease in the neurobehavioral function score (P<0.05). By contrast, compared with that in the AP group, the neurobehavioral function score of the ML385 group was significantly higher (P<0.05; Table I).

Table I

Neurobehavioral function score in each group.

Table I

Neurobehavioral function score in each group.

GroupNeurobehavioral function score
Sham0 (0,0)
Ischemia/reperfusion4 (3,4)a
AP2 (1,2)b
ML3853 (3,3.5)c
Overall P-value<0.01

[i] Data are presented as the median (25th percentile, 75th percentile) with n=9 per group.

[ii] aP<0.05 vs. sham;

[iii] bP<0.05 vs. I/R;

[iv] cP<0.05 vs. AP. AP, adenosine A1 receptor agonist preconditioning.

TTC staining of the brain tissue showed minimal infarcted area in the sham group. However, compared with that in the sham group, the I/R group showed a significantly larger area of ischemic infarction (P<0.05). Compared with that in the I/R group, the cerebral infarction volume of the rats in the AP group was significantly decreased (P<0.05). Compared with that in the AP group, the ML385 group exhibited a significant increase in the cerebral infarction volume (P<0.05; Fig. 1 and Table II).

Figure 1

Cerebral infarct areas of rats in each group, assessed by 2,3,5-triphenyltetrazolium chloride staining (n=3 per group). The red brain tissue represents the normal area, and the white brain tissue represents the ischemic infarct area. Each rat's brain was sectioned into 5 coronal slices (2-mm thick). I/R, ischemia/reperfusion; AP, adenosine A1 receptor agonist preconditioning.

Table II

Cerebral infarction volume and protein expression levels of GSDMD, caspase-1 and IL-1β in each group.

Table II

Cerebral infarction volume and protein expression levels of GSDMD, caspase-1 and IL-1β in each group.

 Western blotting 
GroupCerebral infarct volume, %GSDMDCaspase-1IL-1βImmunofluorescence GSDMD
Sham0.00±0.001.00±0.001.00±0.001.00±0.002.00±1.00
I/R 0.37±0.02a 1.43±0.03a 2.54±0.07a 2.99±0.16a 34.33±3.06a
AP 0.14±0.02b 1.14±0.02b 1.48±0.05b 1.67±0.08b 5.67±2.08b
ML385 0.30±0.01c 1.27±0.03c 2.39±0.06c 2.78±0.09c 27.00±2.65c
F-value455.96184.43620.25269.36127.73
P-value<0.01<0.01<0.01<0.01<0.01

[i] Data are presented as the mean ± standard deviation (n=3 per group). Western blot results, protein expression levels are presented as relative protein expression, normalized to GAPDH as the internal control. For immunofluorescence quantification, the results are based on the counting of positive cells, with the number of positive cells quantified in each group.

[ii] aP<0.05 vs. sham;

[iii] bP<0.05 vs. I/R;

[iv] cP<0.05 vs. AP. GSDMD, gasdermin D; I/R, ischemia/reperfusion; AP, adenosine A1 receptor agonist preconditioning.

Expression of pyroptosis-associated proteins in the hippocampal tissue of rats

The protein expression levels of caspase-1, GSDMD and IL-1β in the hippocampus of rats were next detected through western blotting. The results showed compared with those in the sham group, the protein expression levels of caspase-1, GSDMD and IL-1β were all significantly increased in the I/R group (P<0.05). Compared with those in the I/R group, the expression levels of caspase-1, GSDMD and IL-1β were significantly reduced in the AP group (P<0.05). By contrast, compared with those in the AP group, the ML385 group exhibited significantly increased protein expression levels of caspase-1, GSDMD and IL-1β (P<0.05; Fig. 2 and Table II).

Figure 2

Protein expression levels of caspase-1, GSDMD and IL-1β in the hippocampal tissue of rats in each group as assessed by western blotting. GSDMD, gasdermin D; I/R, ischemia/reperfusion; AP, adenosine A1 receptor agonist preconditioning.

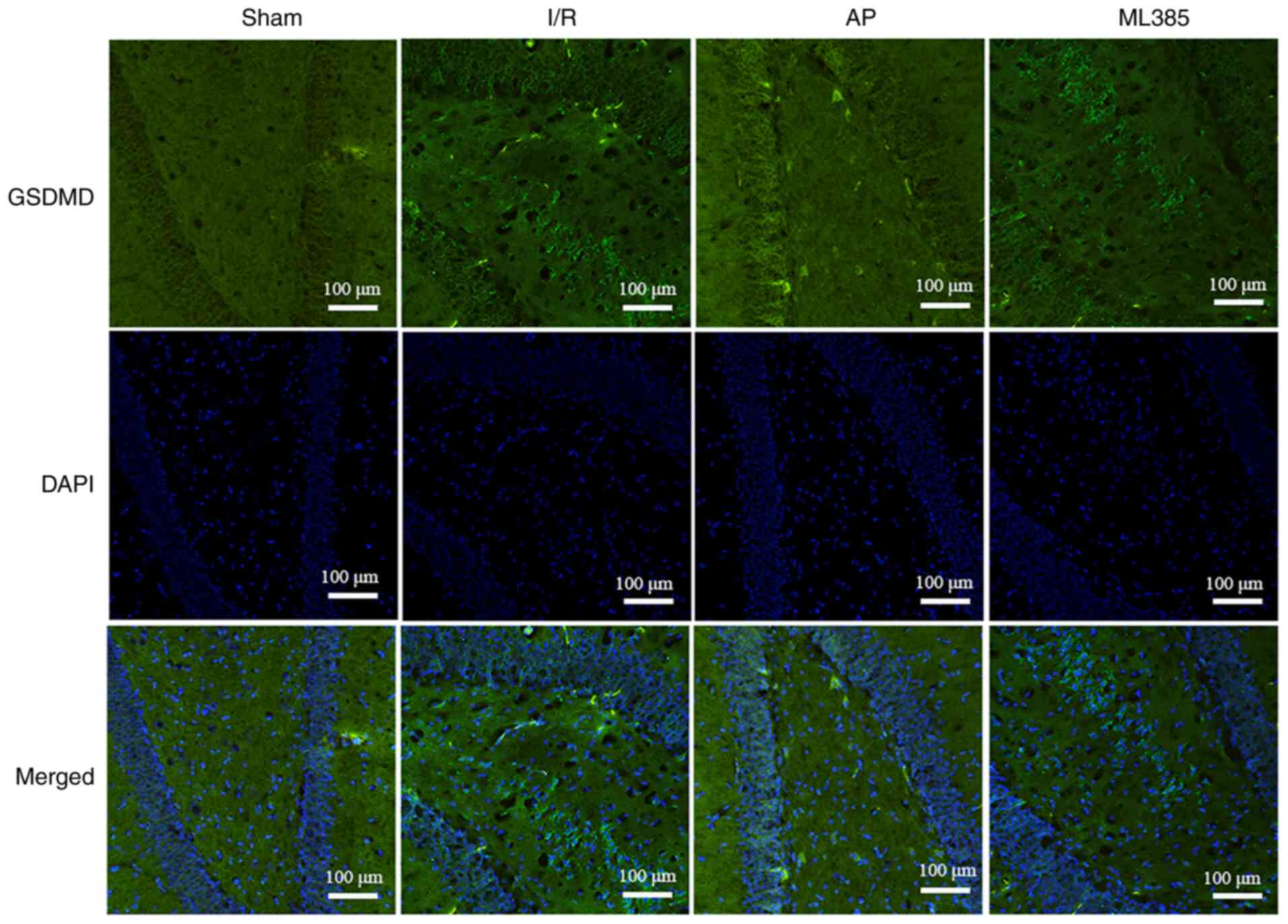
Immunofluorescence assay was then used to detect the expression of GSDMD in rat hippocampal dentate gyrus. The results showed that compared with that in the sham group, the I/R group showed significantly increased expression of GSDMD (P<0.05). Compared with that in the I/R group, the AP group showed a significant decrease in GSDMD expression (P<0.05). However, compared with that in the AP group, the ML385 group showed a significant increase in GSDMD expression (P<0.05; Fig. 3 and Table II).

Figure 3

Expression of GSDMD in the hippocampal dentate gyrus region of rats in each group as assessed by immunofluorescence staining (scale bars, 100 µm). GSDMD, gasdermin D; I/R, ischemia/reperfusion; AP, adenosine A1 receptor agonist preconditioning.

Expression of Nrf2 and NLRP3 proteins in the hippocampal tissue of rats

The Nrf2/NLRP3 pathway is a key pathway in regulating pyroptosis (13). The protein expression levels of Nrf2 and NLRP3 were detected via western blotting. The results showed that compared with those in the sham group, the I/R group exhibited a significant decrease in the Nrf2 protein expression level (P<0.05) and a significant increase in the NLRP3 protein expression level (P<0.05). Compared with that in the I/R group, the expression level of Nrf2 was significantly increased (P<0.05) whilst the expression level of NLRP3 was significantly decreased (P<0.05) in the AP group. Furthermore, compared with those in the AP group, the ML385 group showed a significant decrease in the Nrf2 protein expression level (P<0.05) and a significant increase in the NLRP3 protein expression level (P<0.05; Fig. 4 and Table III).

Figure 4

Protein expression levels of Nrf2 and NLRP3 in the hippocampal tissue of rats in each group as assessed by western blotting. Nrf2, nuclear factor erythroid 2-related factor 2; NLRP3, NLR family pyrin domain containing 3; I/R, ischemia/reperfusion; AP, adenosine A1 receptor agonist preconditioning.

Table III

Protein expression levels of Nrf2 and NLRP3 in each group.

Table III

Protein expression levels of Nrf2 and NLRP3 in each group.

 Western blotting 
GroupNrf2NLRP3Immunofluorescence Nrf2
Sham1.00±0.001.00±0.0017.33±2.52
I/R 0.67±0.02a 2.34±0.16a 2.00±1.00a
AP 0.92±0.01b 1.46±0.08b 8.67±2.08b
ML385 0.81±0.01c 1.90±0.06c 2.67±1.53c
F-value324.64106.2043.30
P-value<0.01<0.01<0.01

[i] Data are presented as the mean ± standard deviation (n=3 per group). Western blot results, protein expression levels are presented as relative protein expression, normalized to GAPDH as the internal control. For immunofluorescence quantification, the results are based on the counting of positive cells, with the number of positive cells quantified in each group.

[ii] aP<0.05 vs. sham;

[iii] bP<0.05 vs. I/R;

[iv] cP<0.05 vs. AP. Nrf2, nuclear factor erythroid 2-related factor 2; NLRP3, NLR family pyrin domain containing 3; I/R, ischemia/reperfusion; AP, adenosine A1 receptor agonist preconditioning.

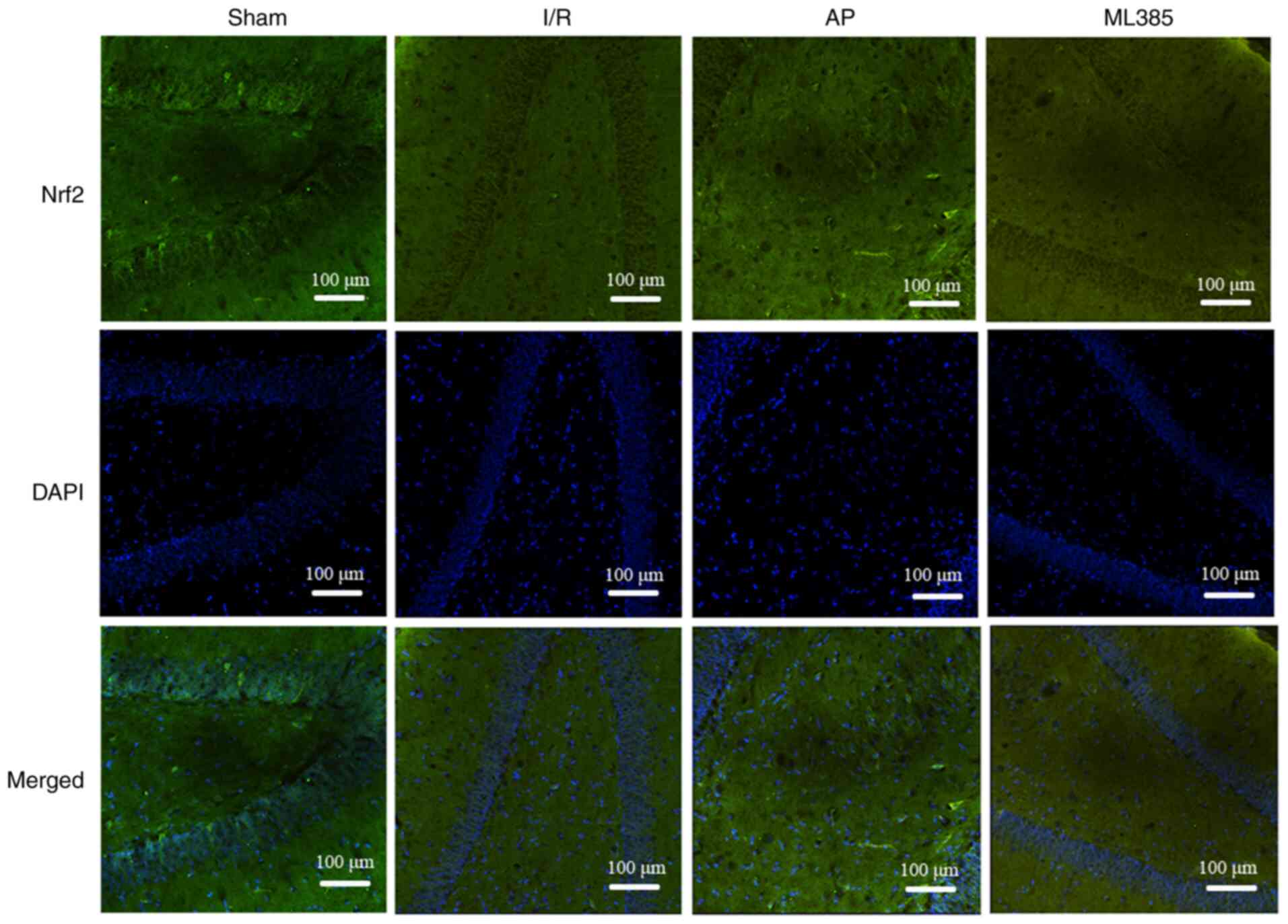
Immunofluorescence assay was then used to detect Nrf2 protein expression in rat hippocampal dentate gyrus. The results showed that compared with that in the sham group, the I/R group showed a significant decrease in Nrf2 protein expression (P<0.05). Compared with that in the I/R group, the expression of Nrf2 was significantly increased in the AP group (P<0.05). By contrast, compared with that in the AP group, the ML385 group exhibited a significant decrease in Nrf2 expression (P<0.05; Fig. 5 and Table III).

Figure 5

Expression of Nrf2 in the hippocampal dentate gyrus region of rats in each group as assessed by immunofluorescence staining (scale bars, 100 µm). Nrf2, nuclear factor erythroid 2-related factor 2; I/R, ischemia/reperfusion; AP, adenosine A1 receptor agonist preconditioning.

Discussion

Under ischemic, hypoxic, inflammatory and/or stressful conditions, CD39 and CD73 catalyze the conversion of extracellular ATP into adenosine, resulting in a notable increase in adenosine concentrations (20). It has been previously demonstrated that the elevation of extracellular adenosine levels is associated with an endogenous neuroprotective response against neuronal damage caused by ischemic or inflammatory stress (21,22). In particular, adenosine A1R serves an important regulatory role in the central nervous system, participating in various physiological and pathological processes, such as the regulation of neurotransmitter release, modulation of neuronal excitability, neuroprotection in ischemic injury and the inhibition of inflammation (23). A previous study has shown that intraperitoneal injection of CCPA could reduce the infarct size in an MCAO rat model (24). Another previous study has also suggested that activation of adenosine A1R is beneficial for individuals with acute ischemic hypoxic injury, particularly in the brain (25). Consistent with the aforementioned previous studies, the present study demonstrated neuroprotective effects of adenosine A1R agonist in alleviating cerebral I/R injury. Unlike a previous study (12), the present study revealed that the adenosine A1R agonist not only significantly reduced the cerebral infarct volume and ameliorated neurological deficits in rats, but also inhibited pyroptosis downstream of the Nrf2/NLRP3 signaling pathway (Fig. 6). To the best of our knowledge, the present study was the first to reveal that adenosine A1R agonist can alleviate cerebral I/R injury, potentially by activating the Nrf2/NLRP3 pathway to inhibit pyroptosis, thereby providing novel insights into the mechanism by which adenosine A1R agonist can ameliorate cerebral I/R injury.

Figure 6

Adenosine A1R agonist inhibits pyroptosis mediated by the Nrf2/NLRP3 signaling pathway, thereby ameliorating cerebral I/R injury. The adenosine A1R agonist improves cerebral I/R injury by activating Nrf2, inhibiting the NLRP3 inflammasome and downregulating pyroptosis-related proteins such as caspase-1, GSDMD and IL-1β, thereby suppressing pyroptosis. The effects of the A1R agonist are reversed upon the use of the Nrf2 inhibitor ML385. A1R, A1 receptor; Nrf2, nuclear factor erythroid 2-related factor 2; NLRP3, NLR family pyrin domain containing 3; GSDMD, gasdermin D; I/R, ischemia/reperfusion; AP, adenosine A1 receptor agonist preconditioning. Casp-1, caspase-1; GSDMD-N, N-terminal domain of GSDMD; ASC, apoptosis-associated speck-like protein containing a caspase recruitment domain.

Pyroptosis is a form of cell death that is typically associated with inflammatory responses. During pyroptosis, rupture of the cell membrane leads to the release of intracellular contents and proinflammatory factors into the extracellular environment. Pro-caspase-1 is cleaved into its active form, caspase-1, by inflammasomes, which then cleaves GSDMD into two N-terminal fragments and mediates the formation of membrane pores, allowing water to enter the cell, causing swelling, cell lysis and the release of IL-1β and IL-18(26). It has been previously demonstrated that pyroptosis is associated with the increased expression of caspase-1, GSDMD, IL-1β and IL-18(27). A previous study demonstrated that the expression of pyroptosis-associated proteins increases after cerebral I/R injury, thereby indicating that pyroptosis may be involved in this process (28). Consistent with the aforementioned studies, the present study observed an increase in the expression of caspase-1, GSDMD and IL-1β after cerebral I/R injury. Notably, administration of adenosine A1R agonist resulted in the decreased expression of these proteins, suggesting that the neuroprotective effect of the adenosine A1R agonist in cerebral I/R injury is closely associated with pyroptosis.

To investigate the specific mechanism by which adenosine A1R agonist alleviates pyroptosis after cerebral I/R injury, the signaling pathways involved were further examined. Nrf2 is an important regulatory factor in cerebral I/R injury. Upon cellular injury, Nrf2 is activated and transferred to the nucleus, where it binds to antioxidant response elements in the promoter regions of various target genes. These target genes include those involved in oxidative stress regulation, cellular repair and inflammation (29). Notably, activation of the Nrf2/NLRP3 pathway has been demonstrated to mitigate cerebral I/R injury in the rat MCAO model (30). The present study also supports this finding, revealing that the amelioration of cerebral I/R injury after the administration of adenosine A1R agonist was accompanied by the upregulation of Nrf2 and the downregulation of NLRP3. The Nrf2/NLRP3 pathway is a key signaling pathway regulator of pyroptosis (31). A previous study has indicated that activation of the Nrf2/NLRP3 signaling pathway can suppress the expression of pyroptosis-associated proteins in neuronal cells of the brain in the cerebral I/R injury model (32). The present study demonstrated that adenosine A1R agonist not only led to the activation of the Nrf2/NLRP3 pathway but also the inhibition of pyroptosis. However, in contrast with a previous study (33), after the co-administration of adenosine A1R agonist and the Nrf2-specific inhibitor ML385, the effect of adenosine A1R agonist in inhibiting pyroptosis was reversed, thereby demonstrating that the inhibition of pyroptosis by the adenosine A1R agonist following cerebral I/R injury is dependent on the Nrf2/NLRP3 signaling pathway. To the best of our knowledge, the present study demonstrates for the first time that adenosine A1R agonist can alleviate cerebral ischemia/reperfusion injury by inhibiting Nrf2/NLRP3 signaling-mediated pyroptosis.

In conclusion, the present study demonstrated that adenosine A1R agonist can improve cerebral I/R injury, potentially by inhibiting pyroptosis mediated by the Nrf2/NLRP3 signaling pathway. However, there are certain limitations. Future studies should examine the active/cleaved forms of certain proteins, such as GSDMD, caspase-1 and IL-1β, to confirm the effect of A1R agonist on pyroptosis. The association between adenosine A1R and the Nrf2/NLRP3 signaling pathway is complex, where other signaling pathways, such as PI3K, may also be involved. Previous studies have shown that adenosine A1R agonist can activate the PI3K/Akt pathway in neurons (34,35). Nrf2 is a key molecule in inhibiting pyroptosis to ameliorate cerebral I/R injury, but it is also a downstream molecule of the PI3K/Akt pathway (36). Therefore, future research will further explore the association between adenosine A1R and the Nrf2/NLRP3 signaling pathway and validate these findings in clinical settings.

Acknowledgements

Not applicable.

Funding

Funding: The present study was funded by the Henan Medical Science and Technology Research and Development Program (grant no. LHGJ20200533).

Availability of data of materials

The data generated in the present study may be requested from the corresponding author.

Authors' contributions

QM and ZL designed the study protocol, performed data analysis and wrote the final manuscript. JT and YL contributed to the study design, data analysis and revised the manuscript. QM and ZL confirm the authenticity of all the raw data. All authors read and approved the final manuscript.

Ethics approval and consent to participate

The present study was approved by Xinxiang Medical University (approval no. K2023-64-01; Xinxiang, China).

Patient consent for publication

Not applicable.

Competing interests

The authors declare that they have no competing interests.

References

1 

Feigin VL, Brainin M, Norrving B, Martins SO, Pandian J, Lindsay P, F Grupper M and Rautalin I: World stroke organization: Global stroke fact sheet 2025. Int J Stroke. 20:132–144. 2025.PubMed/NCBI View Article : Google Scholar

2 

Liu D, Ji Q, Cheng Y, Liu M, Zhang B, Mei Q, Huan M and Zhou S: Cyclosporine A loaded brain targeting nanoparticle to treat cerebral ischemia/reperfusion injury in mice. J Nanobiotechnology. 20(256)2022.PubMed/NCBI View Article : Google Scholar

3 

Guo XB, Deng X, Wang J, Qi Y, Zhao W and Guan S: HAX-1 interferes in assembly of NLRP3-ASC to block microglial pyroptosis in cerebral I/R injury. Cell Death Discov. 10:1–13. 2024.PubMed/NCBI View Article : Google Scholar

4 

Zhang C, Ma Y, Zhao Y, Guo N, Han C, Wu Q, Mu C, Zhang Y, Tan S, Zhang J and Liu X: Systematic review of melatonin in cerebral ischemia-reperfusion injury: Critical role and therapeutic opportunities. Front Pharmacol. 15(1356112)2024.PubMed/NCBI View Article : Google Scholar

5 

Wang K, Zhao H, Chen J, Yan LL, Zhao B, Chen Y, Dong YY, Li ZC and He Z: Toona sinensis fruit polyphenols alleviate cerebral ischemia-reperfusion injury in rats by inhibiting MAPK signaling pathways and NLRP3 inflammasome/pyroptosis. J Ethnopharmacol. 342(119375)2025.PubMed/NCBI View Article : Google Scholar

6 

Gao P, Shi H, Jin X, Guo S, Zhou X and Gao W: Mechanism of astragaloside IV regulating NLRP3 through LOC102555978 to attenuate cerebral ischemia reperfusion induced microglia pyroptosis. Int Immunopharmacol. 131(111862)2024.PubMed/NCBI View Article : Google Scholar

7 

He C, Zhao Y, Jiang X, Liang X, Yin L, Yin Z, Geng Y, Zhong Z, Song X, Zou Y, et al: Protective effect of Ketone musk on LPS/ATP-induced pyroptosis in J774A.1 cells through suppressing NLRP3/GSDMD pathway. Int Immunopharmacol. 71:328–335. 2019.PubMed/NCBI View Article : Google Scholar

8 

Liu Y, Lei H, Zhang W, Xing Q, Liu R, Wu S, Liu Z, Yan Q, Li W, Liu X and Hu Y: Pyroptosis in renal inflammation and fibrosis: Current knowledge and clinical significance. Cell Death Dis. 14(472)2023.PubMed/NCBI View Article : Google Scholar

9 

Li J, Teng D, Jia W, Gong L, Dong H, Wang C, Zhang L, Xu B, Wang W, Zhong L, et al: PLD2 deletion ameliorates sepsis-induced cardiomyopathy by suppressing cardiomyocyte pyroptosis via the NLRP3/caspase 1/GSDMD pathway. Inflamm Res. 73:1033–1046. 2024.PubMed/NCBI View Article : Google Scholar

10 

Pinna A, Parekh P and Morelli M: Serotonin 5-HT1A receptors and their interactions with adenosine A2A receptors in Parkinson's disease and dyskinesia. Neuropharmacology. 226(109411)2023.PubMed/NCBI View Article : Google Scholar

11 

Khan H, Kaur P, Singh TG, Grewal AK and Sood S: Adenosine as a key mediator of neuronal survival in cerebral ischemic injury. Neurochem Res. 47:3543–3555. 2022.PubMed/NCBI View Article : Google Scholar

12 

Shi Y, Dai Q, Ji B, Huang L, Zhuang X, Mo Y and Wang J: Electroacupuncture pretreatment prevents cognitive impairment induced by cerebral ischemia-reperfusion via adenosine A1 receptors in rats. Front Aging Neurosci. 13(680706)2021.PubMed/NCBI View Article : Google Scholar

13 

Li MZ, Zhao Y, Dai XY, Talukder M and Li JL: Lycopene ameliorates DEHP exposure-induced renal pyroptosis through the Nrf2/Keap-1/NLRP3/caspase-1 axis. J Nutr Biochem. 113(109266)2023.PubMed/NCBI View Article : Google Scholar

14 

Fabera P, Parizkova M, Uttl L, Vondrakova K, Kubova H, Tsenov G and Mares P: Adenosine A1 receptor agonist 2-chloro-N6-cyclopentyladenosine and hippocampal excitability during brain development in rats. Front Pharmacol. 10(656)2019.PubMed/NCBI View Article : Google Scholar

15 

Geng W, Cai L, Han K, Li D, Mo Y, Dai Q, Tang H, Zhang M, Akuetteh PDP, Balelang MF and Wang J: Electroacupuncture pretreatment alleviates cerebral ischemia-reperfusion injury by increasing GSK-3β phosphorylation level via adenosine a1 receptor. BioMed Res Int. 2020(6848450)2020.PubMed/NCBI View Article : Google Scholar

16 

Fan GB, Li Y, Xu GS, Zhao AY, Jin HJ, Sun SQ and Qi SH: Propofol inhibits ferroptotic cell death through the Nrf2/Gpx4 signaling pathway in the mouse model of cerebral ischemia-reperfusion injury. Neurochem Res. 48:956–966. 2023.PubMed/NCBI View Article : Google Scholar

17 

Chen L, Huang J, Yao ZM, Sun XR, Tong XH, Hu M, Zhang Y and Dong SY: Procyanidins alleviated cerebral ischemia/reperfusion injury by inhibiting ferroptosis via the Nrf2/HO-1 signaling pathway. Molecules. 28(3582)2023.PubMed/NCBI View Article : Google Scholar

18 

Liu H, Li J, Jiang L, He J, Zhang H and Wang K: Dexmedetomidine pretreatment alleviates cerebral ischemia/reperfusion injury by inhibiting neuroinflammation through the JAK2/STAT3 pathway. Braz J Med Biol Res. 55(e12145)2022.PubMed/NCBI View Article : Google Scholar

19 

Longa EZ, Weinstein PR, Carlson S and Cummins R: Reversible middle cerebral artery occlusion without craniectomy in rats. Stroke. 20:84–91. 1989.PubMed/NCBI View Article : Google Scholar

20 

Han W, Zhang E, Tian Y, Wang S and Chen Y: Reversible middle cerebral artery occlusion without craniectomy in rats. Exp Brain Res. 241:1471–1488. 2023.

21 

Ramos-Zepeda G and Herrero JF: Interaction of the adenosine A1 receptor agonist N6-cyclopentyladenosine (CPA) and opioid receptors in spinal cord nociceptive reflexes. Life Sci. 93:233–239. 2013.PubMed/NCBI View Article : Google Scholar

22 

Liu H, Sun Q, Ding Z, Shi W, Wang WH and Zhang C: Adenosine stimulates the basolateral 50 pS K+ channel in renal proximal tubule via adenosine-A1 receptor. Front Physiol. 14(1242975)2023.PubMed/NCBI View Article : Google Scholar

23 

Schädlich IS, Winzer R, Stabernack J, Tolosa E, Magnus T and Rissiek B: The role of the ATP-adenosine axis in ischemic stroke. Semin Immunopathol. 45:347–365. 2023.PubMed/NCBI View Article : Google Scholar

24 

Martire A, Lambertucci C, Pepponi R, Ferrante A, Benati N, Buccioni M, Dal Ben D, Marucci G, Klotz KN, Volpini R and Popoli P: Neuroprotective potential of adenosine A1 receptor partial agonists in experimental models of cerebral ischemia. J Neurochem. 149:211–230. 2019.PubMed/NCBI View Article : Google Scholar

25 

Martí Navia A, Dal Ben D, Lambertucci C, Spinaci A, Volpini R, Marques-Morgado I, Coelho JE, Lopes LV, Marucci G and Buccioni M: Adenosine receptors as neuroinflammation modulators: Role of A1 Agonists and A2A Antagonists. Cells. 9(1739)2020.PubMed/NCBI View Article : Google Scholar

26 

Liu J, Wang X, Wang X, Wang J, Ma Y, Cao Y and Zhang W: Chicken gasdermins mediate pyroptosis after the cleavage by caspases. Int J Biol Macromol. 270(132476)2024.PubMed/NCBI View Article : Google Scholar

27 

Luo E, Li Z, Zhang S, Wen Y, Yang Z, Zeng H and Ding H: Hyperglycemia induces microglial pyroptosis by increasing oxygen extraction rate: Implication in neurological impairment during ischemic stroke. Mol Med Rep. 30(146)2024.PubMed/NCBI View Article : Google Scholar

28 

Tuo QZ, Zhang ST and Lei P: Mechanisms of neuronal cell death in ischemic stroke and their therapeutic implications. Med Res Rev. 42:259–305. 2022.PubMed/NCBI View Article : Google Scholar

29 

Tastan B, Arioz BI and Genc S: Targeting NLRP3 inflammasome with Nrf2 inducers in central nervous system disorders. Front Immunol. 13(865772)2022.PubMed/NCBI View Article : Google Scholar

30 

She Y, Shao L, Jiao K, Sun R, Lang T, Long H, Tang Y, Zhang W, Ding C and Deng C: Glycosides of Buyang Huanwu decoction inhibits pyroptosis associated with cerebral ischemia-reperfusion through Nrf2-mediated antioxidant signaling pathway both in vivo and in vitro. Phytomedicine. 120(155001)2023.PubMed/NCBI View Article : Google Scholar

31 

Cheng Y, Cheng L, Gao X, Chen S, Wu P, Wang C and Liu Z: Covalent modification of Keap1 at Cys77 and Cys434 by pubescenoside a suppresses oxidative stress-induced NLRP3 inflammasome activation in myocardial ischemia-reperfusion injury. Theranostics. 11:861–877. 2021.PubMed/NCBI View Article : Google Scholar

32 

Shi M, Wang J, Bi F and Bai Z: Diosmetin alleviates cerebral ischemia-reperfusion injury through Keap1-mediated Nrf2/ARE signaling pathway activation and NLRP3 inflammasome inhibition. Environ Toxicol. 37:1529–1542. 2022.PubMed/NCBI View Article : Google Scholar

33 

Liston TE, Hama A, Boltze J, Poe RB, Natsume T, Hayashi I, Takamatsu H, Korinek WS and Lechleiter JD: Adenosine A1R/A3R (adenosine A1 and A3 receptor) agonist AST-004 reduces brain infarction in a nonhuman primate model of stroke. Stroke. 53:238–248. 2022.PubMed/NCBI View Article : Google Scholar

34 

Zhong M, Song WL, Xu YC, Ye Y and Feng LY: Paeoniflorin ameliorates ischemic neuronal damage in vitro via adenosine A1 receptor-mediated transactivation of epidermal growth factor receptor. Acta Pharmacol Sin. 36:298–310. 2015.PubMed/NCBI View Article : Google Scholar

35 

Rabie MA, Ibrahim HI, Nassar NN and Atef RM: Adenosine A1 receptor agonist, N6-cyclohexyladenosine, attenuates Huntington's disease via stimulation of TrKB/PI3K/Akt/CREB/BDNF pathway in 3-nitropropionic acid rat model. Chem Biol Interact. 369(110288)2023.PubMed/NCBI View Article : Google Scholar

36 

Guo Y, Mao M, Li Q, Yu X and Zhou L: Extracts of Ginkgo flavonoids and ginkgolides improve cerebral ischaemia-reperfusion injury through the PI3K/Akt/Nrf2 signalling pathway and multicomponent in vivo processes. Phytomedicine. 99(154028)2022.PubMed/NCBI View Article : Google Scholar

Related Articles

  • Abstract
  • View
  • Download
  • Twitter
Copy and paste a formatted citation
Spandidos Publications style
Ming Q, Li Z, Tan J and Li Y: Adenosine A1 receptor agonist alleviates cerebral ischemia/reperfusion injury by inhibiting Nrf2/NLRP3 signaling‑mediated pyroptosis. Exp Ther Med 29: 94, 2025.
APA
Ming, Q., Li, Z., Tan, J., & Li, Y. (2025). Adenosine A1 receptor agonist alleviates cerebral ischemia/reperfusion injury by inhibiting Nrf2/NLRP3 signaling‑mediated pyroptosis. Experimental and Therapeutic Medicine, 29, 94. https://doi.org/10.3892/etm.2025.12844
MLA
Ming, Q., Li, Z., Tan, J., Li, Y."Adenosine A1 receptor agonist alleviates cerebral ischemia/reperfusion injury by inhibiting Nrf2/NLRP3 signaling‑mediated pyroptosis". Experimental and Therapeutic Medicine 29.5 (2025): 94.
Chicago
Ming, Q., Li, Z., Tan, J., Li, Y."Adenosine A1 receptor agonist alleviates cerebral ischemia/reperfusion injury by inhibiting Nrf2/NLRP3 signaling‑mediated pyroptosis". Experimental and Therapeutic Medicine 29, no. 5 (2025): 94. https://doi.org/10.3892/etm.2025.12844
Copy and paste a formatted citation
x
Spandidos Publications style
Ming Q, Li Z, Tan J and Li Y: Adenosine A1 receptor agonist alleviates cerebral ischemia/reperfusion injury by inhibiting Nrf2/NLRP3 signaling‑mediated pyroptosis. Exp Ther Med 29: 94, 2025.
APA
Ming, Q., Li, Z., Tan, J., & Li, Y. (2025). Adenosine A1 receptor agonist alleviates cerebral ischemia/reperfusion injury by inhibiting Nrf2/NLRP3 signaling‑mediated pyroptosis. Experimental and Therapeutic Medicine, 29, 94. https://doi.org/10.3892/etm.2025.12844
MLA
Ming, Q., Li, Z., Tan, J., Li, Y."Adenosine A1 receptor agonist alleviates cerebral ischemia/reperfusion injury by inhibiting Nrf2/NLRP3 signaling‑mediated pyroptosis". Experimental and Therapeutic Medicine 29.5 (2025): 94.
Chicago
Ming, Q., Li, Z., Tan, J., Li, Y."Adenosine A1 receptor agonist alleviates cerebral ischemia/reperfusion injury by inhibiting Nrf2/NLRP3 signaling‑mediated pyroptosis". Experimental and Therapeutic Medicine 29, no. 5 (2025): 94. https://doi.org/10.3892/etm.2025.12844
Follow us
  • Twitter
  • LinkedIn
  • Facebook
About
  • Spandidos Publications
  • Careers
  • Cookie Policy
  • Privacy Policy
How can we help?
  • Help
  • Live Chat
  • Contact
  • Email to our Support Team