Spandidos Publications Logo
  • About
    • About Spandidos
    • Aims and Scopes
    • Abstracting and Indexing
    • Editorial Policies
    • Reprints and Permissions
    • Job Opportunities
    • Terms and Conditions
    • Contact
  • Journals
    • All Journals
    • Oncology Letters
      • Oncology Letters
      • Information for Authors
      • Editorial Policies
      • Editorial Board
      • Aims and Scope
      • Abstracting and Indexing
      • Bibliographic Information
      • Archive
    • International Journal of Oncology
      • International Journal of Oncology
      • Information for Authors
      • Editorial Policies
      • Editorial Board
      • Aims and Scope
      • Abstracting and Indexing
      • Bibliographic Information
      • Archive
    • Molecular and Clinical Oncology
      • Molecular and Clinical Oncology
      • Information for Authors
      • Editorial Policies
      • Editorial Board
      • Aims and Scope
      • Abstracting and Indexing
      • Bibliographic Information
      • Archive
    • Experimental and Therapeutic Medicine
      • Experimental and Therapeutic Medicine
      • Information for Authors
      • Editorial Policies
      • Editorial Board
      • Aims and Scope
      • Abstracting and Indexing
      • Bibliographic Information
      • Archive
    • International Journal of Molecular Medicine
      • International Journal of Molecular Medicine
      • Information for Authors
      • Editorial Policies
      • Editorial Board
      • Aims and Scope
      • Abstracting and Indexing
      • Bibliographic Information
      • Archive
    • Biomedical Reports
      • Biomedical Reports
      • Information for Authors
      • Editorial Policies
      • Editorial Board
      • Aims and Scope
      • Abstracting and Indexing
      • Bibliographic Information
      • Archive
    • Oncology Reports
      • Oncology Reports
      • Information for Authors
      • Editorial Policies
      • Editorial Board
      • Aims and Scope
      • Abstracting and Indexing
      • Bibliographic Information
      • Archive
    • Molecular Medicine Reports
      • Molecular Medicine Reports
      • Information for Authors
      • Editorial Policies
      • Editorial Board
      • Aims and Scope
      • Abstracting and Indexing
      • Bibliographic Information
      • Archive
    • World Academy of Sciences Journal
      • World Academy of Sciences Journal
      • Information for Authors
      • Editorial Policies
      • Editorial Board
      • Aims and Scope
      • Abstracting and Indexing
      • Bibliographic Information
      • Archive
    • International Journal of Functional Nutrition
      • International Journal of Functional Nutrition
      • Information for Authors
      • Editorial Policies
      • Editorial Board
      • Aims and Scope
      • Abstracting and Indexing
      • Bibliographic Information
      • Archive
    • International Journal of Epigenetics
      • International Journal of Epigenetics
      • Information for Authors
      • Editorial Policies
      • Editorial Board
      • Aims and Scope
      • Abstracting and Indexing
      • Bibliographic Information
      • Archive
    • Medicine International
      • Medicine International
      • Information for Authors
      • Editorial Policies
      • Editorial Board
      • Aims and Scope
      • Abstracting and Indexing
      • Bibliographic Information
      • Archive
  • Articles
  • Information
    • Information for Authors
    • Information for Reviewers
    • Information for Librarians
    • Information for Advertisers
    • Conferences
  • Language Editing
Spandidos Publications Logo
  • About
    • About Spandidos
    • Aims and Scopes
    • Abstracting and Indexing
    • Editorial Policies
    • Reprints and Permissions
    • Job Opportunities
    • Terms and Conditions
    • Contact
  • Journals
    • All Journals
    • Biomedical Reports
      • Information for Authors
      • Editorial Policies
      • Editorial Board
      • Aims and Scope
      • Abstracting and Indexing
      • Bibliographic Information
      • Archive
    • Experimental and Therapeutic Medicine
      • Information for Authors
      • Editorial Policies
      • Editorial Board
      • Aims and Scope
      • Abstracting and Indexing
      • Bibliographic Information
      • Archive
    • International Journal of Epigenetics
      • Information for Authors
      • Editorial Policies
      • Editorial Board
      • Aims and Scope
      • Abstracting and Indexing
      • Bibliographic Information
      • Archive
    • International Journal of Functional Nutrition
      • Information for Authors
      • Editorial Policies
      • Editorial Board
      • Aims and Scope
      • Abstracting and Indexing
      • Bibliographic Information
      • Archive
    • International Journal of Molecular Medicine
      • Information for Authors
      • Editorial Policies
      • Editorial Board
      • Aims and Scope
      • Abstracting and Indexing
      • Bibliographic Information
      • Archive
    • International Journal of Oncology
      • Information for Authors
      • Editorial Policies
      • Editorial Board
      • Aims and Scope
      • Abstracting and Indexing
      • Bibliographic Information
      • Archive
    • Medicine International
      • Information for Authors
      • Editorial Policies
      • Editorial Board
      • Aims and Scope
      • Abstracting and Indexing
      • Bibliographic Information
      • Archive
    • Molecular and Clinical Oncology
      • Information for Authors
      • Editorial Policies
      • Editorial Board
      • Aims and Scope
      • Abstracting and Indexing
      • Bibliographic Information
      • Archive
    • Molecular Medicine Reports
      • Information for Authors
      • Editorial Policies
      • Editorial Board
      • Aims and Scope
      • Abstracting and Indexing
      • Bibliographic Information
      • Archive
    • Oncology Letters
      • Information for Authors
      • Editorial Policies
      • Editorial Board
      • Aims and Scope
      • Abstracting and Indexing
      • Bibliographic Information
      • Archive
    • Oncology Reports
      • Information for Authors
      • Editorial Policies
      • Editorial Board
      • Aims and Scope
      • Abstracting and Indexing
      • Bibliographic Information
      • Archive
    • World Academy of Sciences Journal
      • Information for Authors
      • Editorial Policies
      • Editorial Board
      • Aims and Scope
      • Abstracting and Indexing
      • Bibliographic Information
      • Archive
  • Articles
  • Information
    • For Authors
    • For Reviewers
    • For Librarians
    • For Advertisers
    • Conferences
  • Language Editing
Login Register Submit
  • This site uses cookies
  • You can change your cookie settings at any time by following the instructions in our Cookie Policy. To find out more, you may read our Privacy Policy.

    I agree
Search articles by DOI, keyword, author or affiliation
Search
Advanced Search
presentation
Molecular Medicine Reports
Join Editorial Board Propose a Special Issue
Print ISSN: 1791-2997 Online ISSN: 1791-3004
Journal Cover
August-2019 Volume 20 Issue 2

Full Size Image

Sign up for eToc alerts
Recommend to Library

Journals

International Journal of Molecular Medicine

International Journal of Molecular Medicine

International Journal of Molecular Medicine is an international journal devoted to molecular mechanisms of human disease.

International Journal of Oncology

International Journal of Oncology

International Journal of Oncology is an international journal devoted to oncology research and cancer treatment.

Molecular Medicine Reports

Molecular Medicine Reports

Covers molecular medicine topics such as pharmacology, pathology, genetics, neuroscience, infectious diseases, molecular cardiology, and molecular surgery.

Oncology Reports

Oncology Reports

Oncology Reports is an international journal devoted to fundamental and applied research in Oncology.

Experimental and Therapeutic Medicine

Experimental and Therapeutic Medicine

Experimental and Therapeutic Medicine is an international journal devoted to laboratory and clinical medicine.

Oncology Letters

Oncology Letters

Oncology Letters is an international journal devoted to Experimental and Clinical Oncology.

Biomedical Reports

Biomedical Reports

Explores a wide range of biological and medical fields, including pharmacology, genetics, microbiology, neuroscience, and molecular cardiology.

Molecular and Clinical Oncology

Molecular and Clinical Oncology

International journal addressing all aspects of oncology research, from tumorigenesis and oncogenes to chemotherapy and metastasis.

World Academy of Sciences Journal

World Academy of Sciences Journal

Multidisciplinary open-access journal spanning biochemistry, genetics, neuroscience, environmental health, and synthetic biology.

International Journal of Functional Nutrition

International Journal of Functional Nutrition

Open-access journal combining biochemistry, pharmacology, immunology, and genetics to advance health through functional nutrition.

International Journal of Epigenetics

International Journal of Epigenetics

Publishes open-access research on using epigenetics to advance understanding and treatment of human disease.

Medicine International

Medicine International

An International Open Access Journal Devoted to General Medicine.

Journal Cover
August-2019 Volume 20 Issue 2

Full Size Image

Sign up for eToc alerts
Recommend to Library

  • Article
  • Citations
    • Cite This Article
    • Download Citation
    • Create Citation Alert
    • Remove Citation Alert
    • Cited By
  • Similar Articles
    • Related Articles (in Spandidos Publications)
    • Similar Articles (Google Scholar)
    • Similar Articles (PubMed)
  • Download PDF
  • Download XML
  • View XML
Article Open Access

Alisol B 23‑acetate inhibits the viability and induces apoptosis of non‑small cell lung cancer cells via PI3K/AKT/mTOR signal pathway

  • Authors:
    • Yang Liu
    • Xi‑Chao Xia
    • Liu‑Yang Meng
    • Yu Wang
    • Yue‑Mei Li
  • View Affiliations / Copyright

    Affiliations: Department of Medicine, Pingdingshan University, Pingdingshan, Henan 467000, P.R. China, Emergency Department, Pingdingshan Second People's Hospital, Pingdingshan, Henan 467000, P.R. China
    Copyright: © Liu et al. This is an open access article distributed under the terms of Creative Commons Attribution License.
  • Pages: 1187-1195
    |
    Published online on: June 6, 2019
       https://doi.org/10.3892/mmr.2019.10355
  • Expand metrics +
Metrics: Total Views: 0 (Spandidos Publications: | PMC Statistics: )
Metrics: Total PDF Downloads: 0 (Spandidos Publications: | PMC Statistics: )
Cited By (CrossRef): 0 citations Loading Articles...

This article is mentioned in:



Abstract

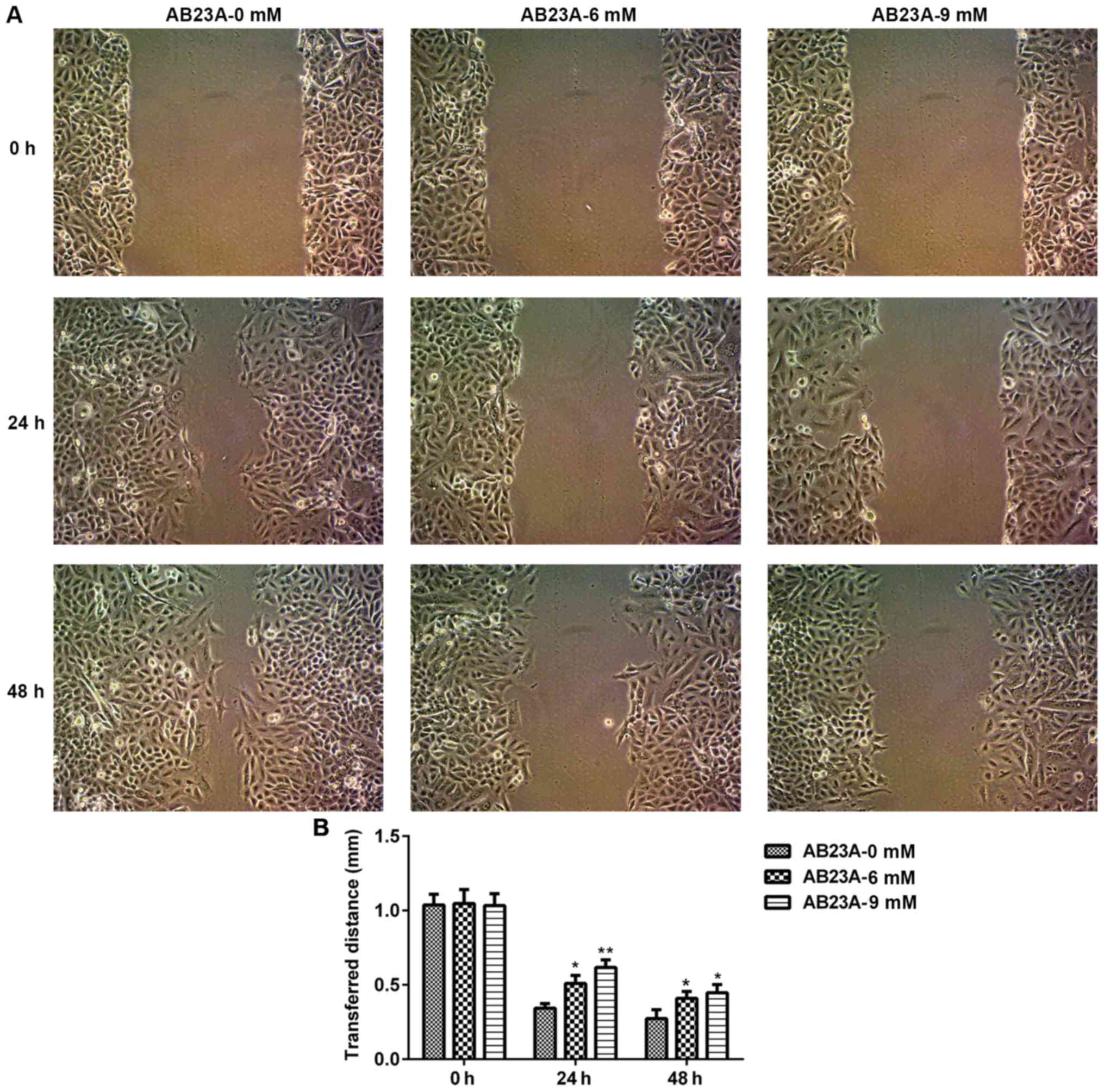
The aim of the present study was to investigate the effects of alisol B 23‑acetate (AB23A) on inhibiting the viability and inducing apoptosis of human non‑small cell lung cancer (NSCLC) cells and the anticancer mechanisms of AB23A in vitro. The viability of A549 cells following treatment with different doses of AB23A was examined using a Cell Counting Kit‑8 assay. Subsequently, apoptosis and the cell cycle were detected using flow cytometric analysis. The effect of AB23A on migration and invasion of A549 cells was detected by wound healing and Transwell assays. Western blotting was performed to determine the relative expression of Bax/Bcl‑2, phosphatidylinositol 3‑kinase (PI3K), protein kinase B (AKT) and mammalian target of rapamycin (mTOR). AB23A markedly inhibited the viability enhanced apoptosis of A549 cells and arrested the cell cycle in G1 phase. Additionally, AB23A upregulated the ratio of Bax/Bcl‑2 in the A549 cells in a concentration‑dependent manner. The results of wound healing and Transwell assays indicated that AB23A also suppresses the migration and invasion ability of A549 cells. Furthermore, AB23A reduced the protein levels of phosphorylated AKT, PI3K and mTOR. In conclusion, AB23A exerted anti‑cancer activity via inhibiting cells viability, migration and invasion, and promoting apoptosis. Therefore, AB23A is a potential antitumor drug for the treatment of NSCLC.
View Figures

Figure 1

Figure 2

Figure 3

Figure 4

Figure 5

Figure 6

Figure 7

View References

1 

Siegel RL, Miller KD and Jemal A: Cancer statistics, 2017. CA Cancer J Clin. 67:7–30. 2017. View Article : Google Scholar : PubMed/NCBI

2 

Chaudhary UB and Haldas JR: Long-term complications of chemotherapy for germ cell tumours. Drugs. 63:1565–1577. 2003. View Article : Google Scholar : PubMed/NCBI

3 

Brouwers EE, Huitema AD, Beijnen JH and Schellens JH: Long-term platinum retention after treatment with cisplatin and oxaliplatin. BMC Clin Pharmacol. 8:72008. View Article : Google Scholar : PubMed/NCBI

4 

Huang YT, Huang DM, Chueh SC, Teng CM and Guh JH: Alisol B acetate, a triterpene from Alismatis rhizoma, induces Bax nuclear translocation and apoptosis in human hormone-resistant prostate cancer PC-3 cells. Cancer Lett. 231:270–278. 2006. View Article : Google Scholar : PubMed/NCBI

5 

Oral O, Akkoc Y, Bayraktar O and Gozuacik D: Physiological and pathological significance of the molecular cross-talk between autophagy and apoptosis. Histol Histopathol. 31:479–498. 2016.PubMed/NCBI

6 

Crowell JA: The chemopreventive agent development research program in the Division of Cancer Prevention of the US National Cancer Institute: An overview. Eur J Cancer. 41:1889–1910. 2005. View Article : Google Scholar : PubMed/NCBI

7 

Mann J: Natural products in cancer chemotherapy: Past, present and future. Nat Rev Cancer. 2:143–148. 2002. View Article : Google Scholar : PubMed/NCBI

8 

Lee AY, Park JY, Chun JM, Moon BC, Kang BK, Seo YB, Shin HK and Kim HK: Optimization of extraction condition for alisol B and alisol B acetate in alismatis rhizoma using response surface methodology. J Liq Chromatogr Relat Technol. 36:513–524. 2013. View Article : Google Scholar : PubMed/NCBI

9 

Law BY, Wang M, Ma DL, Al-Mousa F, Michelangeli F, Cheng SH, Ng MH, To KF, Mok AY, Ko RY, et al: Alisol B, a novel inhibitor of the sarcoplasmic/endoplasmic reticulum Ca(2+) ATPase pump, induces autophagy, endoplasmic reticulum stress, and apoptosis. Mol Cancer Ther. 9:718–730. 2010. View Article : Google Scholar : PubMed/NCBI

10 

Xu W, Li T, Qiu JF, Wu SS, Huang MQ, Lin LG, Zhang QW, Chen XP and Lu JJ: Anti-proliferative activities of terpenoids isolated from Alisma orientalis and their structure-activity relationships. Anticancer Agents Med Chem. 15:228–235. 2015. View Article : Google Scholar : PubMed/NCBI

11 

Jiang ZY, Zhang XM, Zhang FX, Liu N, Zhao F, Zhou J and Chen JJ: A New triterpene and anti-hepatitis B virus active compounds from Alisma orientalis. Planta Med. 72:951–954. 2006. View Article : Google Scholar : PubMed/NCBI

12 

Jin HG, Jin Q, Ryun Kim A, Choi H, Lee JH, Kim YS, Lee DG and Woo ER: A new triterpenoid from Alisma orientale and their antibacterial effect. Arch Pharm Res. 35:1919–1926. 2012. View Article : Google Scholar : PubMed/NCBI

13 

Wang C, Feng L, Ma L, Chen H, Tan X, Hou X, Song J, Cui L, Liu D, Chen J, et al: Alisol a 24-acetate and alisol B 23-acetate induced autophagy mediates apoptosis and nephrotoxicity in human renal proximal tubular cells. Front Pharmacol. 8:1722017.PubMed/NCBI

14 

Xiong Y, Huang BY and Yin JY: Pharmacogenomics of platinum-based chemotherapy in non-small cell lung cancer: Focusing on DNA repair systems. Med Oncol. 34:482017. View Article : Google Scholar : PubMed/NCBI

15 

Yang L, Yang C, Li C, Zhao Q, Liu L, Fang X and Chen XY: Recent advances in biosynthesis of bioactive compounds in traditional Chinese medicinal plants. Sci Bull (Beijing). 61:3–17. 2016. View Article : Google Scholar : PubMed/NCBI

16 

Xu W, Li X, Lin N, Zhang X, Huang X, Wu T, Tai Y, Chen S, Wu CH, Huang M and Wu S: Pharmacokinetics and tissue distribution of five major triterpenoids after oral administration of Rhizoma Alismatis extract to rats using ultra high-performance liquid chromatography-tandem mass spectrometry. J Pharm Biomed Anal. 146:314–323. 2017. View Article : Google Scholar : PubMed/NCBI

17 

Zhang X, Li XY, Lin N, Zhao WL, Huang XQ, Chen Y, Huang MQ, Xu W and Wu SS: Diuretic activity of compatible triterpene components of alismatis rhizoma. Molecules. 22(pii): E14592017. View Article : Google Scholar : PubMed/NCBI

18 

Matsuda H, Kageura T, Toguchida I, Murakami T, Kishi A and Yoshikawa M: Effects of sesquiterpenes and triterpenes from the rhizome of Alisma orientale on nitric oxide production in lipopolysaccharide-activated macrophages: Absolute stereostructures of alismaketones-B 23-acetate and -C 23-acetate. Bioorg Med Chem Lett. 9:3081–3086. 1999. View Article : Google Scholar : PubMed/NCBI

19 

Zhang A, Sheng Y and Zou M: Antiproliferative activity of Alisol B in MDA-MB-231 cells is mediated by apoptosis, dysregulation of mitochondrial functions, cell cycle arrest and generation of reactive oxygen species. Biomed Pharmacother. 87:110–1107. 2017. View Article : Google Scholar : PubMed/NCBI

20 

Zhang LL, Xu YL, Tang ZH, Xu XH, Chen X, Li T, Ding CY, Huang MQ, Chen XP, Wang YT, et al: Effects of alisol B 23-acetate on ovarian cancer cells: G1 phase cell cycle arrest, apoptosis, migration and invasion inhibition. Phytomedicine. 23:800–809. 2016. View Article : Google Scholar : PubMed/NCBI

21 

Melo-Lima S, Lopes MC and Mollinedo F: ERK1/2 acts as a switch between necrotic and apoptotic cell death in ether phospholipid edelfosine-treated glioblastoma cells. Pharmacol Res. 95-96:2–11. 2015. View Article : Google Scholar : PubMed/NCBI

22 

Zhao Y, Li ETS and Wang M: Alisol B 23-acetate induces autophagic-dependent apoptosis in human colon cancer cells via ROS generation and JNK activation. Oncotarget. 8:70239–70249. 2017.PubMed/NCBI

23 

Hanahan D and Weinberg RA: The hallmarks of cancer. Cell. 100:57–70. 2000. View Article : Google Scholar : PubMed/NCBI

24 

Fujimura K, Choi S, Wyse M, Strnadel J, Wright T and Klemke R: Eukaryotic translation initiation factor 5A (EIF5A) regulates pancreatic cancer metastasis by modulating RhoA and Rho-associated kinase (ROCK) protein expression levels. J Biol Chem. 290:29907–29919. 2015. View Article : Google Scholar : PubMed/NCBI

25 

Gutschner T, Hämmerle M, Eissmann M, Hsu J, Kim Y, Hung G, Revenko A, Arun G, Stentrup M, Gross M, et al: The noncoding RNA MALAT1 is a critical regulator of the metastasis phenotype of lung cancer cells. Cancer Res. 73:1180–1189. 2013. View Article : Google Scholar : PubMed/NCBI

26 

Morgan TM, Koreckij TD and Corey E: Targeted therapy for advanced prostate cancer: Inhibition of the PI3K/Akt/mTOR pathway. Curr Cancer Drug Targets. 9:237–249. 2009. View Article : Google Scholar : PubMed/NCBI

27 

Martin KA and Blenis J: Coordinate regulation of translation by the PI 3-kinase and mTOR pathways. Adv Cancer Res. 86:1–39. 2002. View Article : Google Scholar : PubMed/NCBI

28 

Surviladze Z, Sterk RT, DeHaro SA and Ozbun MA: Cellular entry of human papillomavirus type 16 involves activation of the phosphatidylinositol 3-kinase/Akt/mTOR pathway and inhibition of autophagy. J Virol. 87:2508–2517. 2013. View Article : Google Scholar : PubMed/NCBI

29 

Foster KG and Fingar DC: Mammalian target of rapamycin (mTOR): Conducting the cellular signaling symphony. J Biol Chem. 285:14071–14077. 2010. View Article : Google Scholar : PubMed/NCBI

30 

He C and Klionsky DJ: Regulation mechanisms and signaling pathways of autophagy. Annu Rev Genet. 43:67–93. 2009. View Article : Google Scholar : PubMed/NCBI

31 

Yu W, Sun H, Zha W, Cui W, Xu L, Min Q and Wu J: Apigenin attenuates adriamycin-induced cardiomyocyte apoptosis via the PI3K/AKT/mTOR pathway. Evid Based Complement Alternat Med. 2017:25906762017. View Article : Google Scholar : PubMed/NCBI

32 

Yang J, Pi C and Wang G: Inhibition of PI3K/Akt/mTOR pathway by apigenin induces apoptosis and autophagy in hepatocellular carcinoma cells. Biomed Pharmacother. 103:699–707. 2018. View Article : Google Scholar : PubMed/NCBI

33 

Polivka J Jr and Janku F: Molecular targets for cancer therapy in the PI3K/AKT/mTOR pathway. Pharmacol Ther. 142:164–175. 2014. View Article : Google Scholar : PubMed/NCBI

Related Articles

  • Abstract
  • View
  • Download
  • Twitter
Copy and paste a formatted citation
Spandidos Publications style
Liu Y, Xia XC, Meng LY, Wang Y and Li YM: Alisol B 23‑acetate inhibits the viability and induces apoptosis of non‑small cell lung cancer cells via PI3K/AKT/mTOR signal pathway. Mol Med Rep 20: 1187-1195, 2019.
APA
Liu, Y., Xia, X., Meng, L., Wang, Y., & Li, Y. (2019). Alisol B 23‑acetate inhibits the viability and induces apoptosis of non‑small cell lung cancer cells via PI3K/AKT/mTOR signal pathway. Molecular Medicine Reports, 20, 1187-1195. https://doi.org/10.3892/mmr.2019.10355
MLA
Liu, Y., Xia, X., Meng, L., Wang, Y., Li, Y."Alisol B 23‑acetate inhibits the viability and induces apoptosis of non‑small cell lung cancer cells via PI3K/AKT/mTOR signal pathway". Molecular Medicine Reports 20.2 (2019): 1187-1195.
Chicago
Liu, Y., Xia, X., Meng, L., Wang, Y., Li, Y."Alisol B 23‑acetate inhibits the viability and induces apoptosis of non‑small cell lung cancer cells via PI3K/AKT/mTOR signal pathway". Molecular Medicine Reports 20, no. 2 (2019): 1187-1195. https://doi.org/10.3892/mmr.2019.10355
Copy and paste a formatted citation
x
Spandidos Publications style
Liu Y, Xia XC, Meng LY, Wang Y and Li YM: Alisol B 23‑acetate inhibits the viability and induces apoptosis of non‑small cell lung cancer cells via PI3K/AKT/mTOR signal pathway. Mol Med Rep 20: 1187-1195, 2019.
APA
Liu, Y., Xia, X., Meng, L., Wang, Y., & Li, Y. (2019). Alisol B 23‑acetate inhibits the viability and induces apoptosis of non‑small cell lung cancer cells via PI3K/AKT/mTOR signal pathway. Molecular Medicine Reports, 20, 1187-1195. https://doi.org/10.3892/mmr.2019.10355
MLA
Liu, Y., Xia, X., Meng, L., Wang, Y., Li, Y."Alisol B 23‑acetate inhibits the viability and induces apoptosis of non‑small cell lung cancer cells via PI3K/AKT/mTOR signal pathway". Molecular Medicine Reports 20.2 (2019): 1187-1195.
Chicago
Liu, Y., Xia, X., Meng, L., Wang, Y., Li, Y."Alisol B 23‑acetate inhibits the viability and induces apoptosis of non‑small cell lung cancer cells via PI3K/AKT/mTOR signal pathway". Molecular Medicine Reports 20, no. 2 (2019): 1187-1195. https://doi.org/10.3892/mmr.2019.10355
Follow us
  • Twitter
  • LinkedIn
  • Facebook
About
  • Spandidos Publications
  • Careers
  • Cookie Policy
  • Privacy Policy
How can we help?
  • Help
  • Live Chat
  • Contact
  • Email to our Support Team