Spandidos Publications Logo
  • About
    • About Spandidos
    • Aims and Scopes
    • Abstracting and Indexing
    • Editorial Policies
    • Reprints and Permissions
    • Job Opportunities
    • Terms and Conditions
    • Contact
  • Journals
    • All Journals
    • Oncology Letters
      • Oncology Letters
      • Information for Authors
      • Editorial Policies
      • Editorial Board
      • Aims and Scope
      • Abstracting and Indexing
      • Bibliographic Information
      • Archive
    • International Journal of Oncology
      • International Journal of Oncology
      • Information for Authors
      • Editorial Policies
      • Editorial Board
      • Aims and Scope
      • Abstracting and Indexing
      • Bibliographic Information
      • Archive
    • Molecular and Clinical Oncology
      • Molecular and Clinical Oncology
      • Information for Authors
      • Editorial Policies
      • Editorial Board
      • Aims and Scope
      • Abstracting and Indexing
      • Bibliographic Information
      • Archive
    • Experimental and Therapeutic Medicine
      • Experimental and Therapeutic Medicine
      • Information for Authors
      • Editorial Policies
      • Editorial Board
      • Aims and Scope
      • Abstracting and Indexing
      • Bibliographic Information
      • Archive
    • International Journal of Molecular Medicine
      • International Journal of Molecular Medicine
      • Information for Authors
      • Editorial Policies
      • Editorial Board
      • Aims and Scope
      • Abstracting and Indexing
      • Bibliographic Information
      • Archive
    • Biomedical Reports
      • Biomedical Reports
      • Information for Authors
      • Editorial Policies
      • Editorial Board
      • Aims and Scope
      • Abstracting and Indexing
      • Bibliographic Information
      • Archive
    • Oncology Reports
      • Oncology Reports
      • Information for Authors
      • Editorial Policies
      • Editorial Board
      • Aims and Scope
      • Abstracting and Indexing
      • Bibliographic Information
      • Archive
    • Molecular Medicine Reports
      • Molecular Medicine Reports
      • Information for Authors
      • Editorial Policies
      • Editorial Board
      • Aims and Scope
      • Abstracting and Indexing
      • Bibliographic Information
      • Archive
    • World Academy of Sciences Journal
      • World Academy of Sciences Journal
      • Information for Authors
      • Editorial Policies
      • Editorial Board
      • Aims and Scope
      • Abstracting and Indexing
      • Bibliographic Information
      • Archive
    • International Journal of Functional Nutrition
      • International Journal of Functional Nutrition
      • Information for Authors
      • Editorial Policies
      • Editorial Board
      • Aims and Scope
      • Abstracting and Indexing
      • Bibliographic Information
      • Archive
    • International Journal of Epigenetics
      • International Journal of Epigenetics
      • Information for Authors
      • Editorial Policies
      • Editorial Board
      • Aims and Scope
      • Abstracting and Indexing
      • Bibliographic Information
      • Archive
    • Medicine International
      • Medicine International
      • Information for Authors
      • Editorial Policies
      • Editorial Board
      • Aims and Scope
      • Abstracting and Indexing
      • Bibliographic Information
      • Archive
  • Articles
  • Information
    • Information for Authors
    • Information for Reviewers
    • Information for Librarians
    • Information for Advertisers
    • Conferences
  • Language Editing
Spandidos Publications Logo
  • About
    • About Spandidos
    • Aims and Scopes
    • Abstracting and Indexing
    • Editorial Policies
    • Reprints and Permissions
    • Job Opportunities
    • Terms and Conditions
    • Contact
  • Journals
    • All Journals
    • Biomedical Reports
      • Information for Authors
      • Editorial Policies
      • Editorial Board
      • Aims and Scope
      • Abstracting and Indexing
      • Bibliographic Information
      • Archive
    • Experimental and Therapeutic Medicine
      • Information for Authors
      • Editorial Policies
      • Editorial Board
      • Aims and Scope
      • Abstracting and Indexing
      • Bibliographic Information
      • Archive
    • International Journal of Epigenetics
      • Information for Authors
      • Editorial Policies
      • Editorial Board
      • Aims and Scope
      • Abstracting and Indexing
      • Bibliographic Information
      • Archive
    • International Journal of Functional Nutrition
      • Information for Authors
      • Editorial Policies
      • Editorial Board
      • Aims and Scope
      • Abstracting and Indexing
      • Bibliographic Information
      • Archive
    • International Journal of Molecular Medicine
      • Information for Authors
      • Editorial Policies
      • Editorial Board
      • Aims and Scope
      • Abstracting and Indexing
      • Bibliographic Information
      • Archive
    • International Journal of Oncology
      • Information for Authors
      • Editorial Policies
      • Editorial Board
      • Aims and Scope
      • Abstracting and Indexing
      • Bibliographic Information
      • Archive
    • Medicine International
      • Information for Authors
      • Editorial Policies
      • Editorial Board
      • Aims and Scope
      • Abstracting and Indexing
      • Bibliographic Information
      • Archive
    • Molecular and Clinical Oncology
      • Information for Authors
      • Editorial Policies
      • Editorial Board
      • Aims and Scope
      • Abstracting and Indexing
      • Bibliographic Information
      • Archive
    • Molecular Medicine Reports
      • Information for Authors
      • Editorial Policies
      • Editorial Board
      • Aims and Scope
      • Abstracting and Indexing
      • Bibliographic Information
      • Archive
    • Oncology Letters
      • Information for Authors
      • Editorial Policies
      • Editorial Board
      • Aims and Scope
      • Abstracting and Indexing
      • Bibliographic Information
      • Archive
    • Oncology Reports
      • Information for Authors
      • Editorial Policies
      • Editorial Board
      • Aims and Scope
      • Abstracting and Indexing
      • Bibliographic Information
      • Archive
    • World Academy of Sciences Journal
      • Information for Authors
      • Editorial Policies
      • Editorial Board
      • Aims and Scope
      • Abstracting and Indexing
      • Bibliographic Information
      • Archive
  • Articles
  • Information
    • For Authors
    • For Reviewers
    • For Librarians
    • For Advertisers
    • Conferences
  • Language Editing
Login Register Submit
  • This site uses cookies
  • You can change your cookie settings at any time by following the instructions in our Cookie Policy. To find out more, you may read our Privacy Policy.

    I agree
Search articles by DOI, keyword, author or affiliation
Search
Advanced Search
presentation
Experimental and Therapeutic Medicine
Join Editorial Board Propose a Special Issue
Print ISSN: 1792-0981 Online ISSN: 1792-1015
Journal Cover
March-2019 Volume 17 Issue 3

Full Size Image

Sign up for eToc alerts
Recommend to Library

Journals

International Journal of Molecular Medicine

International Journal of Molecular Medicine

International Journal of Molecular Medicine is an international journal devoted to molecular mechanisms of human disease.

International Journal of Oncology

International Journal of Oncology

International Journal of Oncology is an international journal devoted to oncology research and cancer treatment.

Molecular Medicine Reports

Molecular Medicine Reports

Covers molecular medicine topics such as pharmacology, pathology, genetics, neuroscience, infectious diseases, molecular cardiology, and molecular surgery.

Oncology Reports

Oncology Reports

Oncology Reports is an international journal devoted to fundamental and applied research in Oncology.

Experimental and Therapeutic Medicine

Experimental and Therapeutic Medicine

Experimental and Therapeutic Medicine is an international journal devoted to laboratory and clinical medicine.

Oncology Letters

Oncology Letters

Oncology Letters is an international journal devoted to Experimental and Clinical Oncology.

Biomedical Reports

Biomedical Reports

Explores a wide range of biological and medical fields, including pharmacology, genetics, microbiology, neuroscience, and molecular cardiology.

Molecular and Clinical Oncology

Molecular and Clinical Oncology

International journal addressing all aspects of oncology research, from tumorigenesis and oncogenes to chemotherapy and metastasis.

World Academy of Sciences Journal

World Academy of Sciences Journal

Multidisciplinary open-access journal spanning biochemistry, genetics, neuroscience, environmental health, and synthetic biology.

International Journal of Functional Nutrition

International Journal of Functional Nutrition

Open-access journal combining biochemistry, pharmacology, immunology, and genetics to advance health through functional nutrition.

International Journal of Epigenetics

International Journal of Epigenetics

Publishes open-access research on using epigenetics to advance understanding and treatment of human disease.

Medicine International

Medicine International

An International Open Access Journal Devoted to General Medicine.

Journal Cover
March-2019 Volume 17 Issue 3

Full Size Image

Sign up for eToc alerts
Recommend to Library

  • Article
  • Citations
    • Cite This Article
    • Download Citation
    • Create Citation Alert
    • Remove Citation Alert
    • Cited By
  • Similar Articles
    • Related Articles (in Spandidos Publications)
    • Similar Articles (Google Scholar)
    • Similar Articles (PubMed)
  • Download PDF
  • Download XML
  • View XML
Article Open Access

Experimental study of TNF‑α receptor gene transfection by ultrasound‑targeted microbubble destruction to treat collagen‑induced arthritis in rats in vivo

  • Authors:
    • Liyun Wang
    • Xiaolan Tang
    • Xi Xiang
    • Yuanjiao Tang
    • Li Qiu
  • View Affiliations / Copyright

    Affiliations: Department of Ultrasound, West China Hospital of Sichuan University, Chengdu, Sichuan 610041, P.R. China
    Copyright: © Wang et al. This is an open access article distributed under the terms of Creative Commons Attribution License.
  • Pages: 1601-1610
    |
    Published online on: January 7, 2019
       https://doi.org/10.3892/etm.2019.7158
  • Expand metrics +
Metrics: Total Views: 0 (Spandidos Publications: | PMC Statistics: )
Metrics: Total PDF Downloads: 0 (Spandidos Publications: | PMC Statistics: )
Cited By (CrossRef): 0 citations Loading Articles...

This article is mentioned in:



Abstract

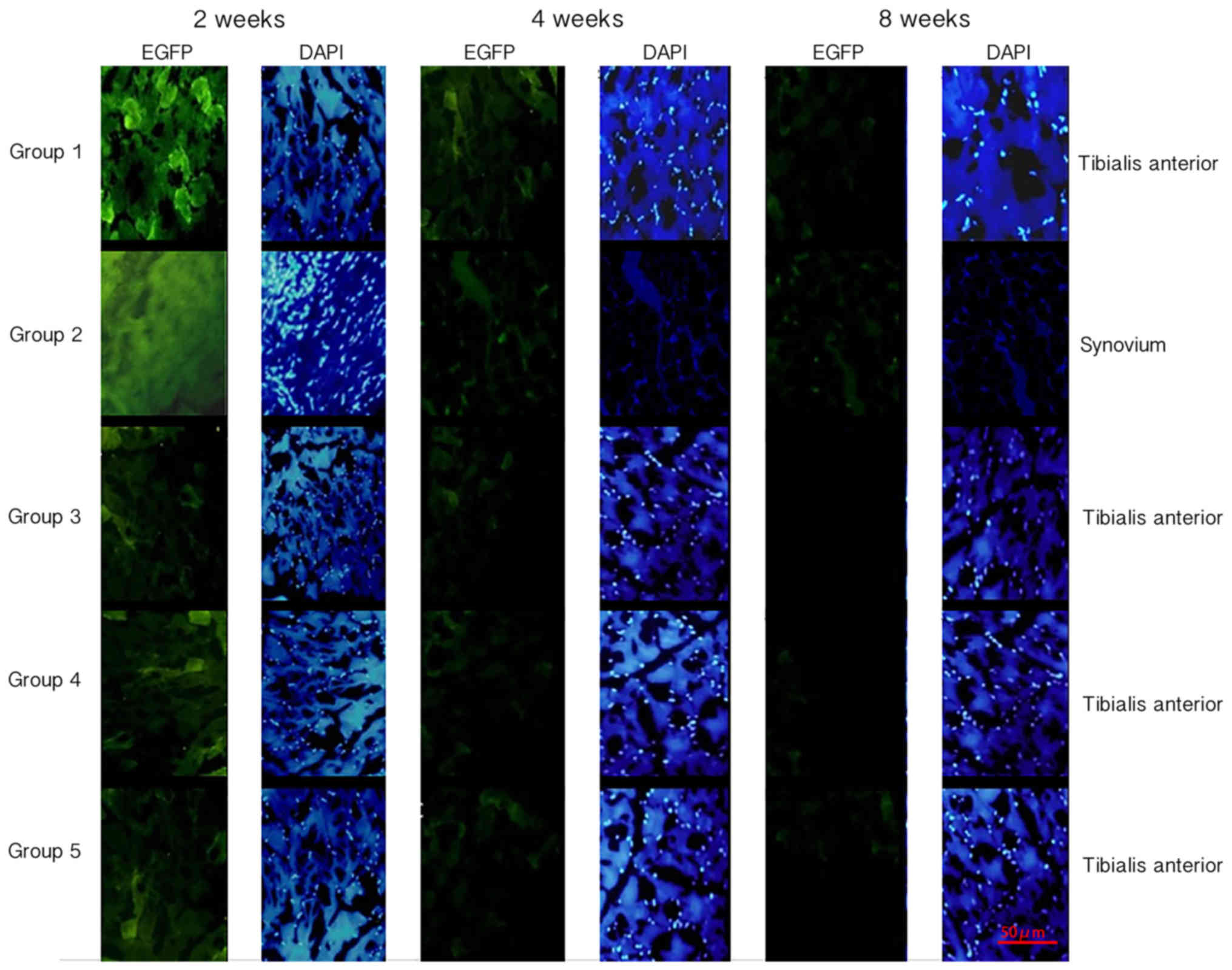
Ultrasound‑targeted microbubble destruction (UTMD) is a novel method for gene transfection. The aim of the present study was to identify the most suitable method of tumor necrosis factor (TNF)‑α receptor (TNFR) gene transfection using UTMD for systemically treating a rat model of collagen‑induced arthritis (CIA). Plasmids encoding the TNFR and enhanced green fluorescent protein (EGFP) with or without microbubbles were locally injected into the skeletal muscle and synovial membrane of CIA rats. The rats were divided into the following 6 groups: i) Group 1, plasmid + microbubble + ultrasound (muscle group); ii) group 2, plasmid + microbubble + ultrasound (joint group); iii) group 3, plasmid + ultrasound; iv) group 4, plasmid + microbubble; v) group 5, plasmid only and; vi) group 6, untreated controls. Rats were sacrificed at 2, 4 and 8 weeks of treatment. The transfection efficiency of the plasmids in the muscle or synovium was observed by fluorescence microscopy. Arthritis scores were calculated and serum levels of TNF‑α were measured prior to and following treatment. Bilateral ankle joints were obtained and stained to observe synovial inflammation and the expression of TNF‑α. EGFP expression was detected in all treated groups at each time point, and the fluorescence intensity of groups 1 and 2 was significantly greater than that of the other groups (P<0.05). For groups 1 and 2, the reductions in joint scores and serum levels of TNF‑α were significant compared with the other groups (P<0.05). The number of synovial inflammatory cells and the synovial expression of TNF‑α presented similar results among all experimental groups and no significant difference was observed between groups 1 and 2. Therefore, the results of the present study suggest that UTMD significantly enhanced the efficiency of TNFR gene transfection in the muscle and inflamed synovium of rats with. Regardless of whether the transfected TNFR gene was injected into the muscle or joint, it was continuously expressed in the rats for at least 8 weeks, which may improve arthritic symptoms and reduce the levels of inflammatory factors in the synovial tissues and peripheral blood.
View Figures

Figure 1

Figure 2

Figure 3

Figure 4

Figure 5

Figure 6

Figure 7

Figure 8

View References

1 

Boissier MC: Cell and cytokine imbalances in rheumatoid synovitis. Joint Bone Spine. 78:230–234. 2011. View Article : Google Scholar : PubMed/NCBI

2 

Boissier MC, Semerano L, Challal S, Saidenberg-Kermanac'h N and Falgarone G: Rheumatoid arthritis: From autoimmunity to synovitis and joint destruction. J Autoimmun. 39:222–228. 2012. View Article : Google Scholar : PubMed/NCBI

3 

Moelants EA, Mortier A, Van Damme J and Proost P: Regulation of TNF-α with a focus on rheumatoid arthritis. Immunol Cell Biol. 91:393–401. 2013. View Article : Google Scholar : PubMed/NCBI

4 

Mohan AK, Coté TR, Siegel JN and Braun MM: Infectious complications of biologic treatments of rheumatoid arthritis. Curr Opin Rheumatol. 15:179–184. 2003. View Article : Google Scholar : PubMed/NCBI

5 

Ghivizzani SC, Oligino TJ, Glorioso JC, Robbins PD and Evans CH: Direct gene delivery strategies for the treatment of rheumatoid arthritis. Drug Discov Today. 6:259–267. 2001. View Article : Google Scholar : PubMed/NCBI

6 

Li Y, Wang J, Satterle A, Wu Q, Wang J and Liu F: Gene transfer to skeletal muscle by site-specific delivery of electroporation and ultrasound. Biochem Biophys Res Commun. 424:203–207. 2012. View Article : Google Scholar : PubMed/NCBI

7 

Walton CB, Anderson CD, Boulay R and Shohet RV: Introduction to the ultrasound targeted microbubble destruction technique. J Vis Exp. (pii): 2963–2011. PubMed/NCBI

8 

Wan C, Qian J, Li F and Li H: Ultrasound-targeted microbubble destruction enhances polyethylenimine-mediated gene transfection in vitro in human retinal pigment epithelial cells and in vivo in rat retina. Mol Med Rep. 12:2835–2841. 2015. View Article : Google Scholar : PubMed/NCBI

9 

Tang Y, Leng Q, Xiang X, Zhang L, Yang Y and Qiu L: Use of ultrasound-targeted microbubble destruction to transfect IGF-1 cDNA to enhance the regeneration of rat wounded Achilles tendon in vivo. Gene Ther. 22:610–618. 2015. View Article : Google Scholar : PubMed/NCBI

10 

Xiang X, Tang Y, Leng Q, Zhang L and Qiu L: Targeted gene delivery to the synovial pannus in antigen-induced arthritis by ultrasound-targeted microbubble destruction in vivo. Ultrasonics. 65:304–314. 2016. View Article : Google Scholar : PubMed/NCBI

11 

Zhu W, Sun X, Zhu L, Gan Y, Baiwu R, Wei J, Li Z, Li R and Sun J: A novel BLyS peptibody down-regulates B cell and T helper cell subsets in vivo and ameliorates collagen-induced arthritis. Inflammation. 39:839–848. 2016. View Article : Google Scholar : PubMed/NCBI

12 

Li X, Tian F and Wang F: Rheumatoid arthritis-associated microRNA-155 targets SOCS1 and upregulates TNF-α and IL-1β in PBMCs. Int J Mol Sci. 14:23910–23921. 2013. View Article : Google Scholar : PubMed/NCBI

13 

Newman CM and Bettinger T: Gene therapy progress and prospects: Ultrasound for gene transfer. Gene Ther. 14:465–475. 2007. View Article : Google Scholar : PubMed/NCBI

14 

Tan K, Cheang P, Ho IA, Lam PY and Hui KM: Nanosized bioceramic particles could function as efficient gene delivery vehicles with target specificity for the spleen. Gene Ther. 14:828–835. 2007. View Article : Google Scholar : PubMed/NCBI

15 

Anderson CD, Urschitz J, Khemmani M, Owens JB, Moisyadi S, Shohet RV and Walton CB: Ultrasound directs a transposase system for durable hepatic gene delivery in mice. Ultrasound Med Biol. 39:2351–2361. 2013. View Article : Google Scholar : PubMed/NCBI

16 

Myers LK, Rosloniec EF, Cremer MA and Kang AH: Collagen-induced arthritis, an animal model of autoimmunity. Life Sci. 61:1861–1878. 1997. View Article : Google Scholar : PubMed/NCBI

17 

Trentham DE, Townes AS and Kang AH: Autoimmunity to type II collagen: An experimental model of arthritis. J Exp Med. 146:857–868. 1977. View Article : Google Scholar : PubMed/NCBI

18 

Yovandich J, O'Malley B Jr, Sikes M and Ledley FD: Gene transfer to synovial cells by intra-articular administration of plasmid DNA. Hum Gene Ther. 6:603–610. 1995. View Article : Google Scholar : PubMed/NCBI

19 

Lawrie A, Brisken AF, Francis SE, Tayler DI, Chamberlain J, Crossman DC, Cumberland DC and Newman CM: Ultrasound enhances reporter gene expression after transfection of vascular cells in vitro. Circulation. 99:2617–2620. 1999. View Article : Google Scholar : PubMed/NCBI

20 

Lawrie A, Brisken AF, Francis SE, Cumberland DC, Crossman DC and Newman CM: Microbubble-enhanced ultrasound for vascular gene delivery. Gene Ther. 7:2023–2027. 2000. View Article : Google Scholar : PubMed/NCBI

21 

Huang G, Xu Z, Huang Y, Duan X, Gong W, Zhang Y, Fan J and He F: Curcumin protects against collagen-induced arthritis via suppression of BAFF production. J Clin Immunol. 33:550–557. 2013. View Article : Google Scholar : PubMed/NCBI

22 

Choy E: Understanding the dynamics: Pathways involved in the pathogenesis of rheumatoid arthritis. Rheumatology (Oxford). 51 Suppl 5:v3–v11. 2012. View Article : Google Scholar : PubMed/NCBI

23 

Lee SJ, Lee A, Hwang SR, Park JS, Jang J, Huh MS, Jo DG, Yoon SY, Byun Y, Kim SH, et al: TNF-α gene silencing using polymerized siRNA/thiolated glycol chitosan nanoparticles for rheumatoid arthritis. Mol Ther. 22:397–408. 2014. View Article : Google Scholar : PubMed/NCBI

24 

Lipsky PE, Davis LS, Cush JJ and Oppenheimer-Marks N: The role of cytokines in the pathogenesis of rheumatoid arthritis. Springer Semin Immunopathol. 11:123–162. 1989. View Article : Google Scholar : PubMed/NCBI

25 

Olkkonen J, Kouri VP, Hynninen J, Konttinen YT and Mandelin J: Differentially expressed in chondrocytes 2 (DEC2) increases the expression of IL-1β and is abundantly present in synovial membrane in rheumatoid arthritis. PLoS One. 10:e01452792015. View Article : Google Scholar : PubMed/NCBI

Related Articles

  • Abstract
  • View
  • Download
  • Twitter
Copy and paste a formatted citation
Spandidos Publications style
Wang L, Tang X, Xiang X, Tang Y and Qiu L: Experimental study of TNF‑α receptor gene transfection by ultrasound‑targeted microbubble destruction to treat collagen‑induced arthritis in rats in vivo. Exp Ther Med 17: 1601-1610, 2019.
APA
Wang, L., Tang, X., Xiang, X., Tang, Y., & Qiu, L. (2019). Experimental study of TNF‑α receptor gene transfection by ultrasound‑targeted microbubble destruction to treat collagen‑induced arthritis in rats in vivo. Experimental and Therapeutic Medicine, 17, 1601-1610. https://doi.org/10.3892/etm.2019.7158
MLA
Wang, L., Tang, X., Xiang, X., Tang, Y., Qiu, L."Experimental study of TNF‑α receptor gene transfection by ultrasound‑targeted microbubble destruction to treat collagen‑induced arthritis in rats in vivo". Experimental and Therapeutic Medicine 17.3 (2019): 1601-1610.
Chicago
Wang, L., Tang, X., Xiang, X., Tang, Y., Qiu, L."Experimental study of TNF‑α receptor gene transfection by ultrasound‑targeted microbubble destruction to treat collagen‑induced arthritis in rats in vivo". Experimental and Therapeutic Medicine 17, no. 3 (2019): 1601-1610. https://doi.org/10.3892/etm.2019.7158
Copy and paste a formatted citation
x
Spandidos Publications style
Wang L, Tang X, Xiang X, Tang Y and Qiu L: Experimental study of TNF‑α receptor gene transfection by ultrasound‑targeted microbubble destruction to treat collagen‑induced arthritis in rats in vivo. Exp Ther Med 17: 1601-1610, 2019.
APA
Wang, L., Tang, X., Xiang, X., Tang, Y., & Qiu, L. (2019). Experimental study of TNF‑α receptor gene transfection by ultrasound‑targeted microbubble destruction to treat collagen‑induced arthritis in rats in vivo. Experimental and Therapeutic Medicine, 17, 1601-1610. https://doi.org/10.3892/etm.2019.7158
MLA
Wang, L., Tang, X., Xiang, X., Tang, Y., Qiu, L."Experimental study of TNF‑α receptor gene transfection by ultrasound‑targeted microbubble destruction to treat collagen‑induced arthritis in rats in vivo". Experimental and Therapeutic Medicine 17.3 (2019): 1601-1610.
Chicago
Wang, L., Tang, X., Xiang, X., Tang, Y., Qiu, L."Experimental study of TNF‑α receptor gene transfection by ultrasound‑targeted microbubble destruction to treat collagen‑induced arthritis in rats in vivo". Experimental and Therapeutic Medicine 17, no. 3 (2019): 1601-1610. https://doi.org/10.3892/etm.2019.7158
Follow us
  • Twitter
  • LinkedIn
  • Facebook
About
  • Spandidos Publications
  • Careers
  • Cookie Policy
  • Privacy Policy
How can we help?
  • Help
  • Live Chat
  • Contact
  • Email to our Support Team