Spandidos Publications Logo
  • About
    • About Spandidos
    • Aims and Scopes
    • Abstracting and Indexing
    • Editorial Policies
    • Reprints and Permissions
    • Job Opportunities
    • Terms and Conditions
    • Contact
  • Journals
    • All Journals
    • Oncology Letters
      • Oncology Letters
      • Information for Authors
      • Editorial Policies
      • Editorial Board
      • Aims and Scope
      • Abstracting and Indexing
      • Bibliographic Information
      • Archive
    • International Journal of Oncology
      • International Journal of Oncology
      • Information for Authors
      • Editorial Policies
      • Editorial Board
      • Aims and Scope
      • Abstracting and Indexing
      • Bibliographic Information
      • Archive
    • Molecular and Clinical Oncology
      • Molecular and Clinical Oncology
      • Information for Authors
      • Editorial Policies
      • Editorial Board
      • Aims and Scope
      • Abstracting and Indexing
      • Bibliographic Information
      • Archive
    • Experimental and Therapeutic Medicine
      • Experimental and Therapeutic Medicine
      • Information for Authors
      • Editorial Policies
      • Editorial Board
      • Aims and Scope
      • Abstracting and Indexing
      • Bibliographic Information
      • Archive
    • International Journal of Molecular Medicine
      • International Journal of Molecular Medicine
      • Information for Authors
      • Editorial Policies
      • Editorial Board
      • Aims and Scope
      • Abstracting and Indexing
      • Bibliographic Information
      • Archive
    • Biomedical Reports
      • Biomedical Reports
      • Information for Authors
      • Editorial Policies
      • Editorial Board
      • Aims and Scope
      • Abstracting and Indexing
      • Bibliographic Information
      • Archive
    • Oncology Reports
      • Oncology Reports
      • Information for Authors
      • Editorial Policies
      • Editorial Board
      • Aims and Scope
      • Abstracting and Indexing
      • Bibliographic Information
      • Archive
    • Molecular Medicine Reports
      • Molecular Medicine Reports
      • Information for Authors
      • Editorial Policies
      • Editorial Board
      • Aims and Scope
      • Abstracting and Indexing
      • Bibliographic Information
      • Archive
    • World Academy of Sciences Journal
      • World Academy of Sciences Journal
      • Information for Authors
      • Editorial Policies
      • Editorial Board
      • Aims and Scope
      • Abstracting and Indexing
      • Bibliographic Information
      • Archive
    • International Journal of Functional Nutrition
      • International Journal of Functional Nutrition
      • Information for Authors
      • Editorial Policies
      • Editorial Board
      • Aims and Scope
      • Abstracting and Indexing
      • Bibliographic Information
      • Archive
    • International Journal of Epigenetics
      • International Journal of Epigenetics
      • Information for Authors
      • Editorial Policies
      • Editorial Board
      • Aims and Scope
      • Abstracting and Indexing
      • Bibliographic Information
      • Archive
    • Medicine International
      • Medicine International
      • Information for Authors
      • Editorial Policies
      • Editorial Board
      • Aims and Scope
      • Abstracting and Indexing
      • Bibliographic Information
      • Archive
  • Articles
  • Information
    • Information for Authors
    • Information for Reviewers
    • Information for Librarians
    • Information for Advertisers
    • Conferences
  • Language Editing
Spandidos Publications Logo
  • About
    • About Spandidos
    • Aims and Scopes
    • Abstracting and Indexing
    • Editorial Policies
    • Reprints and Permissions
    • Job Opportunities
    • Terms and Conditions
    • Contact
  • Journals
    • All Journals
    • Biomedical Reports
      • Information for Authors
      • Editorial Policies
      • Editorial Board
      • Aims and Scope
      • Abstracting and Indexing
      • Bibliographic Information
      • Archive
    • Experimental and Therapeutic Medicine
      • Information for Authors
      • Editorial Policies
      • Editorial Board
      • Aims and Scope
      • Abstracting and Indexing
      • Bibliographic Information
      • Archive
    • International Journal of Epigenetics
      • Information for Authors
      • Editorial Policies
      • Editorial Board
      • Aims and Scope
      • Abstracting and Indexing
      • Bibliographic Information
      • Archive
    • International Journal of Functional Nutrition
      • Information for Authors
      • Editorial Policies
      • Editorial Board
      • Aims and Scope
      • Abstracting and Indexing
      • Bibliographic Information
      • Archive
    • International Journal of Molecular Medicine
      • Information for Authors
      • Editorial Policies
      • Editorial Board
      • Aims and Scope
      • Abstracting and Indexing
      • Bibliographic Information
      • Archive
    • International Journal of Oncology
      • Information for Authors
      • Editorial Policies
      • Editorial Board
      • Aims and Scope
      • Abstracting and Indexing
      • Bibliographic Information
      • Archive
    • Medicine International
      • Information for Authors
      • Editorial Policies
      • Editorial Board
      • Aims and Scope
      • Abstracting and Indexing
      • Bibliographic Information
      • Archive
    • Molecular and Clinical Oncology
      • Information for Authors
      • Editorial Policies
      • Editorial Board
      • Aims and Scope
      • Abstracting and Indexing
      • Bibliographic Information
      • Archive
    • Molecular Medicine Reports
      • Information for Authors
      • Editorial Policies
      • Editorial Board
      • Aims and Scope
      • Abstracting and Indexing
      • Bibliographic Information
      • Archive
    • Oncology Letters
      • Information for Authors
      • Editorial Policies
      • Editorial Board
      • Aims and Scope
      • Abstracting and Indexing
      • Bibliographic Information
      • Archive
    • Oncology Reports
      • Information for Authors
      • Editorial Policies
      • Editorial Board
      • Aims and Scope
      • Abstracting and Indexing
      • Bibliographic Information
      • Archive
    • World Academy of Sciences Journal
      • Information for Authors
      • Editorial Policies
      • Editorial Board
      • Aims and Scope
      • Abstracting and Indexing
      • Bibliographic Information
      • Archive
  • Articles
  • Information
    • For Authors
    • For Reviewers
    • For Librarians
    • For Advertisers
    • Conferences
  • Language Editing
Login Register Submit
  • This site uses cookies
  • You can change your cookie settings at any time by following the instructions in our Cookie Policy. To find out more, you may read our Privacy Policy.

    I agree
Search articles by DOI, keyword, author or affiliation
Search
Advanced Search
presentation
Experimental and Therapeutic Medicine
Join Editorial Board Propose a Special Issue
Print ISSN: 1792-0981 Online ISSN: 1792-1015
Journal Cover
February-2023 Volume 25 Issue 2

Full Size Image

Sign up for eToc alerts
Recommend to Library

Journals

International Journal of Molecular Medicine

International Journal of Molecular Medicine

International Journal of Molecular Medicine is an international journal devoted to molecular mechanisms of human disease.

International Journal of Oncology

International Journal of Oncology

International Journal of Oncology is an international journal devoted to oncology research and cancer treatment.

Molecular Medicine Reports

Molecular Medicine Reports

Covers molecular medicine topics such as pharmacology, pathology, genetics, neuroscience, infectious diseases, molecular cardiology, and molecular surgery.

Oncology Reports

Oncology Reports

Oncology Reports is an international journal devoted to fundamental and applied research in Oncology.

Experimental and Therapeutic Medicine

Experimental and Therapeutic Medicine

Experimental and Therapeutic Medicine is an international journal devoted to laboratory and clinical medicine.

Oncology Letters

Oncology Letters

Oncology Letters is an international journal devoted to Experimental and Clinical Oncology.

Biomedical Reports

Biomedical Reports

Explores a wide range of biological and medical fields, including pharmacology, genetics, microbiology, neuroscience, and molecular cardiology.

Molecular and Clinical Oncology

Molecular and Clinical Oncology

International journal addressing all aspects of oncology research, from tumorigenesis and oncogenes to chemotherapy and metastasis.

World Academy of Sciences Journal

World Academy of Sciences Journal

Multidisciplinary open-access journal spanning biochemistry, genetics, neuroscience, environmental health, and synthetic biology.

International Journal of Functional Nutrition

International Journal of Functional Nutrition

Open-access journal combining biochemistry, pharmacology, immunology, and genetics to advance health through functional nutrition.

International Journal of Epigenetics

International Journal of Epigenetics

Publishes open-access research on using epigenetics to advance understanding and treatment of human disease.

Medicine International

Medicine International

An International Open Access Journal Devoted to General Medicine.

Journal Cover
February-2023 Volume 25 Issue 2

Full Size Image

Sign up for eToc alerts
Recommend to Library

  • Article
  • Citations
    • Cite This Article
    • Download Citation
    • Create Citation Alert
    • Remove Citation Alert
    • Cited By
  • Similar Articles
    • Related Articles (in Spandidos Publications)
    • Similar Articles (Google Scholar)
    • Similar Articles (PubMed)
  • Download PDF
  • Download XML
  • View XML
Article Open Access

Cimigenol depresses acute myeloid leukemia cells protected by breaking bone marrow stromal cells via CXCR4/SDF‑1α

  • Authors:
    • Bangyun Ma
    • Huibo Dai
    • Xingbin Dai
    • Shushu Qian
    • Xiaocao Sha
    • Xuemei Sun
  • View Affiliations / Copyright

    Affiliations: Department of Hematology, Affiliated Hospital of Nanjing University of Chinese Medicine, Nanjing, Jiangsu 210000, P.R. China
    Copyright: © Ma et al. This is an open access article distributed under the terms of Creative Commons Attribution License.
  • Article Number: 80
    |
    Published online on: December 30, 2022
       https://doi.org/10.3892/etm.2022.11779
  • Expand metrics +
Metrics: Total Views: 0 (Spandidos Publications: | PMC Statistics: )
Metrics: Total PDF Downloads: 0 (Spandidos Publications: | PMC Statistics: )
Cited By (CrossRef): 0 citations Loading Articles...

This article is mentioned in:



Abstract

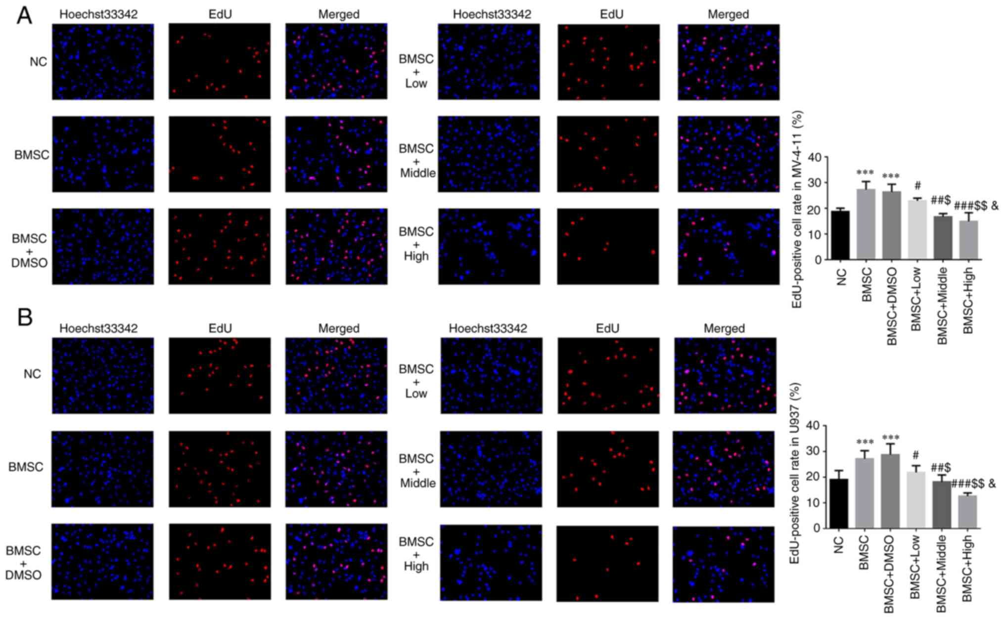
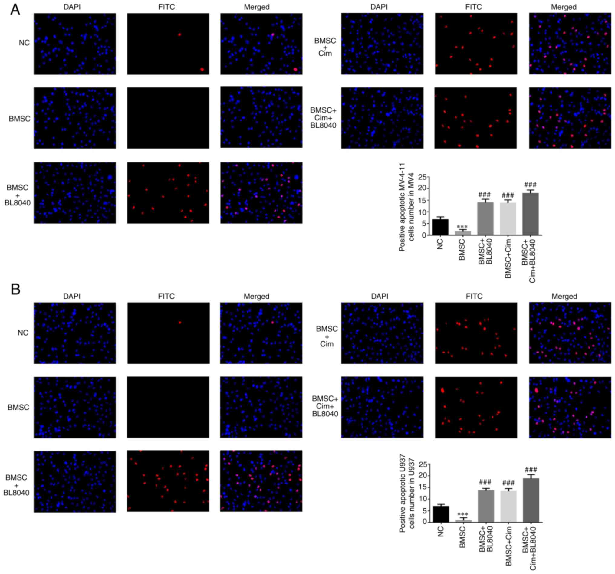
The purpose of the present study was to evaluate cimigenol (Cim) treatment effects to cell proliferation by breaking bone marrow stromal cells (BMSCs) through C‑X‑C chemokine receptor type 4 (CXCR4)/stromal cell‑derived factor‑1α (SDF‑1α) pathway. MV‑4‑11 and U937 cell lines were used. The present study was divided into two parts. First, the cell lines were divided into normal control (NC), BMSC (cells co‑cultured with BMSCs), BMSC + DMSO, BMSC + Low (treated with 5 mg/ml Cim), BMSC + Middle (treated with 10 mg/ml Cim), BMSC + High (treated with 20 mg/ml Cim). In the second step, the cell lines were divided into NC, BMSC, BMSC + BL8040 (treated with BL8040 which inhibits CXCR4), BMSC + Cim and BMSC + Cim + BL8040. EdU positive cell numbers were measured by EdU assay and apoptosis rate by flow cytometry and TUNEL assay. Relative gene and protein expression was measured by reverse transcription‑quantitative PCR and western blotting assay. BMSCs were able to protect proliferation of cancer cells and decreased cell apoptosis compared with the NC group (P<0.001, respectively). With Cim supplement, the cell proliferation was decreased with cell apoptosis increasing compared with NC group (P<0.001 respectively). However, the anti‑tumor effects of Cim were not significantly different from the BL8040 treated groups (P<0.001, respectively). In conclusion Cim decreased acute myeloid leukemia cells protected by BMSCs through the CXCR4/SDF‑1α pathway.
View Figures

Figure 1

Figure 2

Figure 3

Figure 4

Figure 5

Figure 6

Figure 7

Figure 8

Figure 9

Figure 10

View References

1 

Kumar B, Garcia M, Weng L, Jung X, Murakami JL, Hu X, McDonald T, Lin A, Kumar AR, DiGiusto DL, et al: Acute myeloid leukemia transforms the bone marrow niche into a leukemia-permissive microenvironment through exosome secretion. Leukemia. 32:575–587. 2018.PubMed/NCBI View Article : Google Scholar

2 

Hanahan D and Coussens LM: Accessories to the crime: Functions of cells recruited to the tumor microenvironment. Cancer Cell. 21:309–322. 2012.PubMed/NCBI View Article : Google Scholar

3 

Uy GL, Rettig MP, Motabi IH, McFarland K, Trinkaus KM, Hladnik LM, Kulkarni S, Abboud CN, Cashen AF, Stockerl-Goldstein KE, et al: A phase 1/2 study of chemosensitization with the CXCR4 antagonist plerixafor in relapsed or refractory acute myeloid leukemia. Blood. 119:3917–3924. 2012.PubMed/NCBI View Article : Google Scholar

4 

Schmid D, Woehs F, Svoboda M, Thalhammer T, Chiba P and Moeslinger T: Aqueous extracts of Cimicifuga racemosa and phenolcarboxylic constituents inhibit production of proinflammatory cytokines in LPS-stimulated human whole blood. Can J Physiol Pharmacol. 87:963–972. 2009.PubMed/NCBI View Article : Google Scholar

5 

Sakurai N, Kozuka M, Tokuda H, Mukainaka T, Enjo F, Nishino H, Nagai M, Sakurai Y and Lee KH: Cancer preventive agents. Part 1: Chemopreventive potential of cimigenol, cimigenol-3,15-dione, and related compounds. Bioorg Med Chem. 13:1403–1408. 2005.PubMed/NCBI View Article : Google Scholar

6 

Jöhrer K, Stuppner H, Greil R and Çiçek SS: Structure-guided identification of black cohosh (actaea racemosa) triterpenoids with in vitro activity against multiple myeloma. Molecules. 25(766)2020.PubMed/NCBI View Article : Google Scholar

7 

Li X, Wang W, Fan Y, Wei Y, Yu LQ, Wei JF and Wang YF: Anticancer efficiency of cycloartane triterpenoid derivatives isolated from Cimicifuga yunnanensis Hsiao on triple-negative breast cancer cells. Cancer Manag Res. 10:6715–6729. 2018.PubMed/NCBI View Article : Google Scholar

8 

Livak KJ and Schmittgen TD: Analysis of relative gene expression data using real-time quantitative PCR and the 2(-Delta Delta C(T)) method. Methods. 25:402–408. 2001.PubMed/NCBI View Article : Google Scholar

9 

Zaitseva L, Murray MY, Shafat MS, Lawes MJ, MacEwan DJ, Bowles KM and Rushworth SA: Ibrutinib inhibits SDF1/CXCR4 mediated migration in AML. Oncotarget. 5:9930–9938. 2014.PubMed/NCBI View Article : Google Scholar

10 

Peled A and Tavor S: Role of CXCR4 in the pathogenesis of acute myeloid leukemia. Theranostics. 3:34–39. 2013.PubMed/NCBI View Article : Google Scholar

11 

Sugiyama T, Kohara H, Noda M and Nagasawa T: Maintenance of the hematopoietic stem cell pool by CXCL12-CXCR4 chemokine signaling in bone marrow stromal cell niches. Immunity. 25:977–988. 2006.PubMed/NCBI View Article : Google Scholar

12 

Konoplev S, Rassidakis GZ, Estey E, Kantarjian H, Liakou CI, Huang X, Xiao L, Andreeff M, Konopleva M and Medeiros LJ: Overexpression of CXCR4 predicts adverse overall and event-free survival in patients with unmutated FLT3 acute myeloid leukemia with normal karyotype. Cancer. 109:1152–1156. 2007.PubMed/NCBI View Article : Google Scholar

13 

Jiang Z, Zhou W, Guan S, Wang J and Liang Y: Contribution of SDF-1α/CXCR4 signaling to brain development and glioma progression. Neurosignals. 21:240–258. 2013.PubMed/NCBI View Article : Google Scholar

14 

Greenbaum A, Hsu YM, Day RB, Schuettpelz LG, Christopher MJ, Borgerding JN, Nagasawa T and Link DC: CXCL12 in early mesenchymal progenitors is required for haematopoietic stem-cell maintenance. Nature. 495:227–230. 2013.PubMed/NCBI View Article : Google Scholar

15 

Sipkins DA, Wei X, Wu JW, Runnels JM, Côté D, Means TK, Luster AD, Scadden DT and Lin CP: In vivo imaging of specialized bone marrow endothelial microdomains for tumour engraftment. Nature. 435:969–973. 2005.PubMed/NCBI View Article : Google Scholar

16 

Tavor S, Eisenbach M, Jacob-Hirsch J, Golan T, Petit I, Benzion K, Kay S, Baron S, Amariglio N, Deutsch V, et al: The CXCR4 antagonist AMD3100 impairs survival of human AML cells and induces their differentiation. Leukemia. 22:2151–5158. 2008.PubMed/NCBI View Article : Google Scholar

17 

Avigdor A, Goichberg P, Shivtiel S, Dar A, Peled A, Samira S, Kollet O, Hershkoviz R, Alon R, Hardan I, et al: CD44 and hyaluronic acid cooperate with SDF-1 in the trafficking of human CD34+ stem/progenitor cells to bone marrow. Blood. 103:2981–2989. 2004.PubMed/NCBI View Article : Google Scholar

18 

Zhan T, Cao C, Li L, Gu N, Civin CI and Zhan X: MIM regulates the trafficking of bone marrow cells via modulating surface expression of CXCR4. Leukemia. 30:1327–1334. 2016.PubMed/NCBI View Article : Google Scholar

19 

Zeng Z, Shi YX, Samudio IJ, Wang RY, Ling X, Frolova O, Levis M, Rubin JB, Negrin RR, Estey EH, et al: Targeting the leukemia microenvironment by CXCR4 inhibition overcomes resistance to kinase inhibitors and chemotherapy in AML. Blood. 113:6215–6224. 2009.PubMed/NCBI View Article : Google Scholar

20 

Galsky MD, Vogelzang NJ, Conkling P, Raddad E, Polzer J, Roberson S, Stille JR, Saleh M and Thornton D: A phase I trial of LY2510924, a CXCR4 peptide antagonist, in patients with advanced cancer. Clin Cancer Res. 20:3581–3588. 2014.PubMed/NCBI View Article : Google Scholar

21 

Karpova D, Bräuninger S, Wiercinska E, Krämer A, Stock B, Graff J, Martin H, Wach A, Escot C, Douglas G, et al: Mobilization of hematopoietic stem cells with the novel CXCR4 antagonist POL6326 (balixafortide) in healthy volunteers-results of a dose escalation trial. J Transl Med. 15(2)2017.PubMed/NCBI View Article : Google Scholar

22 

Hoellenriegel J, Zboralski D, Maasch C, Rosin NY, Wierda WG, Keating MJ, Kruschinski A and Burger JA: The spiegelmer NOX-A12, a novel CXCL12 inhibitor, interferes with chronic lymphocytic leukemia cell motility and causes chemosensitization. Blood. 123:1032–1039. 2014.PubMed/NCBI View Article : Google Scholar

23 

Gros SJ, Graeff H, Drenckhan A, Kurschat N, Blessmann M, Rawnaq T and Izbicki JR: CXCR4/SDF-1α-mediated chemotaxis in an in vivo model of metastatic esophageal carcinoma. In Vivo. 26:711–718. 2012.PubMed/NCBI

24 

Zhu H, Sun Q, Tan C, Xu M, Dai Z, Wang Z, Fan J and Zhou J: Tacrolimus promotes hepatocellular carcinoma and enhances CXCR4/SDF-1α expression in vivo. Mol Med Rep. 10:585–592. 2014.PubMed/NCBI View Article : Google Scholar

25 

Holt RU, Fagerli UM, Baykov V, Rø TB, Hov H, Waage A, Sundan A and Børset M: Hepatocyte growth factor promotes migration of human myeloma cells. Haematologica. 93:619–622. 2008.PubMed/NCBI View Article : Google Scholar

26 

Fan X, Chen X, Feng Q, Peng K, Wu Q, Passerini AG, Simon SI and Sun C: Downregulation of GATA6 in mTOR-inhibited human aortic endothelial cells: Effects on TNF-α-induced VCAM-1 expression and monocytic cell adhesion. Am J Physiol Heart Circ Physiol. 316:H408–H420. 2019.PubMed/NCBI View Article : Google Scholar

27 

Wagner JA, Rosario M, Romee R, Berrien-Elliott MM, Schneider SE, Leong JW, Sullivan RP, Jewell BA, Becker-Hapak M, Schappe T, et al: CD56bright NK cells exhibit potent antitumor responses following IL-15 priming. J Clin Invest. 127:4042–4058. 2017.PubMed/NCBI View Article : Google Scholar

28 

Chen W, Drakos E, Grammatikakis I, Schlette EJ, Li J, Leventaki V, Staikou-Drakopoulou E, Patsouris E, Panayiotidis P, Medeiros LJ and Rassidakis GZ: mTOR signaling is activated by FLT3 kinase and promotes survival of FLT3-mutated acute myeloid leukemia cells. Mol Cancer. 9(292)2010.PubMed/NCBI View Article : Google Scholar

29 

Marzec M, Kasprzycka M, Liu X, El-Salem M, Halasa K, Raghunath PN, Bucki R, Wlodarski P and Wasik MA: Oncogenic tyrosine kinase NPM/ALK induces activation of the rapamycin-sensitive mTOR signaling pathway. Oncogene. 26:5606–5614. 2007.PubMed/NCBI View Article : Google Scholar

30 

Watanabe M, Hisatake M and Fujimori K: Fisetin suppresses lipid accumulation in mouse adipocytic 3T3-L1 cells by repressing GLUT4-mediated glucose uptake through inhibition of mTOR-C/EBPα signaling. J Agric Food Chem. 63:4979–4987. 2015.PubMed/NCBI View Article : Google Scholar

Related Articles

  • Abstract
  • View
  • Download
  • Twitter
Copy and paste a formatted citation
Spandidos Publications style
Ma B, Dai H, Dai X, Qian S, Sha X and Sun X: Cimigenol depresses acute myeloid leukemia cells protected by breaking bone marrow stromal cells via CXCR4/SDF‑1α. Exp Ther Med 25: 80, 2023.
APA
Ma, B., Dai, H., Dai, X., Qian, S., Sha, X., & Sun, X. (2023). Cimigenol depresses acute myeloid leukemia cells protected by breaking bone marrow stromal cells via CXCR4/SDF‑1α. Experimental and Therapeutic Medicine, 25, 80. https://doi.org/10.3892/etm.2022.11779
MLA
Ma, B., Dai, H., Dai, X., Qian, S., Sha, X., Sun, X."Cimigenol depresses acute myeloid leukemia cells protected by breaking bone marrow stromal cells via CXCR4/SDF‑1α". Experimental and Therapeutic Medicine 25.2 (2023): 80.
Chicago
Ma, B., Dai, H., Dai, X., Qian, S., Sha, X., Sun, X."Cimigenol depresses acute myeloid leukemia cells protected by breaking bone marrow stromal cells via CXCR4/SDF‑1α". Experimental and Therapeutic Medicine 25, no. 2 (2023): 80. https://doi.org/10.3892/etm.2022.11779
Copy and paste a formatted citation
x
Spandidos Publications style
Ma B, Dai H, Dai X, Qian S, Sha X and Sun X: Cimigenol depresses acute myeloid leukemia cells protected by breaking bone marrow stromal cells via CXCR4/SDF‑1α. Exp Ther Med 25: 80, 2023.
APA
Ma, B., Dai, H., Dai, X., Qian, S., Sha, X., & Sun, X. (2023). Cimigenol depresses acute myeloid leukemia cells protected by breaking bone marrow stromal cells via CXCR4/SDF‑1α. Experimental and Therapeutic Medicine, 25, 80. https://doi.org/10.3892/etm.2022.11779
MLA
Ma, B., Dai, H., Dai, X., Qian, S., Sha, X., Sun, X."Cimigenol depresses acute myeloid leukemia cells protected by breaking bone marrow stromal cells via CXCR4/SDF‑1α". Experimental and Therapeutic Medicine 25.2 (2023): 80.
Chicago
Ma, B., Dai, H., Dai, X., Qian, S., Sha, X., Sun, X."Cimigenol depresses acute myeloid leukemia cells protected by breaking bone marrow stromal cells via CXCR4/SDF‑1α". Experimental and Therapeutic Medicine 25, no. 2 (2023): 80. https://doi.org/10.3892/etm.2022.11779
Follow us
  • Twitter
  • LinkedIn
  • Facebook
About
  • Spandidos Publications
  • Careers
  • Cookie Policy
  • Privacy Policy
How can we help?
  • Help
  • Live Chat
  • Contact
  • Email to our Support Team