Spandidos Publications Logo
  • About
    • About Spandidos
    • Aims and Scopes
    • Abstracting and Indexing
    • Editorial Policies
    • Reprints and Permissions
    • Job Opportunities
    • Terms and Conditions
    • Contact
  • Journals
    • All Journals
    • Oncology Letters
      • Oncology Letters
      • Information for Authors
      • Editorial Policies
      • Editorial Board
      • Aims and Scope
      • Abstracting and Indexing
      • Bibliographic Information
      • Archive
    • International Journal of Oncology
      • International Journal of Oncology
      • Information for Authors
      • Editorial Policies
      • Editorial Board
      • Aims and Scope
      • Abstracting and Indexing
      • Bibliographic Information
      • Archive
    • Molecular and Clinical Oncology
      • Molecular and Clinical Oncology
      • Information for Authors
      • Editorial Policies
      • Editorial Board
      • Aims and Scope
      • Abstracting and Indexing
      • Bibliographic Information
      • Archive
    • Experimental and Therapeutic Medicine
      • Experimental and Therapeutic Medicine
      • Information for Authors
      • Editorial Policies
      • Editorial Board
      • Aims and Scope
      • Abstracting and Indexing
      • Bibliographic Information
      • Archive
    • International Journal of Molecular Medicine
      • International Journal of Molecular Medicine
      • Information for Authors
      • Editorial Policies
      • Editorial Board
      • Aims and Scope
      • Abstracting and Indexing
      • Bibliographic Information
      • Archive
    • Biomedical Reports
      • Biomedical Reports
      • Information for Authors
      • Editorial Policies
      • Editorial Board
      • Aims and Scope
      • Abstracting and Indexing
      • Bibliographic Information
      • Archive
    • Oncology Reports
      • Oncology Reports
      • Information for Authors
      • Editorial Policies
      • Editorial Board
      • Aims and Scope
      • Abstracting and Indexing
      • Bibliographic Information
      • Archive
    • Molecular Medicine Reports
      • Molecular Medicine Reports
      • Information for Authors
      • Editorial Policies
      • Editorial Board
      • Aims and Scope
      • Abstracting and Indexing
      • Bibliographic Information
      • Archive
    • World Academy of Sciences Journal
      • World Academy of Sciences Journal
      • Information for Authors
      • Editorial Policies
      • Editorial Board
      • Aims and Scope
      • Abstracting and Indexing
      • Bibliographic Information
      • Archive
    • International Journal of Functional Nutrition
      • International Journal of Functional Nutrition
      • Information for Authors
      • Editorial Policies
      • Editorial Board
      • Aims and Scope
      • Abstracting and Indexing
      • Bibliographic Information
      • Archive
    • International Journal of Epigenetics
      • International Journal of Epigenetics
      • Information for Authors
      • Editorial Policies
      • Editorial Board
      • Aims and Scope
      • Abstracting and Indexing
      • Bibliographic Information
      • Archive
    • Medicine International
      • Medicine International
      • Information for Authors
      • Editorial Policies
      • Editorial Board
      • Aims and Scope
      • Abstracting and Indexing
      • Bibliographic Information
      • Archive
  • Articles
  • Information
    • Information for Authors
    • Information for Reviewers
    • Information for Librarians
    • Information for Advertisers
    • Conferences
  • Language Editing
Spandidos Publications Logo
  • About
    • About Spandidos
    • Aims and Scopes
    • Abstracting and Indexing
    • Editorial Policies
    • Reprints and Permissions
    • Job Opportunities
    • Terms and Conditions
    • Contact
  • Journals
    • All Journals
    • Biomedical Reports
      • Information for Authors
      • Editorial Policies
      • Editorial Board
      • Aims and Scope
      • Abstracting and Indexing
      • Bibliographic Information
      • Archive
    • Experimental and Therapeutic Medicine
      • Information for Authors
      • Editorial Policies
      • Editorial Board
      • Aims and Scope
      • Abstracting and Indexing
      • Bibliographic Information
      • Archive
    • International Journal of Epigenetics
      • Information for Authors
      • Editorial Policies
      • Editorial Board
      • Aims and Scope
      • Abstracting and Indexing
      • Bibliographic Information
      • Archive
    • International Journal of Functional Nutrition
      • Information for Authors
      • Editorial Policies
      • Editorial Board
      • Aims and Scope
      • Abstracting and Indexing
      • Bibliographic Information
      • Archive
    • International Journal of Molecular Medicine
      • Information for Authors
      • Editorial Policies
      • Editorial Board
      • Aims and Scope
      • Abstracting and Indexing
      • Bibliographic Information
      • Archive
    • International Journal of Oncology
      • Information for Authors
      • Editorial Policies
      • Editorial Board
      • Aims and Scope
      • Abstracting and Indexing
      • Bibliographic Information
      • Archive
    • Medicine International
      • Information for Authors
      • Editorial Policies
      • Editorial Board
      • Aims and Scope
      • Abstracting and Indexing
      • Bibliographic Information
      • Archive
    • Molecular and Clinical Oncology
      • Information for Authors
      • Editorial Policies
      • Editorial Board
      • Aims and Scope
      • Abstracting and Indexing
      • Bibliographic Information
      • Archive
    • Molecular Medicine Reports
      • Information for Authors
      • Editorial Policies
      • Editorial Board
      • Aims and Scope
      • Abstracting and Indexing
      • Bibliographic Information
      • Archive
    • Oncology Letters
      • Information for Authors
      • Editorial Policies
      • Editorial Board
      • Aims and Scope
      • Abstracting and Indexing
      • Bibliographic Information
      • Archive
    • Oncology Reports
      • Information for Authors
      • Editorial Policies
      • Editorial Board
      • Aims and Scope
      • Abstracting and Indexing
      • Bibliographic Information
      • Archive
    • World Academy of Sciences Journal
      • Information for Authors
      • Editorial Policies
      • Editorial Board
      • Aims and Scope
      • Abstracting and Indexing
      • Bibliographic Information
      • Archive
  • Articles
  • Information
    • For Authors
    • For Reviewers
    • For Librarians
    • For Advertisers
    • Conferences
  • Language Editing
Login Register Submit
  • This site uses cookies
  • You can change your cookie settings at any time by following the instructions in our Cookie Policy. To find out more, you may read our Privacy Policy.

    I agree
Search articles by DOI, keyword, author or affiliation
Search
Advanced Search
presentation
Molecular Medicine Reports
Join Editorial Board Propose a Special Issue
Print ISSN: 1791-2997 Online ISSN: 1791-3004
Journal Cover
February-2018 Volume 17 Issue 2

Full Size Image

Sign up for eToc alerts
Recommend to Library

Journals

International Journal of Molecular Medicine

International Journal of Molecular Medicine

International Journal of Molecular Medicine is an international journal devoted to molecular mechanisms of human disease.

International Journal of Oncology

International Journal of Oncology

International Journal of Oncology is an international journal devoted to oncology research and cancer treatment.

Molecular Medicine Reports

Molecular Medicine Reports

Covers molecular medicine topics such as pharmacology, pathology, genetics, neuroscience, infectious diseases, molecular cardiology, and molecular surgery.

Oncology Reports

Oncology Reports

Oncology Reports is an international journal devoted to fundamental and applied research in Oncology.

Experimental and Therapeutic Medicine

Experimental and Therapeutic Medicine

Experimental and Therapeutic Medicine is an international journal devoted to laboratory and clinical medicine.

Oncology Letters

Oncology Letters

Oncology Letters is an international journal devoted to Experimental and Clinical Oncology.

Biomedical Reports

Biomedical Reports

Explores a wide range of biological and medical fields, including pharmacology, genetics, microbiology, neuroscience, and molecular cardiology.

Molecular and Clinical Oncology

Molecular and Clinical Oncology

International journal addressing all aspects of oncology research, from tumorigenesis and oncogenes to chemotherapy and metastasis.

World Academy of Sciences Journal

World Academy of Sciences Journal

Multidisciplinary open-access journal spanning biochemistry, genetics, neuroscience, environmental health, and synthetic biology.

International Journal of Functional Nutrition

International Journal of Functional Nutrition

Open-access journal combining biochemistry, pharmacology, immunology, and genetics to advance health through functional nutrition.

International Journal of Epigenetics

International Journal of Epigenetics

Publishes open-access research on using epigenetics to advance understanding and treatment of human disease.

Medicine International

Medicine International

An International Open Access Journal Devoted to General Medicine.

Journal Cover
February-2018 Volume 17 Issue 2

Full Size Image

Sign up for eToc alerts
Recommend to Library

  • Article
  • Citations
    • Cite This Article
    • Download Citation
    • Create Citation Alert
    • Remove Citation Alert
    • Cited By
  • Similar Articles
    • Related Articles (in Spandidos Publications)
    • Similar Articles (Google Scholar)
    • Similar Articles (PubMed)
  • Download PDF
  • Download XML
  • View XML
Article Open Access

Calcium channels are involved in EphB/ephrinB reverse signaling‑induced apoptosis in a rat chronic ocular hypertension model

  • Authors:
    • Lingdan Dong
    • Xianglin Cheng
    • Long Zhou
    • Yanhong Hu
  • View Affiliations / Copyright

    Affiliations: Central Laboratory, First People's Hospital of Jingzhou, First Affiliated Hospital of Yangtze University, Jingzhou, Hubei 434000, P.R. China , Department of Neurology, First People's Hospital of Jingzhou, First Affiliated Hospital of Yangtze University, Jingzhou, Hubei 434000, P.R. China, Department of Pathology, First People's Hospital of Jingzhou, First Affiliated Hospital of Yangtze University, Jingzhou, Hubei 434000, P.R. China, Nursing Department of Medical School of Yangtze University, Jingzhou, Hubei 434000, P.R. China
    Copyright: © Dong et al. This is an open access article distributed under the terms of Creative Commons Attribution License.
  • Pages: 2465-2471
    |
    Published online on: November 27, 2017
       https://doi.org/10.3892/mmr.2017.8162
  • Expand metrics +
Metrics: Total Views: 0 (Spandidos Publications: | PMC Statistics: )
Metrics: Total PDF Downloads: 0 (Spandidos Publications: | PMC Statistics: )
Cited By (CrossRef): 0 citations Loading Articles...

This article is mentioned in:



Abstract

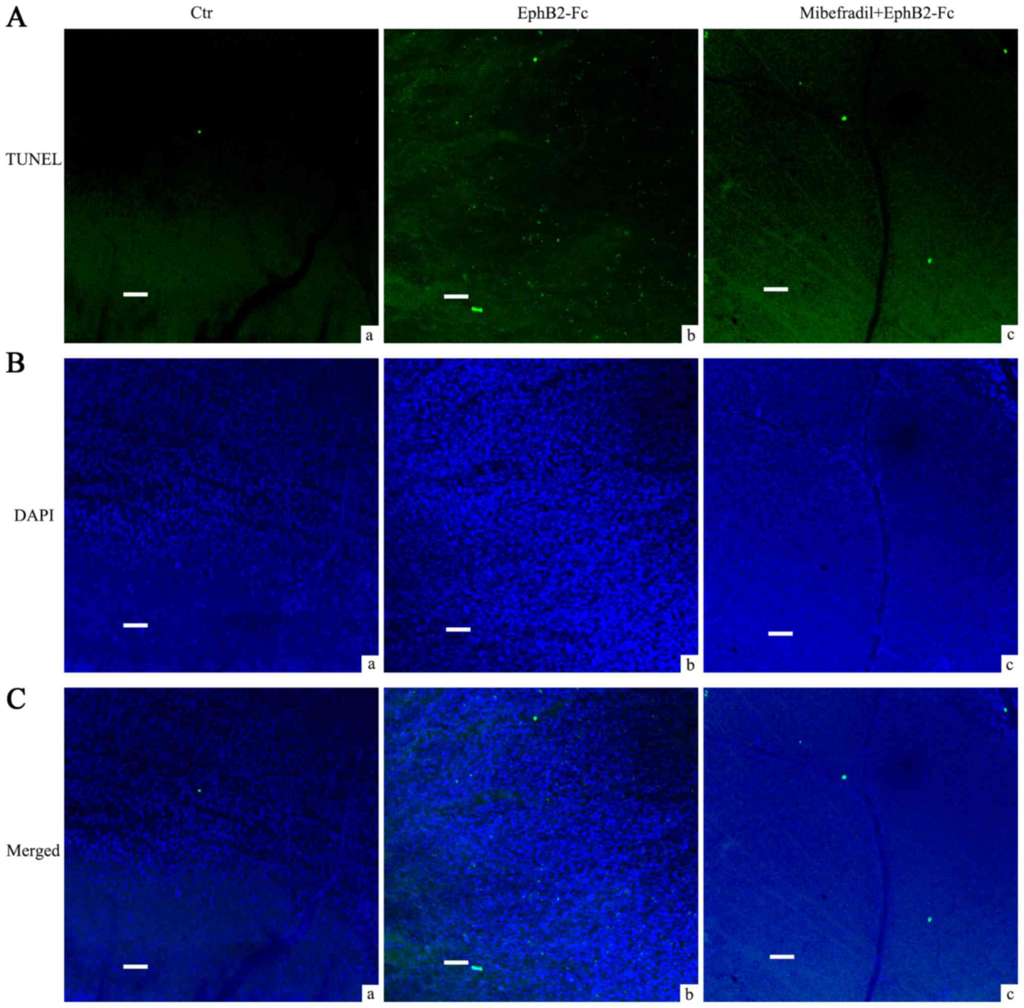
Erythropoietin-producing hepatocyte receptor B (EphB)/ephrinB reverse signaling has been revealed to be activated in chronic ocular hypertension (COH) by increasing the apoptosis of retinal ganglion cells (RGCs). However, the exact mechanism is not well understood. The present study investigated the involvement of Ca2+ channels in the apoptosis of RGCs induced by EphB/ephrinB reverse signaling in a rat CHO model, which was established by cauterizing 3 out of the 4 episcleral veins. The expression levels of four voltage‑gated Ca2+ channel subunits (Cav3.1‑3.3 and Cav1.2) were detected using immunofluorescence and western blot analysis. TUNEL staining was performed to assess RGC apoptosis following an injection with the T type Ca2+ channel blocker. Ca2+ channels, mainly the T type, were upregulated in COH rat retinas when compared with the sham group (P<0.01). Additionally, the Cav3.2 subunit of T type calcium channels was predominantly expressed in Müller cells and RGCs, such as ephrinB2. Furthermore, an intravitreal injection of the Ca2+ channel blocker Mibefradil (3 µM) reduced EphB2‑fragment crystallizable region‑induced RGC apoptosis in normal rats. Thus, the results suggest that Ca2+ channels in a COH model may be a pathway involved in ephrinB/EphB signaling‑induced RGC apoptosis.
View Figures

Figure 1

Figure 2

Figure 3

Figure 4

Figure 5

View References

1 

Pasquale EB: Eph receptor signaling casts a wide net on cell behavior. Nat Rev Mol Cell Biol. 6:462–475. 2005. View Article : Google Scholar : PubMed/NCBI

2 

Yamaguchi Y and Pasquale EB: Eph receptors in the adult brain. Curr Opin Neurobiol. 14:288–296. 2004. View Article : Google Scholar : PubMed/NCBI

3 

Pasquale EB: Eph-ephrin bidirectional signaling in physiology and disease. Cell. 133:38–52. 2008. View Article : Google Scholar : PubMed/NCBI

4 

Egea J and Klein R: Bidirectional Eph-ephrin signaling during axon guidance. Trends Cell Biol. 17:230–238. 2007. View Article : Google Scholar : PubMed/NCBI

5 

Himanen JP, Saha N and Nikolov DB: Cell-cell signaling via Eph receptors and ephrins. Curr Opin Cell Biol. 19:534–542. 2007. View Article : Google Scholar : PubMed/NCBI

6 

Klein R: Bidirectional modulation of synaptic functions by Eph/ephrin signaling. Nat Neurosci. 12:15–20. 2009. View Article : Google Scholar : PubMed/NCBI

7 

Chen Y, Fu AK and Ip NY: Eph receptors at synapses: Implications in neurodegenerative diseases. Cell Signal. 24:606–611. 2012. View Article : Google Scholar : PubMed/NCBI

8 

Lai KO and Ip NY: Synapse development and plasticity: Roles of ephrin/Eph receptor signaling. Curr Opin Neurobiol. 19:275–283. 2009. View Article : Google Scholar : PubMed/NCBI

9 

Dalva MB, Takasu MA, Lin MZ, Shamah SM, Hu L, Gale NW and Greenberg ME: EphB receptors interact with NMDA receptors and regulate excitatory synapse formation. Cell. 103:945–956. 2000. View Article : Google Scholar : PubMed/NCBI

10 

Takasu MA, Dalva MB, Zigmond RE and Greenberg ME: Modulation of NMDA receptor-dependent calcium influx and gene expression through EphB receptors. Science. 295:491–495. 2002. View Article : Google Scholar : PubMed/NCBI

11 

Grunwald IC, Korte M, Adelmann G, Plueck A, Kullander K, Adams RH, Frotscher M, Bonhoeffer T and Klein R: Hippocampal plasticity requires postsynaptic ephrinBs. Nat Neurosci. 7:33–40. 2004. View Article : Google Scholar : PubMed/NCBI

12 

Calò L, Spillantini M, Nicoletti F and Allen ND: Nurr1 co-localizes with EphB1 receptors in the developing ventral midbrain, and its expression is enhanced by the EphB1 ligand, ephrinB2. J Neurochem. 92:235–245. 2005. View Article : Google Scholar : PubMed/NCBI

13 

Calò L, Cinque C, Patanè M, Schillaci D, Battaglia G, Melchiorri D, Nicoletti F and Bruno V: Interaction between ephrins/Eph receptors and excitatory amino acid receptors: Possible relevance in the regulation of synaptic plasticity and in the pathophysiology of neuronal degeneration. J Neurochem. 98:1–10. 2006. View Article : Google Scholar : PubMed/NCBI

14 

Du J, Tran T, Fu C and Sretavan DW: Upregulation of EphB2 and ephrin-B2 at the optic nerve head of DBA/2J glaucomatous mice coincides with axon loss. Invest Ophthalmol Vis Sci. 48:5567–5581. 2007. View Article : Google Scholar : PubMed/NCBI

15 

Fu CT, Tran T and Sretavan D: Axonal/glial upregulation of EphB/ephrin-B signaling in mouse experimental ocular hypertension. Invest Ophthalmol Vis Sci. 51:991–1001. 2010. View Article : Google Scholar : PubMed/NCBI

16 

Dong LD, Gao F, Wang XH, Miao Y, Wang SY, Wu Y, Li F, Wu J, Cheng XL, Sun XH, et al: GluA2 trafficking is involved in apoptosis of retinal ganglion cells induced by activation of EphB/EphrinB reverse signaling in a rat chronic ocular hypertension model. J Neurosci. 35:5409–5421. 2015. View Article : Google Scholar : PubMed/NCBI

17 

Sappington RM, Sidorova T, Long DJ and Calkins DJ: TRPV1: Contribution to retinal ganglion cell apoptosis and increased intracellular Ca2+ with exposure to hydrostatic pressure. Invest Ophthalmol Vis Sci. 50:717–728. 2009. View Article : Google Scholar : PubMed/NCBI

18 

Ryskamp DA, Witkovsky P, Barabas P, Huang W, Koehler C, Akimov NP, Lee SH, Chauhan S, Xing W, Rentería RC, et al: The polymodal ion channel transient receptor potential vanilloid 4 modulates calcium flux, spiking rate, and apoptosis of mouse retinal ganglion cells. J Neurosci. 31:7089–7101. 2011. View Article : Google Scholar : PubMed/NCBI

19 

Poornima V, Madhupriya M, Kootar S, Sujatha G, Kumar A and Bera AK: P2×7 receptor-pannexin 1 hemichannel association: Effect of extracellular calcium on membrane permeabilization. J Mol Neurosci. 46:585–594. 2012. View Article : Google Scholar : PubMed/NCBI

20 

Bissig D, Goebel D and Berkowitz BA: Diminished vision in healthy aging is associated with increased retinal L-type voltage gated calcium channel ion influx. PLoS One. 8:e563402013. View Article : Google Scholar : PubMed/NCBI

21 

Tomita G: The optic nerve head in normal-tension glaucoma. Curr Opin Ophthalmol. 11:116–120. 2000. View Article : Google Scholar : PubMed/NCBI

22 

Wang SY, Singh K and Lin SC: The association between glaucoma prevalence and supplementation with the oxidants calcium and iron. Invest Ophthalmol Vis Sci. 53:725–731. 2012. View Article : Google Scholar : PubMed/NCBI

23 

Chen J, Miao Y, Wang XH and Wang Z: Elevation of p-NR2A(S1232) by Cdk5/p35 contributes to retinal ganglion cell apoptosis in a rat experimental glaucoma model. Neurobiol Dis. 43:455–464. 2011. View Article : Google Scholar : PubMed/NCBI

24 

Ji M, Miao Y, Dong LD, Chen J, Mo XF, Jiang SX, Sun XH, Yang XL and Wang Z: Group I mGluR-mediated inhibition of Kir channels contributes to retinal Müller cell gliosis in a rat chronic ocular hypertension model. J Neurosci. 32:12744–12755. 2012. View Article : Google Scholar : PubMed/NCBI

25 

Yang W, Li Q, Wang SY, Gao F, Qian WJ, Li F, Ji M, Sun XH, Miao Y and Wang Z: Cannabinoid receptor agonists modulate calcium channels in rat retinal Müller cells. Neuroscience. 313:213–224. 2016. View Article : Google Scholar : PubMed/NCBI

26 

Calò L, Bruno V, Spinsanti P, Molinari G, Korkhov V, Esposito Z, Patanè M, Melchiorri D, Freissmuth M and Nicoletti F: Interactions between ephrin-B and metabotropic glutamate 1 receptors in brain tissue and cultured neurons. J Neurosci. 25:2245–2254. 2005. View Article : Google Scholar : PubMed/NCBI

27 

Hallett PJ and Standaert DG: Rationale for and use of NMDA receptor antagonists in Parkinson's disease. Pharmacol Ther. 102:155–174. 2004. View Article : Google Scholar : PubMed/NCBI

28 

Surmeier DJ: Calcium ageing, and neuronal vulnerability in Parkinson's disease. Lancet Neurol. 6:933–938. 2007. View Article : Google Scholar : PubMed/NCBI

29 

Fan MM and Raymond LA: N-methyl-D-aspartate (NMDA) receptor function and excitotoxicity in Huntington's disease. Prog Neurobiol. 81:272–293. 2007. View Article : Google Scholar : PubMed/NCBI

30 

Bezprozvanny I: Inositol 1,4,5-tripshosphate receptor, calcium signalling and Huntington's disease. Subcell Biochem. 45:323–335. 2007. View Article : Google Scholar : PubMed/NCBI

31 

Bezprozvanny I and Mattson MP: Neuronal calcium mishandling and the pathogenesis of Alzheimer's disease. Trends Neurosci. 31:454–463. 2008. View Article : Google Scholar : PubMed/NCBI

32 

Green KN and LaFerla FM: Linking calcium to Abeta and Alzheimer's disease. Neuron. 59:190–194. 2008. View Article : Google Scholar : PubMed/NCBI

33 

Delbono O, Garcia J, Appel SH and Stefani E: IgG from amyotrophic lateral sclerosis affects tubular calcium channels of skeletal muscle. Am J Physiol. 260:C1347–C1351. 1991.PubMed/NCBI

34 

Arsac C, Raymond C, Martin-Moutot N, Dargent B, Couraud F, Pouget J and Seagar M: Immunoassays fail to detect antibodies against neuronal calcium channels in amyotrophic lateral sclerosis serum. Ann Neurol. 40:695–700. 1996. View Article : Google Scholar : PubMed/NCBI

35 

Mayama C: Calcium channels and their blockers in intraocular pressure and glaucoma. Eur J Pharmacol. 739:96–105. 2014. View Article : Google Scholar : PubMed/NCBI

36 

Hu XQ, Singh N, Mukhopadhyay D and Akbarali HI: Modulation of voltage-dependent Ca2+ channels in rabbit colonic smooth muscle cells by c-Src and focal adhesion kinase. J Biol Chem. 273:5337–5342. 1998. View Article : Google Scholar : PubMed/NCBI

37 

Bence-Hanulec KK, Marshall J and Blair LA: Potentiation of neuronal L calcium channels by IGF-1 requires phosphorylation of the alpha1 subunit on a specific tyrosine residue. Neuron. 27:121–131. 2000. View Article : Google Scholar : PubMed/NCBI

38 

Bogdelis A, Treinys R, Stankevičius E, Jurevičius J and Skeberdis VA: Src family protein tyrosine kinases modulate L-type calcium current in human atrial myocytes. Biochem Biophys Res Commun. 413:116–121. 2011. View Article : Google Scholar : PubMed/NCBI

39 

Wang Y, Mishra R and Simonson MS: Ca2+/calmodulin-dependent protein kinase II stimulates c-fos transcription and DNA synthesis by a Src-based mechanism in glomerular mesangial cells. J Am Soc Nephrol. 14:28–36. 2003. View Article : Google Scholar : PubMed/NCBI

40 

Pasek JG, Wang X and Colbran RJ: Differential CaMKII regulation by voltage-gated calcium channels in the striatum. Mol Cell Neurosci. 68:234–243. 2015. View Article : Google Scholar : PubMed/NCBI

41 

Blesneac I, Chemin J, Bidaud I, Huc-Brandt S, Vandermoere F and Lory P: Phosphorylation of the Cav3.2 T-type calcium channel directly regulates its gating properties. Proc Natl Acad Sci USA. 112:pp. 13705–13710. 2015; View Article : Google Scholar : PubMed/NCBI

Related Articles

  • Abstract
  • View
  • Download
  • Twitter
Copy and paste a formatted citation
Spandidos Publications style
Dong L, Cheng X, Zhou L and Hu Y: Calcium channels are involved in EphB/ephrinB reverse signaling‑induced apoptosis in a rat chronic ocular hypertension model. Mol Med Rep 17: 2465-2471, 2018.
APA
Dong, L., Cheng, X., Zhou, L., & Hu, Y. (2018). Calcium channels are involved in EphB/ephrinB reverse signaling‑induced apoptosis in a rat chronic ocular hypertension model. Molecular Medicine Reports, 17, 2465-2471. https://doi.org/10.3892/mmr.2017.8162
MLA
Dong, L., Cheng, X., Zhou, L., Hu, Y."Calcium channels are involved in EphB/ephrinB reverse signaling‑induced apoptosis in a rat chronic ocular hypertension model". Molecular Medicine Reports 17.2 (2018): 2465-2471.
Chicago
Dong, L., Cheng, X., Zhou, L., Hu, Y."Calcium channels are involved in EphB/ephrinB reverse signaling‑induced apoptosis in a rat chronic ocular hypertension model". Molecular Medicine Reports 17, no. 2 (2018): 2465-2471. https://doi.org/10.3892/mmr.2017.8162
Copy and paste a formatted citation
x
Spandidos Publications style
Dong L, Cheng X, Zhou L and Hu Y: Calcium channels are involved in EphB/ephrinB reverse signaling‑induced apoptosis in a rat chronic ocular hypertension model. Mol Med Rep 17: 2465-2471, 2018.
APA
Dong, L., Cheng, X., Zhou, L., & Hu, Y. (2018). Calcium channels are involved in EphB/ephrinB reverse signaling‑induced apoptosis in a rat chronic ocular hypertension model. Molecular Medicine Reports, 17, 2465-2471. https://doi.org/10.3892/mmr.2017.8162
MLA
Dong, L., Cheng, X., Zhou, L., Hu, Y."Calcium channels are involved in EphB/ephrinB reverse signaling‑induced apoptosis in a rat chronic ocular hypertension model". Molecular Medicine Reports 17.2 (2018): 2465-2471.
Chicago
Dong, L., Cheng, X., Zhou, L., Hu, Y."Calcium channels are involved in EphB/ephrinB reverse signaling‑induced apoptosis in a rat chronic ocular hypertension model". Molecular Medicine Reports 17, no. 2 (2018): 2465-2471. https://doi.org/10.3892/mmr.2017.8162
Follow us
  • Twitter
  • LinkedIn
  • Facebook
About
  • Spandidos Publications
  • Careers
  • Cookie Policy
  • Privacy Policy
How can we help?
  • Help
  • Live Chat
  • Contact
  • Email to our Support Team