Spandidos Publications Logo
  • About
    • About Spandidos
    • Aims and Scopes
    • Abstracting and Indexing
    • Editorial Policies
    • Reprints and Permissions
    • Job Opportunities
    • Terms and Conditions
    • Contact
  • Journals
    • All Journals
    • Oncology Letters
      • Oncology Letters
      • Information for Authors
      • Editorial Policies
      • Editorial Board
      • Aims and Scope
      • Abstracting and Indexing
      • Bibliographic Information
      • Archive
    • International Journal of Oncology
      • International Journal of Oncology
      • Information for Authors
      • Editorial Policies
      • Editorial Board
      • Aims and Scope
      • Abstracting and Indexing
      • Bibliographic Information
      • Archive
    • Molecular and Clinical Oncology
      • Molecular and Clinical Oncology
      • Information for Authors
      • Editorial Policies
      • Editorial Board
      • Aims and Scope
      • Abstracting and Indexing
      • Bibliographic Information
      • Archive
    • Experimental and Therapeutic Medicine
      • Experimental and Therapeutic Medicine
      • Information for Authors
      • Editorial Policies
      • Editorial Board
      • Aims and Scope
      • Abstracting and Indexing
      • Bibliographic Information
      • Archive
    • International Journal of Molecular Medicine
      • International Journal of Molecular Medicine
      • Information for Authors
      • Editorial Policies
      • Editorial Board
      • Aims and Scope
      • Abstracting and Indexing
      • Bibliographic Information
      • Archive
    • Biomedical Reports
      • Biomedical Reports
      • Information for Authors
      • Editorial Policies
      • Editorial Board
      • Aims and Scope
      • Abstracting and Indexing
      • Bibliographic Information
      • Archive
    • Oncology Reports
      • Oncology Reports
      • Information for Authors
      • Editorial Policies
      • Editorial Board
      • Aims and Scope
      • Abstracting and Indexing
      • Bibliographic Information
      • Archive
    • Molecular Medicine Reports
      • Molecular Medicine Reports
      • Information for Authors
      • Editorial Policies
      • Editorial Board
      • Aims and Scope
      • Abstracting and Indexing
      • Bibliographic Information
      • Archive
    • World Academy of Sciences Journal
      • World Academy of Sciences Journal
      • Information for Authors
      • Editorial Policies
      • Editorial Board
      • Aims and Scope
      • Abstracting and Indexing
      • Bibliographic Information
      • Archive
    • International Journal of Functional Nutrition
      • International Journal of Functional Nutrition
      • Information for Authors
      • Editorial Policies
      • Editorial Board
      • Aims and Scope
      • Abstracting and Indexing
      • Bibliographic Information
      • Archive
    • International Journal of Epigenetics
      • International Journal of Epigenetics
      • Information for Authors
      • Editorial Policies
      • Editorial Board
      • Aims and Scope
      • Abstracting and Indexing
      • Bibliographic Information
      • Archive
    • Medicine International
      • Medicine International
      • Information for Authors
      • Editorial Policies
      • Editorial Board
      • Aims and Scope
      • Abstracting and Indexing
      • Bibliographic Information
      • Archive
  • Articles
  • Information
    • Information for Authors
    • Information for Reviewers
    • Information for Librarians
    • Information for Advertisers
    • Conferences
  • Language Editing
Spandidos Publications Logo
  • About
    • About Spandidos
    • Aims and Scopes
    • Abstracting and Indexing
    • Editorial Policies
    • Reprints and Permissions
    • Job Opportunities
    • Terms and Conditions
    • Contact
  • Journals
    • All Journals
    • Biomedical Reports
      • Information for Authors
      • Editorial Policies
      • Editorial Board
      • Aims and Scope
      • Abstracting and Indexing
      • Bibliographic Information
      • Archive
    • Experimental and Therapeutic Medicine
      • Information for Authors
      • Editorial Policies
      • Editorial Board
      • Aims and Scope
      • Abstracting and Indexing
      • Bibliographic Information
      • Archive
    • International Journal of Epigenetics
      • Information for Authors
      • Editorial Policies
      • Editorial Board
      • Aims and Scope
      • Abstracting and Indexing
      • Bibliographic Information
      • Archive
    • International Journal of Functional Nutrition
      • Information for Authors
      • Editorial Policies
      • Editorial Board
      • Aims and Scope
      • Abstracting and Indexing
      • Bibliographic Information
      • Archive
    • International Journal of Molecular Medicine
      • Information for Authors
      • Editorial Policies
      • Editorial Board
      • Aims and Scope
      • Abstracting and Indexing
      • Bibliographic Information
      • Archive
    • International Journal of Oncology
      • Information for Authors
      • Editorial Policies
      • Editorial Board
      • Aims and Scope
      • Abstracting and Indexing
      • Bibliographic Information
      • Archive
    • Medicine International
      • Information for Authors
      • Editorial Policies
      • Editorial Board
      • Aims and Scope
      • Abstracting and Indexing
      • Bibliographic Information
      • Archive
    • Molecular and Clinical Oncology
      • Information for Authors
      • Editorial Policies
      • Editorial Board
      • Aims and Scope
      • Abstracting and Indexing
      • Bibliographic Information
      • Archive
    • Molecular Medicine Reports
      • Information for Authors
      • Editorial Policies
      • Editorial Board
      • Aims and Scope
      • Abstracting and Indexing
      • Bibliographic Information
      • Archive
    • Oncology Letters
      • Information for Authors
      • Editorial Policies
      • Editorial Board
      • Aims and Scope
      • Abstracting and Indexing
      • Bibliographic Information
      • Archive
    • Oncology Reports
      • Information for Authors
      • Editorial Policies
      • Editorial Board
      • Aims and Scope
      • Abstracting and Indexing
      • Bibliographic Information
      • Archive
    • World Academy of Sciences Journal
      • Information for Authors
      • Editorial Policies
      • Editorial Board
      • Aims and Scope
      • Abstracting and Indexing
      • Bibliographic Information
      • Archive
  • Articles
  • Information
    • For Authors
    • For Reviewers
    • For Librarians
    • For Advertisers
    • Conferences
  • Language Editing
Login Register Submit
  • This site uses cookies
  • You can change your cookie settings at any time by following the instructions in our Cookie Policy. To find out more, you may read our Privacy Policy.

    I agree
Search articles by DOI, keyword, author or affiliation
Search
Advanced Search
presentation
Molecular Medicine Reports
Join Editorial Board Propose a Special Issue
Print ISSN: 1791-2997 Online ISSN: 1791-3004
Journal Cover
November-2017 Volume 16 Issue 5

Full Size Image

Sign up for eToc alerts
Recommend to Library

Journals

International Journal of Molecular Medicine

International Journal of Molecular Medicine

International Journal of Molecular Medicine is an international journal devoted to molecular mechanisms of human disease.

International Journal of Oncology

International Journal of Oncology

International Journal of Oncology is an international journal devoted to oncology research and cancer treatment.

Molecular Medicine Reports

Molecular Medicine Reports

Covers molecular medicine topics such as pharmacology, pathology, genetics, neuroscience, infectious diseases, molecular cardiology, and molecular surgery.

Oncology Reports

Oncology Reports

Oncology Reports is an international journal devoted to fundamental and applied research in Oncology.

Experimental and Therapeutic Medicine

Experimental and Therapeutic Medicine

Experimental and Therapeutic Medicine is an international journal devoted to laboratory and clinical medicine.

Oncology Letters

Oncology Letters

Oncology Letters is an international journal devoted to Experimental and Clinical Oncology.

Biomedical Reports

Biomedical Reports

Explores a wide range of biological and medical fields, including pharmacology, genetics, microbiology, neuroscience, and molecular cardiology.

Molecular and Clinical Oncology

Molecular and Clinical Oncology

International journal addressing all aspects of oncology research, from tumorigenesis and oncogenes to chemotherapy and metastasis.

World Academy of Sciences Journal

World Academy of Sciences Journal

Multidisciplinary open-access journal spanning biochemistry, genetics, neuroscience, environmental health, and synthetic biology.

International Journal of Functional Nutrition

International Journal of Functional Nutrition

Open-access journal combining biochemistry, pharmacology, immunology, and genetics to advance health through functional nutrition.

International Journal of Epigenetics

International Journal of Epigenetics

Publishes open-access research on using epigenetics to advance understanding and treatment of human disease.

Medicine International

Medicine International

An International Open Access Journal Devoted to General Medicine.

Journal Cover
November-2017 Volume 16 Issue 5

Full Size Image

Sign up for eToc alerts
Recommend to Library

  • Article
  • Citations
    • Cite This Article
    • Download Citation
    • Create Citation Alert
    • Remove Citation Alert
    • Cited By
  • Similar Articles
    • Related Articles (in Spandidos Publications)
    • Similar Articles (Google Scholar)
    • Similar Articles (PubMed)
  • Download PDF
  • Download XML
  • View XML
Article

Ferruginol exhibits anticancer effects in OVCAR‑3 human ovary cancer cells by inducing apoptosis, inhibition of cancer cell migration and G2/M phase cell cycle arrest

Retraction in: /10.3892/mmr.2021.11868
  • Authors:
    • Wen‑Dong Xiong
    • Jian Gong
    • Chao Xing
  • View Affiliations / Copyright

    Affiliations: Department of Obstetrics and Gynecology, The Second Affiliated Hospital and Yuying Children's Hospital of Wenzhou Medical University, Wenzhou, Zhejiang 325027, P.R. China, Department of Clinical Laboratory, The Second Affiliated Hospital and Yuying Children's Hospital of Wenzhou Medical University, Wenzhou, Zhejiang 325027, P.R. China
  • Pages: 7013-7017
    |
    Published online on: September 13, 2017
       https://doi.org/10.3892/mmr.2017.7484
  • Expand metrics +
Metrics: Total Views: 0 (Spandidos Publications: | PMC Statistics: )
Metrics: Total PDF Downloads: 0 (Spandidos Publications: | PMC Statistics: )
Cited By (CrossRef): 0 citations Loading Articles...

This article is mentioned in:



Abstract

The primary aim of the current study was to investigate the antitumor effects of ferruginol in OVCAR‑3 human ovary cancer cells. The effects of ferruginol on cell apoptosis, cell migration and cell cycle phase distribution were also evaluated. Cell cytotoxicity induced by ferruginol was determined by an MTT assay, while fluorescence microscopy and transmission electron microscopy (TEM) were performed to investigate apoptotic effects. Flow cytometry was employed to determine the effects of ferruginol on the cell cycle and an in vitro wound healing assay was performed to investigate effects on cancer cell migration. The results indicated that ferruginol inhibited the growth rate of OVACR‑3 cells in a dose‑ and time‑dependent manner. When cells were treated with 20, 80 and 300 µM ferruginol, cells began to exhibit yellow fluorescence, which indicated the onset of apoptosis. TEM results demonstrated that untreated control cells exhibited intact nuclei and nucleolus. However, on treating cells with various doses of ferruginol, chromatin condensation occurred and disappearance of the nuclear envelope and formation of apoptotic bodies were also observed. The percentage of migrated cells, determined by the wound healing assay, decreased from 98.7% in control to 68.2% and 45.3 in 80 and 300 µM ferruginol‑treated cells, respectively. Flow cytometry results demonstrated that ferruginol induced G2/M cell cycle arrest in OVCAR‑3 cells. In conclusion, ferruginol may exhibit anticancer effects in OVCAR‑3 human ovary cancer cells by inducing apoptosis, inhibiting cancer cell migration and inducing G2/M cell and may therefore prove beneficial in the treatment and management of ovarian cancer.

Introduction

Ovarian cancer is considered to have one of the highest mortality rates of gynecological malignancies across the globe, which is due to late diagnosis and is associated with poor prognosis. This malignancy is the fourth leading cause of cancer-associated deaths in women worldwide, and ~70–75% of patients with ovarian cancer are diagnosed at an advanced stage of the disease, which makes its treatment very difficult (1,2). Ovarian cancer is classified into two groups that are termed type I and type II; type I tumors are slow growing and are usually present at an early stage, while type II tumors are highly aggressive, fast growing and are present at an advanced stage (3). Treatment of ovarian cancer usually involves surgical resection to reduce the number of cancerous cells, which is followed by adjuvant chemotherapy using taxol/platinum-based drugs. This type of treatment is associated with 75–80% response rates. However, ultimately, after a period of 1–2 years a large number of patients experience disease recurrence and >50% of treated patients eventually relapse (3,4). Certain ovarian tumors may become resistant to platinum or taxol-based chemotherapy, and the next treatment regimen for these patients involves the use of various other potent chemotherapeutic agents, including topotecan, doxorubicin and gemcitabine (4–6). It has been reported that a large fraction of the ovarian cancer cell population is in a dormant and non-proliferating stage, which results in the failure of the majority of chemotherapeutic agents as cytotoxic chemotherapeutic agents kill fast proliferating cells and spare non-proliferating cells, which subsequently acquire resistance. These non-proliferating cells have the capacity to replace a tumor following therapy and lead to disease recurrence (7,8). Therefore, based on the failure of chemotherapy in these cases, and the high recurrence and acquired drug resistance of ovarian tumors, novel, effective and relatively non-toxic anticancer agents that target ovarian cancer cells are required. The primary aim of the present study was to determine the antiproliferative effects of ferruginol, a naturally occurring phenolic meroterpene (abietane diterpene), on OVCAR-3 human ovary cancer cells. The effects of ferruginol on apoptosis induction, cancer cell migration, and cell cycle phase distribution were also investigated.

Materials and methods

Chemicals and other reagents

Ferruginol (>95% purity by high-performance liquid chromatography) and MTT reagent were purchased from Sigma-Aldrich (Merck KGaA; Darmstadt, Germany). Dulbecco's modified Eagle's medium (DMEM), RPMI-1640 medium, acridine orange (AO), ethidium bromide (EB) and propidium iodide (PI) were purchased from Wuhan Boster Biological Technology, Ltd. (Wuhan, China). Fetal bovine serum (FBS), penicillin and streptomycin were purchased from Tianjin Haoyang Biological Products Co., Ltd. (Tianjin, China). All other chemical reagents used were of analytical grade.

Cell lines, culture conditions and MTT cell proliferation assay

OVCAR-3 human ovary cancer cells were purchased from the Cell Bank of the Basic Medical College of Huazhong University of Science and Technology (Wuhan, China). Cells were cultured in DMEM containing 10% FBS with 100 U/ml penicillin and 100 µg/ml streptomycin at 37°C in a humidified atmosphere with 5% CO2. The cell cytotoxicity induced by ferruginol in these cancer cells was evaluated by an MTT cell viability assay using various doses and incubation durations. Briefly, OVCAR-3 cells were plated at a density of 1×106 cells per well in 96-well plates for 12 h at 37°C. The cells were subsequently treated with 20, 40, 80, 160, 300 and 400 µM ferruginol for 24 and 48 h at 37°C, with vehicle control cells being treated with dimethyl sulfoxide instead of ferruginol. MTT solution (10 µl) was added to each well at 37°C for 2 h. The medium was completely removed and 500 µl dimethyl sulfoxide was added to solubilize MTT formazan crystals. The optical density was determined at 570 nm using an ELISA plate reader (Bio-Rad Laboratories, Inc., Hercules, CA, USA).

Fluorescence microscopy assay for apoptosis evaluation

OVCAR-3 human ovary cancer cells were seeded at a density of 2×106 cells per well and exposed to various treatment doses (0, 20, 80 and 300 µM) of ferruginol and incubated for 48 h at 37°C. Cells treated only with pure dimethyl sulfoxide served as vehicle control. Following trypsinization and washing with PBS, cells were stained with acridine orange/ethidium bromide (AO/EB) double stain (1 µl of each 5 mg/ml AO and 3 mg/ml EB stock solution). The cells were then washed with PBS, fixed in formaldehyde (10%) and the again washed with PBS prior to analysis using a fluorescence microscope at ×400 magnification (Nikon Corporation, Tokyo, Japan).

Transmission electron microscopy (TEM) for ultrastructural cell analysis

OVCAR-3 human ovary cancer cells were seeded in a flask at the density of 2×106 cells per well and subsequently treated with various doses (0, 20, 80 and 300 µM) of ferruginol for 48 h at 37°C. Cells were then harvested and washed with PBS twice prior to the addition of 2.5% glutaraldehyde and fixation for 3 h at 37°C. The cells were embedded in an LR White resin for 30 min (Sigma-Aldrich;Merck KGaA) at 37°C. Following embedding, the resin block was sectioned using an ultramicrotome (JEOL, Ltd., Tokyo, Japan) and sections of 50–70 nm thickness were collected. TEM was performed using a transmission electron microscope (JEOL, Ltd.) at ×400 magnification. Apoptosis evaluation was performed by examining the ultrastructural cell changes in ferruginol-treated cells.

In vitro wound healing assay

The wound healing assay was performed as described previously (9). Briefly, OVCAR-3 cells at a density of 2×105 cells/ml were seeded in a 6-well plate and incubated at 37°C to attain a 100% monolayer of confluent cells. After starving cells for 24 h, a 50 ml pipette tip was used to create a straight cell-free wound in the wells. Subsequent to washing with PBS three times, the cells were treated with varying doses (0, 20, 80 and 300 µM) of ferruginol for 48 h at 37°C. Cells were subsequently fixed and stained with 3.5% ethanol containing 1.5% crystal violet dye for 20 min. Using an inverted light microscope (Nikon Corporation), 10 randomly selected fields were photographed and the fraction of cells that migrated into the scratched area was determined visually.

Cell cycle analysis

OVCAR-3 human ovary cancer cells were seeded at 2×105 cells per well in 60-mm plates and treated with 0, 20, 80 and 300 µM ferruginol for 48 h at 37°C. Subsequent to drug treatment, cells were subjected to trypsinization and washed twice with PBS. Cells were fixed with 70% cold ethanol overnight and treated with 20 µg/ml RNase A at 37°C, which was followed by staining with 10 µg/ml PI at 37°C. The DNA content and cell cycle distribution was analyzed by flow cytometry using a FACSCalibur instrument (BD Biosciences, San Jose, CA, USA).

Statistical analysis

Data are presented as the mean ± standard error of the mean of at least three independent experiments. The differences between groups were analyzed by Student t test and one-way analysis of variance (in case of comparisons between >2 groups) using GraphPad Prism 7 software (GraphPad Software Inc., La Jolla, CA, USA). *P<0.05 and **P<0.01 were considered to indicate a statistically significant difference.

Results

Ferruginol induces potent cytotoxicity in OVCAR-3 human ovary cancer cells

Ferruginol belongs to the meroterpene class of natural products and has a phenolic structure (Fig. 1). The cytotoxic effects of ferruginol against OVCAR-3 human ovary cancer cells were evaluated by an MTT cell viability assay at various doses and incubation durations. The results presented in Fig. 2 indicate that ferruginol inhibited the growth rate of OVACR-3 cells in a dose- and time-dependent manner. Cells that were exposed to higher doses and higher treatment durations exhibited lower cell viability (Fig. 2). The IC50 (half maximal inhibitory concentration) provides an indication regarding the effectiveness of a substance in inhibiting a specific biological or biochemical function, and IC50 values for 24 and 48 h treatment durations were determined to be 175.2 and 84.6 µM, respectively.

Figure 1.

Molecular structure of ferruginol (5,6,7,8a, 9,10-hexahydrophenanthren-3-ol).

Figure 2.

Growth inhibitory effects of ferruginol in OVCAR-3 human ovary cancer cells. Cells were treated with 0–400 µM ferruginol and incubated for 24 and 48 h. Data are presented as the mean ± standard deviation of three independent experiments. *P<0.05 and **P<0.01 vs. 0 µM.

Fluorescence microscopic evaluation of ferruginol-induced apoptosis in OVCAR-3 cells

In this assay, fluorescence microscopy using AO/EB staining was employed to investigate apoptotic effects induced by ferruginol in OVCAR-3 human ovary cancer cells. Results presented in Fig. 3 demonstrated that untreated control cells did not exhibit any red/yellow fluorescence, which indicated no signs of apoptosis. However, cells that were treated with 20, 80 and 300 µM ferruginol began to exhibit red/yellow fluorescence, which indicated the onset of the apoptotic process. Furthermore, it was observed that the amount of these apoptotic cells increased with increasing concentrations of ferruginol.

Figure 3.

Apoptotic induction in OVACR-3 human ovary cancer cells was evaluated by fluorescence microscopy. Cells were treated with (A) 0, (B) 20, (C) 80 and (D) 300 µM ferruginol, incubated for 48 h, stained with acridine orange/ethidium bromide stain and examined under a fluorescence microscope (magnification, ×400). Arrows indicate apoptotic cells.

TEM evaluation of apoptosis induction by ferruginol

TEM was also used to investigate the apoptotic effects of ferruginol in OVCAR-3 cells. The results demonstrate that untreated control cells exhibited intact cellular nuclei with undamaged nucleolus (Fig. 4A). However, cells that were treated with increasing concentrations (20, 80 and 300 µM) of ferruginol exhibited chromatin condensation and disappearance of the nuclear envelope. At higher doses of ferruginol, apoptotic body formation was observed (Fig. 4B-D). Therefore, TEM results indicate that ferruginol induced apoptosis-associated morphological changes in OVCAR-3 human ovary cancer cells.

Figure 4.

TEM evaluation of ferruginol-induced apoptosis in OVCAR-3 human ovary cancer cells. Cells were treated with (A) 0, (B) 20, (C) 80 and (D) 300 µM ferruginol and examined using TEM at ×400 magnification. Chromatin condensation and apoptotic body formation (arrows) were observed in ferruginol-treated cells. TEM, transmission electron microscopy.

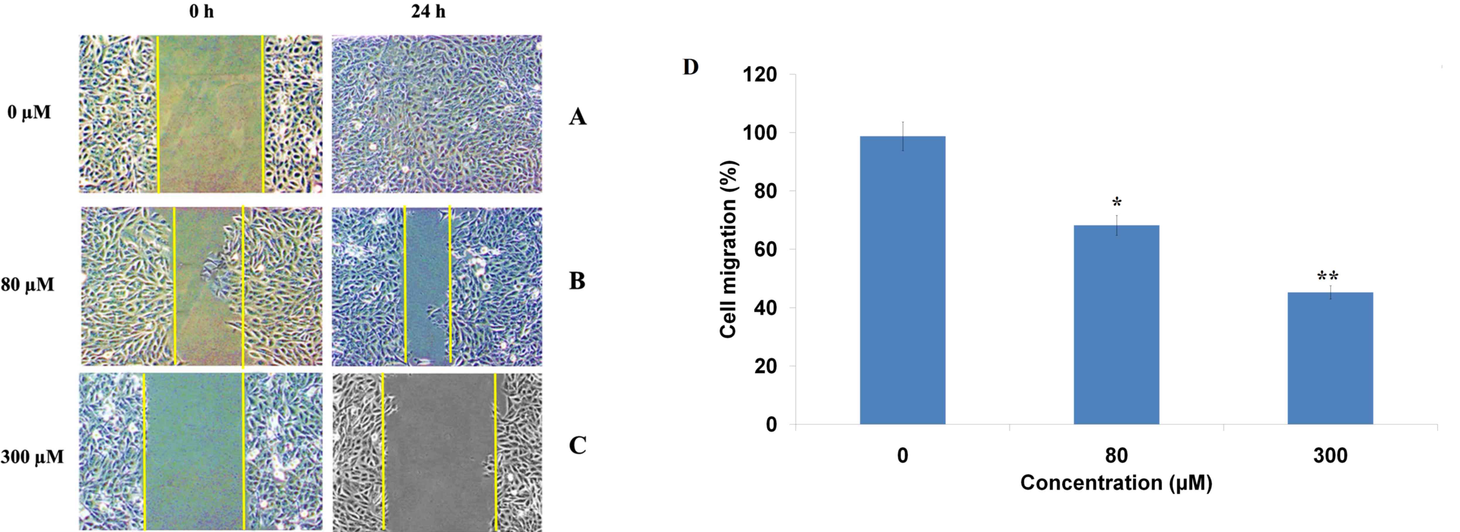
Ferruginol inhibits cancer cell migration

An in vitro wound healing assay was performed to investigate the effects ferruginol on cancer cell migration. The results indicated that the untreated cells did not exhibit any inhibition of cell migration after 24 h incubation with ferruginol. However, after 24 h treatment with 80 and 300 µM ferruginol, a dose-dependent inhibition of OVCAR-3 cancer cell migration was observed (Fig. 5). The percentage of migrated cells decreased from 98.7% in control to 68.2 and 45.3% in 80 and 300 µM ferruginol-treated cells, respectively. The number of cells that migrated into the scratched area were photographed before and after drug treatment, at 0 and 24 h.

Figure 5.

Inhibition of cell migration induced by various doses of ferruginol in OVCAR-3 human ovary cancer cells. Cells were treated with (A) 0, (B) 80 and (C) 300 µM ferruginol for 24 h. Images of treated and untreated cells were captured by a light microscope (magnification, ×200). (D) Cell migration. *P<0.05 and **P<0.01 were considered to indicate a statistically significant difference.

Ferruginol causes G2/M cell cycle arrest in OVCAR-3 cells

The effects of ferruginol on cell cycle phase distribution were observed by flow cytometry using PI as a probe. The results presented in Fig. 6 demonstrated that the number of cells in the G2/M phase of the cell cycle increased in a dose-dependent manner between 0 and 300 µM. The percentage of cells in the sub-G1 phase also increased in a dose-dependent manner. However, the percentage of cells in the G0/G1 phase was decreased in ferruginol-treated groups compared with the control group.

Figure 6.

G2/M cell cycle arrest induced by ferruginol in OVACR-3 human ovary cancer cells. Cells were treated with 0, 20, 80 and 300 µM ferruginol for 48 h and were subsequently analyzed by flow cytometry using propidium iodide. The experiments were carried out it triplicate and the data expressed as mean ± standard deviation.

Discussion

Cancer is an established global health problem and accounts for ~7.6 million deaths (~13% of all deaths) globally, which is expected to increase to 13.1 million by 2030 (1). Apoptosis involves the programmed cell death of unwanted cells, which subsequently leads to the elimination of these cells from the body and maintains body homeostasis. Apoptosis has an important function in multicellular organisms as it aids the elimination of damaged and nonfunctional cells from the body. The process involves several biochemical and morphological changes that eventually lead to cell death. The series of events in cell apoptosis include cell shrinkage, condensation of chromatin material, membrane blebbing, fragmentation of the nuclear material and DNA fragmentation. In contrast to necrotic cell death, apoptosis is a highly controlled and regulated biochemical process (10–12). Apoptotic cell bodies are produced during apoptosis, which are engulfed by phagocytes and rapidly removed before the cell releases its toxic substances and causes damage to surrounding cells. There are two different pathways by which apoptosis is initiated, which are termed intrinsic and extrinsic pathways. Current anticancer therapies, including chemotherapeutic agents and radiotherapy, exhibit their effects by inducing apoptosis in cancer cells. It has been reported that the common initial event in the majority of apoptotic processes involves DNA damage or damage to various other critical molecules (13,14). Plant-based natural products have been recognized for their role in anticancer drug discovery. A vast range of plant species have been identified that synthesize various classes of chemical compounds with the ability to target cancer cells, and the majority of these compounds function by targeting fast-proliferating tumor cells with limited damage to normal cells (15–17).

The primary aims of the current study were to investigate the anticancer effects of ferruginol against OVCAR-3 human ovary cancer cells and its effects on apoptosis induction, cancer cell migration and cell cycle arrest. Ferruginol belongs to the meroterpene class of natural compounds with a phenolic moiety and the compound has been naturally isolated from the needles of the Sequoia sempervirens. Previous studies involving this compound have reported that ferruginol exhibited potent in vitro anticancer properties in human lung, colon and breast cancer cells (18–20). Ferruginol has also been demonstrated to exert inhibitory effects in non-small cell lung cancer cells by inducing caspase-associated apoptosis (19). An additional study indicated that ferruginol exhibited gastroprotective effects in mice and rats by affecting gastric secretion and endogenous prostaglandins (20). The results of the present study demonstrated that ferruginol inhibited the growth rate of OVACR-3 cells in a dose- and time-dependent manner. Cells that were exposed to higher doses of ferruginol and longer treatment durations exhibited lower cell viability. Fluorescence microscopy revealed that treatment with increasing doses of ferruginol led to increases in the levels of red/yellow fluorescence, which indicates the onset of the apoptotic process. TEM results demonstrated that, in contrast with control cells, ferruginol-treated cells exhibited loss of nuclear envelope and the presence of apoptotic bodies. Ferruginol also led to inhibition of cancer cell migration in a dose-dependent manner. The percentage of migrated cells decreased from 98.7% in control to 68.2 and 45.3% in 80 and 300 µM ferruginol-treated cells, respectively. Furthermore, flow cytometry results indicated that ferruginol led to G2/M cell cycle arrest in OVCAR-3 human ovary cancer cells.

In conclusion, the present study indicates that ferruginol may exhibit anticancer effects in OVCAR-3 human ovary cancer cells by inducing apoptosis, inhibiting cancer cell migration and inducing G2/M cell cycle arrest. Taken together, it is concluded that ferruginol may prove beneficial in the treatment of ovarian cancer. However, further in vivo evaluation is urgently required.

References

1 

Jemal A, Siegel R, Xu J and Ward E: Cancer statistics, 2010. CA Cancer J Clin. 60:277–300. 2010. View Article : Google Scholar : PubMed/NCBI

2 

Tingulstad S, Skjeldestad FE, Halvorsen TB and Hagen B: Survival and prognostic factors in patients with ovarian cancer. Obstet Gynecol. 101:885–891. 2003. View Article : Google Scholar : PubMed/NCBI

3 

Kurman RJ and Shih IeM: The origin and pathogenesis of epithelial ovarian cancer: A proposed unifying theory. Am J Surg Pathol. 34:433–443. 2010. View Article : Google Scholar : PubMed/NCBI

4 

Agarwal R and Kaye SB: Ovarian cancer: Strategies for overcoming resistance to chemotherapy. Nat Rev Cancer. 3:502–516. 2003. View Article : Google Scholar : PubMed/NCBI

5 

Ozols RF, Bookman MA, Connolly DC, Daly MB, Godwin AK, Schilder RJ, Xu X and Hamilton TC: Focus on epithelial ovarian cancer. Cancer Cell. 5:19–24. 2004. View Article : Google Scholar : PubMed/NCBI

6 

Hille S, Rein DT, Riffelmann M, Neumann R, Sartorius J, Pfützner A, Kurbacher CM, Schöndorf T and Breidenbach M: Anticancer drugs induce mdr1 gene expression in recurrent ovarian cancer. Anticancer Drugs. 17:1041–1044. 2006. View Article : Google Scholar : PubMed/NCBI

7 

Jackson RC: The problem of the quiescent cancer cell. Adv Enzyme Regul. 29:27–46. 1989. View Article : Google Scholar : PubMed/NCBI

8 

Mellor HR, Ferguson DJ and Callaghan R: A model of quiescent tumour microregions for evaluating multicellular resistance to chemotherapeutic drugs. Br J Cancer. 93:302–309. 2005. View Article : Google Scholar : PubMed/NCBI

9 

Liang CC, Park AY and Guan JL: In vitro scratch assay: A convenient and inexpensive method for analysis of cell migration in vitro. Nat Protoc. 2:329–333. 2007. View Article : Google Scholar : PubMed/NCBI

10 

Green DR: Means to an End: Apoptosis and Other Cell Death Mechanisms. Cold Spring Harbor Laboratory Press; Long Island, NY: 2011

11 

Jose A. Karam and Jer-Tsong Hsieh: Anti-cancer strategy of transitional cell carcinoma of bladder basedon induction of different types of programmed cell deaths: Apoptosis in Carcinogenesis and Chemotherapy. Springer; Netherlands: pp. 25–50. 2009

12 

D'Amico AV and McKenna WG: Apoptosis and a re-investigation of the biologic basis forcancer therapy. Radiother Oncol. 33:3–10. 1994. View Article : Google Scholar : PubMed/NCBI

13 

Makin G and Dive C: Apoptosis and cancer chemotherapy. Trends Cell Biol. 11 Suppl:S22–S26. 2001. View Article : Google Scholar : PubMed/NCBI

14 

Fulda S and Debatin KM: Targeting apoptosis pathways in cancer therapy. Curr Cancer Drug Targets. 4:569–576. 2004. View Article : Google Scholar : PubMed/NCBI

15 

Koehn FE and Carter GT: The evolving role of natural products in drug discovery. Nat Rev Drug Discov. 4:206–220. 2005. View Article : Google Scholar : PubMed/NCBI

16 

Newman DJ and Cragg GM: Natural products as sources of new drugs over the 30 years from 1981 to 2010. J NatProd. 75:311–335. 2012.

17 

Chin YW, Yoon KD and Kim J: Cytotoxic anticancer candidates from terrestrial plants. Anticancer Agents Med Chem. 9:913–942. 2009. View Article : Google Scholar : PubMed/NCBI

18 

Son KH, Oh HM, Choi SK, Han DC and Kwon BM: Anti-tumor abietane diterpenes from the cones of Sequoia sempervirens. Bioorg Med Chem Lett. 15:2019–2021. 2005. View Article : Google Scholar : PubMed/NCBI

19 

Ho ST, Tung YT, Kuo YH, Lin CC and Wu JH: Ferruginol inhibits non-small cell lung cancer growth by inducing caspase-associated apoptosis. Integr Cancer Ther. 14:86–97. 2015. View Article : Google Scholar : PubMed/NCBI

20 

Areche C, Theoduloz C, Yáñez T, Souza-Brito AR, Barbastefano V, de Paula D, Ferreira AL, Schmeda-Hirschmann G and Rodríguez JA: Gastroprotective activity of ferruginol in mice and rats: Effects on gastric secretion, endogenous prostaglandins and non-protein sulfhydryls. J Pharm Pharmacol. 60:245–251. 2008. View Article : Google Scholar : PubMed/NCBI

Related Articles

  • Abstract
  • View
  • Download
  • Twitter
Copy and paste a formatted citation
Spandidos Publications style
Xiong WD, Gong J and Xing C: Ferruginol exhibits anticancer effects in OVCAR‑3 human ovary cancer cells by inducing apoptosis, inhibition of cancer cell migration and G2/M phase cell cycle arrest Retraction in /10.3892/mmr.2021.11868. Mol Med Rep 16: 7013-7017, 2017.
APA
Xiong, W., Gong, J., & Xing, C. (2017). Ferruginol exhibits anticancer effects in OVCAR‑3 human ovary cancer cells by inducing apoptosis, inhibition of cancer cell migration and G2/M phase cell cycle arrest Retraction in /10.3892/mmr.2021.11868. Molecular Medicine Reports, 16, 7013-7017. https://doi.org/10.3892/mmr.2017.7484
MLA
Xiong, W., Gong, J., Xing, C."Ferruginol exhibits anticancer effects in OVCAR‑3 human ovary cancer cells by inducing apoptosis, inhibition of cancer cell migration and G2/M phase cell cycle arrest Retraction in /10.3892/mmr.2021.11868". Molecular Medicine Reports 16.5 (2017): 7013-7017.
Chicago
Xiong, W., Gong, J., Xing, C."Ferruginol exhibits anticancer effects in OVCAR‑3 human ovary cancer cells by inducing apoptosis, inhibition of cancer cell migration and G2/M phase cell cycle arrest Retraction in /10.3892/mmr.2021.11868". Molecular Medicine Reports 16, no. 5 (2017): 7013-7017. https://doi.org/10.3892/mmr.2017.7484
Copy and paste a formatted citation
x
Spandidos Publications style
Xiong WD, Gong J and Xing C: Ferruginol exhibits anticancer effects in OVCAR‑3 human ovary cancer cells by inducing apoptosis, inhibition of cancer cell migration and G2/M phase cell cycle arrest Retraction in /10.3892/mmr.2021.11868. Mol Med Rep 16: 7013-7017, 2017.
APA
Xiong, W., Gong, J., & Xing, C. (2017). Ferruginol exhibits anticancer effects in OVCAR‑3 human ovary cancer cells by inducing apoptosis, inhibition of cancer cell migration and G2/M phase cell cycle arrest Retraction in /10.3892/mmr.2021.11868. Molecular Medicine Reports, 16, 7013-7017. https://doi.org/10.3892/mmr.2017.7484
MLA
Xiong, W., Gong, J., Xing, C."Ferruginol exhibits anticancer effects in OVCAR‑3 human ovary cancer cells by inducing apoptosis, inhibition of cancer cell migration and G2/M phase cell cycle arrest Retraction in /10.3892/mmr.2021.11868". Molecular Medicine Reports 16.5 (2017): 7013-7017.
Chicago
Xiong, W., Gong, J., Xing, C."Ferruginol exhibits anticancer effects in OVCAR‑3 human ovary cancer cells by inducing apoptosis, inhibition of cancer cell migration and G2/M phase cell cycle arrest Retraction in /10.3892/mmr.2021.11868". Molecular Medicine Reports 16, no. 5 (2017): 7013-7017. https://doi.org/10.3892/mmr.2017.7484
Follow us
  • Twitter
  • LinkedIn
  • Facebook
About
  • Spandidos Publications
  • Careers
  • Cookie Policy
  • Privacy Policy
How can we help?
  • Help
  • Live Chat
  • Contact
  • Email to our Support Team