Spandidos Publications Logo
  • About
    • About Spandidos
    • Aims and Scopes
    • Abstracting and Indexing
    • Editorial Policies
    • Reprints and Permissions
    • Job Opportunities
    • Terms and Conditions
    • Contact
  • Journals
    • All Journals
    • Oncology Letters
      • Oncology Letters
      • Information for Authors
      • Editorial Policies
      • Editorial Board
      • Aims and Scope
      • Abstracting and Indexing
      • Bibliographic Information
      • Archive
    • International Journal of Oncology
      • International Journal of Oncology
      • Information for Authors
      • Editorial Policies
      • Editorial Board
      • Aims and Scope
      • Abstracting and Indexing
      • Bibliographic Information
      • Archive
    • Molecular and Clinical Oncology
      • Molecular and Clinical Oncology
      • Information for Authors
      • Editorial Policies
      • Editorial Board
      • Aims and Scope
      • Abstracting and Indexing
      • Bibliographic Information
      • Archive
    • Experimental and Therapeutic Medicine
      • Experimental and Therapeutic Medicine
      • Information for Authors
      • Editorial Policies
      • Editorial Board
      • Aims and Scope
      • Abstracting and Indexing
      • Bibliographic Information
      • Archive
    • International Journal of Molecular Medicine
      • International Journal of Molecular Medicine
      • Information for Authors
      • Editorial Policies
      • Editorial Board
      • Aims and Scope
      • Abstracting and Indexing
      • Bibliographic Information
      • Archive
    • Biomedical Reports
      • Biomedical Reports
      • Information for Authors
      • Editorial Policies
      • Editorial Board
      • Aims and Scope
      • Abstracting and Indexing
      • Bibliographic Information
      • Archive
    • Oncology Reports
      • Oncology Reports
      • Information for Authors
      • Editorial Policies
      • Editorial Board
      • Aims and Scope
      • Abstracting and Indexing
      • Bibliographic Information
      • Archive
    • Molecular Medicine Reports
      • Molecular Medicine Reports
      • Information for Authors
      • Editorial Policies
      • Editorial Board
      • Aims and Scope
      • Abstracting and Indexing
      • Bibliographic Information
      • Archive
    • World Academy of Sciences Journal
      • World Academy of Sciences Journal
      • Information for Authors
      • Editorial Policies
      • Editorial Board
      • Aims and Scope
      • Abstracting and Indexing
      • Bibliographic Information
      • Archive
    • International Journal of Functional Nutrition
      • International Journal of Functional Nutrition
      • Information for Authors
      • Editorial Policies
      • Editorial Board
      • Aims and Scope
      • Abstracting and Indexing
      • Bibliographic Information
      • Archive
    • International Journal of Epigenetics
      • International Journal of Epigenetics
      • Information for Authors
      • Editorial Policies
      • Editorial Board
      • Aims and Scope
      • Abstracting and Indexing
      • Bibliographic Information
      • Archive
    • Medicine International
      • Medicine International
      • Information for Authors
      • Editorial Policies
      • Editorial Board
      • Aims and Scope
      • Abstracting and Indexing
      • Bibliographic Information
      • Archive
  • Articles
  • Information
    • Information for Authors
    • Information for Reviewers
    • Information for Librarians
    • Information for Advertisers
    • Conferences
  • Language Editing
Spandidos Publications Logo
  • About
    • About Spandidos
    • Aims and Scopes
    • Abstracting and Indexing
    • Editorial Policies
    • Reprints and Permissions
    • Job Opportunities
    • Terms and Conditions
    • Contact
  • Journals
    • All Journals
    • Biomedical Reports
      • Information for Authors
      • Editorial Policies
      • Editorial Board
      • Aims and Scope
      • Abstracting and Indexing
      • Bibliographic Information
      • Archive
    • Experimental and Therapeutic Medicine
      • Information for Authors
      • Editorial Policies
      • Editorial Board
      • Aims and Scope
      • Abstracting and Indexing
      • Bibliographic Information
      • Archive
    • International Journal of Epigenetics
      • Information for Authors
      • Editorial Policies
      • Editorial Board
      • Aims and Scope
      • Abstracting and Indexing
      • Bibliographic Information
      • Archive
    • International Journal of Functional Nutrition
      • Information for Authors
      • Editorial Policies
      • Editorial Board
      • Aims and Scope
      • Abstracting and Indexing
      • Bibliographic Information
      • Archive
    • International Journal of Molecular Medicine
      • Information for Authors
      • Editorial Policies
      • Editorial Board
      • Aims and Scope
      • Abstracting and Indexing
      • Bibliographic Information
      • Archive
    • International Journal of Oncology
      • Information for Authors
      • Editorial Policies
      • Editorial Board
      • Aims and Scope
      • Abstracting and Indexing
      • Bibliographic Information
      • Archive
    • Medicine International
      • Information for Authors
      • Editorial Policies
      • Editorial Board
      • Aims and Scope
      • Abstracting and Indexing
      • Bibliographic Information
      • Archive
    • Molecular and Clinical Oncology
      • Information for Authors
      • Editorial Policies
      • Editorial Board
      • Aims and Scope
      • Abstracting and Indexing
      • Bibliographic Information
      • Archive
    • Molecular Medicine Reports
      • Information for Authors
      • Editorial Policies
      • Editorial Board
      • Aims and Scope
      • Abstracting and Indexing
      • Bibliographic Information
      • Archive
    • Oncology Letters
      • Information for Authors
      • Editorial Policies
      • Editorial Board
      • Aims and Scope
      • Abstracting and Indexing
      • Bibliographic Information
      • Archive
    • Oncology Reports
      • Information for Authors
      • Editorial Policies
      • Editorial Board
      • Aims and Scope
      • Abstracting and Indexing
      • Bibliographic Information
      • Archive
    • World Academy of Sciences Journal
      • Information for Authors
      • Editorial Policies
      • Editorial Board
      • Aims and Scope
      • Abstracting and Indexing
      • Bibliographic Information
      • Archive
  • Articles
  • Information
    • For Authors
    • For Reviewers
    • For Librarians
    • For Advertisers
    • Conferences
  • Language Editing
Login Register Submit
  • This site uses cookies
  • You can change your cookie settings at any time by following the instructions in our Cookie Policy. To find out more, you may read our Privacy Policy.

    I agree
Search articles by DOI, keyword, author or affiliation
Search
Advanced Search
presentation
Oncology Reports
Join Editorial Board Propose a Special Issue
Print ISSN: 1021-335X Online ISSN: 1791-2431
Journal Cover
September 2013 Volume 30 Issue 3

Full Size Image

Sign up for eToc alerts
Recommend to Library

Journals

International Journal of Molecular Medicine

International Journal of Molecular Medicine

International Journal of Molecular Medicine is an international journal devoted to molecular mechanisms of human disease.

International Journal of Oncology

International Journal of Oncology

International Journal of Oncology is an international journal devoted to oncology research and cancer treatment.

Molecular Medicine Reports

Molecular Medicine Reports

Covers molecular medicine topics such as pharmacology, pathology, genetics, neuroscience, infectious diseases, molecular cardiology, and molecular surgery.

Oncology Reports

Oncology Reports

Oncology Reports is an international journal devoted to fundamental and applied research in Oncology.

Experimental and Therapeutic Medicine

Experimental and Therapeutic Medicine

Experimental and Therapeutic Medicine is an international journal devoted to laboratory and clinical medicine.

Oncology Letters

Oncology Letters

Oncology Letters is an international journal devoted to Experimental and Clinical Oncology.

Biomedical Reports

Biomedical Reports

Explores a wide range of biological and medical fields, including pharmacology, genetics, microbiology, neuroscience, and molecular cardiology.

Molecular and Clinical Oncology

Molecular and Clinical Oncology

International journal addressing all aspects of oncology research, from tumorigenesis and oncogenes to chemotherapy and metastasis.

World Academy of Sciences Journal

World Academy of Sciences Journal

Multidisciplinary open-access journal spanning biochemistry, genetics, neuroscience, environmental health, and synthetic biology.

International Journal of Functional Nutrition

International Journal of Functional Nutrition

Open-access journal combining biochemistry, pharmacology, immunology, and genetics to advance health through functional nutrition.

International Journal of Epigenetics

International Journal of Epigenetics

Publishes open-access research on using epigenetics to advance understanding and treatment of human disease.

Medicine International

Medicine International

An International Open Access Journal Devoted to General Medicine.

Journal Cover
September 2013 Volume 30 Issue 3

Full Size Image

Sign up for eToc alerts
Recommend to Library

  • Article
  • Citations
    • Cite This Article
    • Download Citation
    • Create Citation Alert
    • Remove Citation Alert
    • Cited By
  • Similar Articles
    • Related Articles (in Spandidos Publications)
    • Similar Articles (Google Scholar)
    • Similar Articles (PubMed)
  • Download PDF
  • Download XML
  • View XML
Article

T-cell apoptosis induced by intratumoral activated hepatic stellate cells is associated with lung metastasis in hepatocellular carcinoma

  • Authors:
    • Yun-Hong Xia
    • Zhi-Ming Wang
    • Rong-Xin Chen
    • Sheng-Long Ye
    • Rui-Xia Sun
    • Qiong Xue
    • Yong Huang
  • View Affiliations / Copyright

    Affiliations: Department of Oncology, Hefei Second People's Hospital, Anhui Medical University, Hefei 230011, P.R. China, Liver Cancer Institute, Zhongshan Hospital, Fudan University, Shanghai 200032, P.R. China
  • Pages: 1175-1184
    |
    Published online on: June 27, 2013
       https://doi.org/10.3892/or.2013.2571
  • Expand metrics +
Metrics: Total Views: 0 (Spandidos Publications: | PMC Statistics: )
Metrics: Total PDF Downloads: 0 (Spandidos Publications: | PMC Statistics: )
Cited By (CrossRef): 0 citations Loading Articles...

This article is mentioned in:



Abstract

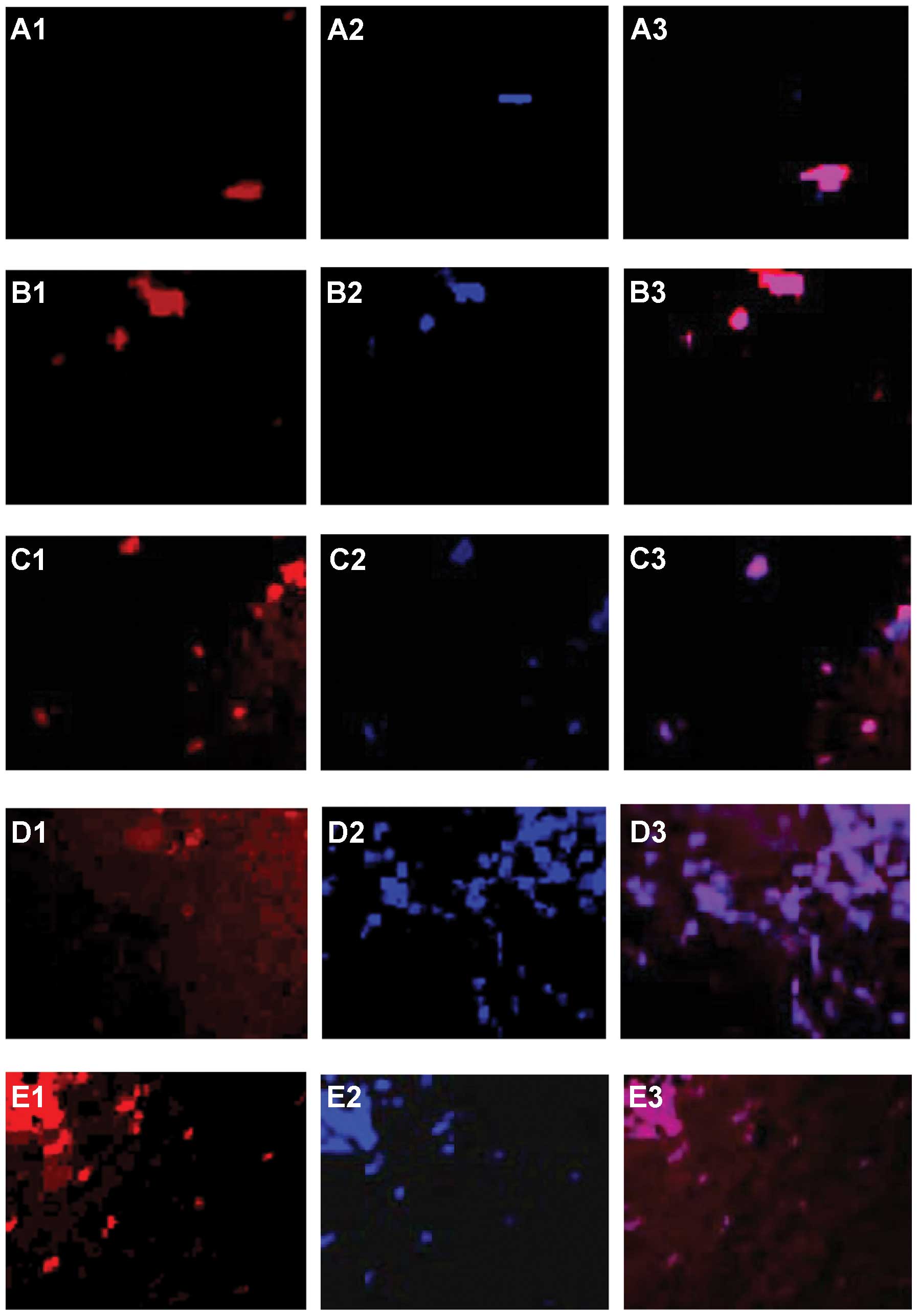
Profound T cell inhibitory activity of hepatic stellate cells (HSCs) in vitro has recently been described in hepatocellular carcinoma (HCC). In the present study, we investigated the immune inhibitory activity of HSCs in vivo in an orthotopic rat HCC model with lung metastasis. Rats (n=24) were randomly sacrificed on days 7, 14, 21 and 28 (n=4 each). Lung tissues were stained with hematoxylin and eosin. Liver sections were stained for immunofluorescence analysis. T-cell apoptosis was detected using double staining for terminal deoxynucleotidyl transferase-mediated dUTP nick-end labeling (TUNEL). Staining revealed marked and continuous accumulation of α-smooth muscle actin with tumor progression after orthotopic tumor implantation in rat liver. T lymphocyte numbers gradually increased following tumor progression, and subset analysis revealed an increase in the distribution of liver CD8+ and CD4+ T cells. Double staining for CD3 and TUNEL demonstrated T-cell apoptosis. Apoptotic T cells were more frequent in the HCC livers compared to the normal livers, and were spatially associated with intratumoral activated HSCs (tHSCs), suggesting a direct interaction. T-cell apoptosis was more frequently induced in the co-cultures of activated splenic T cells(aT)/tHSCs compared to aT/quiescent (q) HSCs or qT/tHSCs. tHSCs were positively correlated with T-cell apoptosis, and the percentage of T-cells undergoing apoptosis was positively correlated with the number of lung metastasis nodules. T-cell apoptosis may be promoted via an interaction with tHSCs, suggesting that tHSCs regulate T cells and contribute to lung metastasis in HCC.
View Figures

Figure 1

Figure 2

Figure 3

Figure 4

Figure 5

Figure 6

Figure 7

Figure 8

Figure 9

Figure 10

Figure 11

View References

1 

Unitt E, Rushbrook SM, Marshall A, et al: Compromised lymphocytes infiltrate hepatocellular carcinoma: the role of T-regulatory cells. Hepatology. 41:722–730. 2005. View Article : Google Scholar : PubMed/NCBI

2 

Mehal WZ, Azzaroli F and Crispe IN: Immunology of the healthy liver: old questions and new insights. Gastroenterology. 120:250–260. 2001. View Article : Google Scholar : PubMed/NCBI

3 

Friedman SL: Molecular regulation of hepatic fibrosis, an integrated cellular response to tissue injury. J Biol Chem. 275:2247–2250. 2000. View Article : Google Scholar : PubMed/NCBI

4 

Friedman SL: Liver fibrosis - from bench to bedside. J Hepatol. 38:S38–S53. 2003. View Article : Google Scholar

5 

Knittel T, Dinter C, Kobold D, et al: Expression and regulation of cell adhesion molecules by hepatic stellate cells (HSC) of rat liver: involvement of HSC in recruitment of inflammatory cells during hepatic tissue repair. Am J Pathol. 154:153–167. 1999. View Article : Google Scholar : PubMed/NCBI

6 

Schwabe RF, Schnabl B, Kweon YO and Brenner DA: CD40 activates NF-κB and c-Jun N-terminal kinase and enhances chemokine secretion on activated human hepatic stellate cells. J Immunol. 166:6812–6819. 2001.

7 

Kobayashi S, Seki S, Kawada N, et al: Apoptosis of T cells in the hepatic fibrotic tissue of the rat: a possible inducing role of hepatic myofibroblast-like cells. Cell Tissue Res. 311:353–364. 2003.PubMed/NCBI

8 

Muhanna N, Horani A, Doron S and Safadi R: Lymphocyte-hepatic stellate cell proximity suggests a direct interaction. Clin Exp Immunol. 148:338–347. 2007. View Article : Google Scholar : PubMed/NCBI

9 

Yu MC, Chen CH, Liang X, et al: Inhibition of T-cell responses by hepatic stellate cells via B7-H1-mediated T-cell apoptosis in mice. Hepatology. 40:1312–1321. 2004. View Article : Google Scholar : PubMed/NCBI

10 

Chen CH, Kuo LM, Chang Y, et al: In vivo immune modulatory activity of hepatic stellate cells in mice. Hepatology. 44:1171–1181. 2006. View Article : Google Scholar : PubMed/NCBI

11 

Kurogi M, Nakashima O, Miyaaki H, Fujimoto M and Kojiro M: Clinicopathological study of scirrhous hepatocellular carcinoma. J Gastroenterol Hepatol. 21:1470–1477. 2006.PubMed/NCBI

12 

Yang R, Rescorla FJ, Reilly CR, et al: A reproducible rat liver cancer model for experimental therapy: introducing a technique of intrahepatic tumor implantation. J Surg Res. 52:193–198. 1992. View Article : Google Scholar : PubMed/NCBI

13 

Freise CE, Liu T, Ascher NL and Roberts JP: Hepatotoxins and liver transplantation decrease pulmonary metastases in rats with hepatoma. J Surg Res. 64:198–202. 1996. View Article : Google Scholar : PubMed/NCBI

14 

Forbes SJ, Russo FP, Rey V, et al: A significant proportion of myofibroblasts are of bone marrow origin in human liver fibrosis. Gastroenterology. 126:955–963. 2004. View Article : Google Scholar : PubMed/NCBI

15 

Sham RL, Packman CH, Abboud CN and Lichtman MA: Signal transduction and the regulation of actin conformation during myeloid maturation: studies in HL60 cells. Blood. 77:363–370. 1991.PubMed/NCBI

16 

Ogawa T, Tateno C, Asahina K, et al: Identification of vitamin A-free cells in a stellate cell-enriched fraction of normal rat liver as myofibroblasts. Histochem Cell Biol. 127:161–174. 2007. View Article : Google Scholar : PubMed/NCBI

17 

Ikeda K, Wakahara T, Wang YQ, Kadoya H, Kawada N and Kaneda K: In vitro migratory potential of rat quiescent hepatic stellate cells and its augmentation by cell activation. Hepatology. 29:1760–1767. 1999. View Article : Google Scholar : PubMed/NCBI

18 

Lu L, McCaslin D, Starzl TE and Thomson AW: Bone marrow-derived dendritic cell progenitors (NLDC 145+, MHC class II+, B7-1dim, B7-2−) induce alloantigen-specific hyporesponsiveness in murine T lymphocytes. Transplantation. 60:1539–1545. 1995.PubMed/NCBI

19 

Lee JI, Paik YH, Lee KS, et al: A peroxisome-proliferator activated receptor-γ ligand could regulate the expression of leptin receptor on human hepatic stellate cells. Histochem Cell Biol. 127:495–502. 2007.

20 

Witz IP and Levy-Nissenbaum O: The tumor microenvironment in the post-PAGET era. Cancer Lett. 242:1–10. 2006. View Article : Google Scholar : PubMed/NCBI

21 

Kalluri R and Zeisberg M: Fibroblasts in cancer. Nat Rev Cancer. 6:392–401. 2006. View Article : Google Scholar

22 

Pinzani M, Rombouts K and Colagrande S: Fibrosis in chronic liver diseases: diagnosis and management. J Hepatol. 42:S22–S36. 2005. View Article : Google Scholar

23 

D’Ovidio KL, Trucksess MW, Devries JW and Bean G: Effects of irradiation on fungi and fumonisin B(1) in corn, and of microwave-popping on fumonisins in popcorn. Food Addit Contam. 24:735–743. 2007.PubMed/NCBI

24 

Winau F, Hegasy G, Weiskirchen R, et al: Ito cells are liver-resident antigen-presenting cells for activating T cell responses. Immunity. 26:117–129. 2007. View Article : Google Scholar : PubMed/NCBI

25 

Milik AM, Buechner-Maxwell VA, Sonstein J, et al: Lung lymphocyte elimination by apoptosis in the murine response to intratracheal particulate antigen. J Clin Invest. 99:1082–1091. 1997. View Article : Google Scholar : PubMed/NCBI

26 

Van Parijs L and Abbas AK: Homeostasis and self-tolerance in the immune system: turning lymphocytes off. Science. 280:243–248. 1998.PubMed/NCBI

27 

Amann T, Bataille F, Spruss T, et al: Activated hepatic stellate cells promote tumorigenicity of hepatocellular carcinoma. Cancer Sci. 100:646–653. 2009. View Article : Google Scholar : PubMed/NCBI

28 

Parmiani G and Anichini A: T cell infiltration and prognosis in HCC patients. J Hepatol. 45:178–181. 2006. View Article : Google Scholar : PubMed/NCBI

29 

Hirano S, Iwashita Y, Sasaki A, Kai S, Ohta M and Kitano S: Increased mRNA expression of chemokines in hepatocellular carcinoma with tumor-infiltrating lymphocytes. J Gastroenterol Hepatol. 22:690–696. 2007.PubMed/NCBI

30 

Saio M, Radoja S, Marino M and Frey AB: Tumor-infiltrating macrophages induce apoptosis in activated CD8(+) T cells by a mechanism requiring cell contact and mediated by both the cell-associated form of TNF and nitric oxide. Immunol. 167:5583–5593. 2001.PubMed/NCBI

31 

Smith DJ, McGuire MJ, Tocci MJ and Thiele DL: IL-1 beta convertase (ICE) does not play a requisite role in apoptosis induced in T lymphoblasts by Fas-dependent or Fas-independent CTL effector mechanisms. J Immunol. 158:163–170. 1997.PubMed/NCBI

32 

Faisal W, Symonds P, Panjwani S, Heng Y and Murray JC: Cell-surface associated p43/endothelial-monocyte-activating-polypeptide-II in hepatocellular carcinoma cells induces apoptosis in T-lymphocytes. Asian J Surg. 30:13–22. 2007. View Article : Google Scholar

33 

Abraham D, Bou-Gharios G, Tulip G, Sumner H and Olsen I: Regulation of CD2-mediated heterotypic interactions of murine T lymphocytes. Cell Immunol. 156:342–356. 1994. View Article : Google Scholar : PubMed/NCBI

34 

Crowston JG, Salmon M, Khaw PT and Akbar AN: T-lymphocyte-fibroblast interactions. Biochem Soc Trans. 25:529–531. 1997.PubMed/NCBI

35 

Yarovinsky TO and Hunninghake GW: Lung fibroblasts inhibit activation-induced death of T cells through PGE(2)-dependent mechanisms. Am J Physiol Lung Cell Mol Physiol. 281:L1248–L1256. 2001.PubMed/NCBI

36 

Kristensen DB, Kawada N, Imamura K, et al: Proteome analysis of rat hepatic stellate cells. Hepatology. 32:268–277. 2000. View Article : Google Scholar : PubMed/NCBI

37 

Santucci L, Fiorucci S, Cammilleri F, Servillo G, Federici B and Morelli A: Galectin-1 exerts immunomodulatory and protective effects on concanavalin A-induced hepatitis in mice. Hepatology. 31:399–406. 2000. View Article : Google Scholar : PubMed/NCBI

38 

Chen D, McKallip RJ, Zeytun A, et al: CD44-deficient mice exhibit enhanced hepatitis after concanavalin A injection: evidence for involvement of CD44 in activation-induced cell death. J Immunol. 166:5889–5897. 2001. View Article : Google Scholar : PubMed/NCBI

39 

Hellerbrand, Wang SC, Tsukamoto H, Brenner DA and Rippe RA: Expression of intracellular adhesion molecule 1 by activated hepatic stellate cells. Hepatology. 24:670–676. 1996. View Article : Google Scholar : PubMed/NCBI

Related Articles

  • Abstract
  • View
  • Download
  • Twitter
Copy and paste a formatted citation
Spandidos Publications style
Xia Y, Wang Z, Chen R, Ye S, Sun R, Xue Q and Huang Y: T-cell apoptosis induced by intratumoral activated hepatic stellate cells is associated with lung metastasis in hepatocellular carcinoma. Oncol Rep 30: 1175-1184, 2013.
APA
Xia, Y., Wang, Z., Chen, R., Ye, S., Sun, R., Xue, Q., & Huang, Y. (2013). T-cell apoptosis induced by intratumoral activated hepatic stellate cells is associated with lung metastasis in hepatocellular carcinoma. Oncology Reports, 30, 1175-1184. https://doi.org/10.3892/or.2013.2571
MLA
Xia, Y., Wang, Z., Chen, R., Ye, S., Sun, R., Xue, Q., Huang, Y."T-cell apoptosis induced by intratumoral activated hepatic stellate cells is associated with lung metastasis in hepatocellular carcinoma". Oncology Reports 30.3 (2013): 1175-1184.
Chicago
Xia, Y., Wang, Z., Chen, R., Ye, S., Sun, R., Xue, Q., Huang, Y."T-cell apoptosis induced by intratumoral activated hepatic stellate cells is associated with lung metastasis in hepatocellular carcinoma". Oncology Reports 30, no. 3 (2013): 1175-1184. https://doi.org/10.3892/or.2013.2571
Copy and paste a formatted citation
x
Spandidos Publications style
Xia Y, Wang Z, Chen R, Ye S, Sun R, Xue Q and Huang Y: T-cell apoptosis induced by intratumoral activated hepatic stellate cells is associated with lung metastasis in hepatocellular carcinoma. Oncol Rep 30: 1175-1184, 2013.
APA
Xia, Y., Wang, Z., Chen, R., Ye, S., Sun, R., Xue, Q., & Huang, Y. (2013). T-cell apoptosis induced by intratumoral activated hepatic stellate cells is associated with lung metastasis in hepatocellular carcinoma. Oncology Reports, 30, 1175-1184. https://doi.org/10.3892/or.2013.2571
MLA
Xia, Y., Wang, Z., Chen, R., Ye, S., Sun, R., Xue, Q., Huang, Y."T-cell apoptosis induced by intratumoral activated hepatic stellate cells is associated with lung metastasis in hepatocellular carcinoma". Oncology Reports 30.3 (2013): 1175-1184.
Chicago
Xia, Y., Wang, Z., Chen, R., Ye, S., Sun, R., Xue, Q., Huang, Y."T-cell apoptosis induced by intratumoral activated hepatic stellate cells is associated with lung metastasis in hepatocellular carcinoma". Oncology Reports 30, no. 3 (2013): 1175-1184. https://doi.org/10.3892/or.2013.2571
Follow us
  • Twitter
  • LinkedIn
  • Facebook
About
  • Spandidos Publications
  • Careers
  • Cookie Policy
  • Privacy Policy
How can we help?
  • Help
  • Live Chat
  • Contact
  • Email to our Support Team