Spandidos Publications Logo
  • About
    • About Spandidos
    • Aims and Scopes
    • Abstracting and Indexing
    • Editorial Policies
    • Reprints and Permissions
    • Job Opportunities
    • Terms and Conditions
    • Contact
  • Journals
    • All Journals
    • Oncology Letters
      • Oncology Letters
      • Information for Authors
      • Editorial Policies
      • Editorial Board
      • Aims and Scope
      • Abstracting and Indexing
      • Bibliographic Information
      • Archive
    • International Journal of Oncology
      • International Journal of Oncology
      • Information for Authors
      • Editorial Policies
      • Editorial Board
      • Aims and Scope
      • Abstracting and Indexing
      • Bibliographic Information
      • Archive
    • Molecular and Clinical Oncology
      • Molecular and Clinical Oncology
      • Information for Authors
      • Editorial Policies
      • Editorial Board
      • Aims and Scope
      • Abstracting and Indexing
      • Bibliographic Information
      • Archive
    • Experimental and Therapeutic Medicine
      • Experimental and Therapeutic Medicine
      • Information for Authors
      • Editorial Policies
      • Editorial Board
      • Aims and Scope
      • Abstracting and Indexing
      • Bibliographic Information
      • Archive
    • International Journal of Molecular Medicine
      • International Journal of Molecular Medicine
      • Information for Authors
      • Editorial Policies
      • Editorial Board
      • Aims and Scope
      • Abstracting and Indexing
      • Bibliographic Information
      • Archive
    • Biomedical Reports
      • Biomedical Reports
      • Information for Authors
      • Editorial Policies
      • Editorial Board
      • Aims and Scope
      • Abstracting and Indexing
      • Bibliographic Information
      • Archive
    • Oncology Reports
      • Oncology Reports
      • Information for Authors
      • Editorial Policies
      • Editorial Board
      • Aims and Scope
      • Abstracting and Indexing
      • Bibliographic Information
      • Archive
    • Molecular Medicine Reports
      • Molecular Medicine Reports
      • Information for Authors
      • Editorial Policies
      • Editorial Board
      • Aims and Scope
      • Abstracting and Indexing
      • Bibliographic Information
      • Archive
    • World Academy of Sciences Journal
      • World Academy of Sciences Journal
      • Information for Authors
      • Editorial Policies
      • Editorial Board
      • Aims and Scope
      • Abstracting and Indexing
      • Bibliographic Information
      • Archive
    • International Journal of Functional Nutrition
      • International Journal of Functional Nutrition
      • Information for Authors
      • Editorial Policies
      • Editorial Board
      • Aims and Scope
      • Abstracting and Indexing
      • Bibliographic Information
      • Archive
    • International Journal of Epigenetics
      • International Journal of Epigenetics
      • Information for Authors
      • Editorial Policies
      • Editorial Board
      • Aims and Scope
      • Abstracting and Indexing
      • Bibliographic Information
      • Archive
    • Medicine International
      • Medicine International
      • Information for Authors
      • Editorial Policies
      • Editorial Board
      • Aims and Scope
      • Abstracting and Indexing
      • Bibliographic Information
      • Archive
  • Articles
  • Information
    • Information for Authors
    • Information for Reviewers
    • Information for Librarians
    • Information for Advertisers
    • Conferences
  • Language Editing
Spandidos Publications Logo
  • About
    • About Spandidos
    • Aims and Scopes
    • Abstracting and Indexing
    • Editorial Policies
    • Reprints and Permissions
    • Job Opportunities
    • Terms and Conditions
    • Contact
  • Journals
    • All Journals
    • Biomedical Reports
      • Information for Authors
      • Editorial Policies
      • Editorial Board
      • Aims and Scope
      • Abstracting and Indexing
      • Bibliographic Information
      • Archive
    • Experimental and Therapeutic Medicine
      • Information for Authors
      • Editorial Policies
      • Editorial Board
      • Aims and Scope
      • Abstracting and Indexing
      • Bibliographic Information
      • Archive
    • International Journal of Epigenetics
      • Information for Authors
      • Editorial Policies
      • Editorial Board
      • Aims and Scope
      • Abstracting and Indexing
      • Bibliographic Information
      • Archive
    • International Journal of Functional Nutrition
      • Information for Authors
      • Editorial Policies
      • Editorial Board
      • Aims and Scope
      • Abstracting and Indexing
      • Bibliographic Information
      • Archive
    • International Journal of Molecular Medicine
      • Information for Authors
      • Editorial Policies
      • Editorial Board
      • Aims and Scope
      • Abstracting and Indexing
      • Bibliographic Information
      • Archive
    • International Journal of Oncology
      • Information for Authors
      • Editorial Policies
      • Editorial Board
      • Aims and Scope
      • Abstracting and Indexing
      • Bibliographic Information
      • Archive
    • Medicine International
      • Information for Authors
      • Editorial Policies
      • Editorial Board
      • Aims and Scope
      • Abstracting and Indexing
      • Bibliographic Information
      • Archive
    • Molecular and Clinical Oncology
      • Information for Authors
      • Editorial Policies
      • Editorial Board
      • Aims and Scope
      • Abstracting and Indexing
      • Bibliographic Information
      • Archive
    • Molecular Medicine Reports
      • Information for Authors
      • Editorial Policies
      • Editorial Board
      • Aims and Scope
      • Abstracting and Indexing
      • Bibliographic Information
      • Archive
    • Oncology Letters
      • Information for Authors
      • Editorial Policies
      • Editorial Board
      • Aims and Scope
      • Abstracting and Indexing
      • Bibliographic Information
      • Archive
    • Oncology Reports
      • Information for Authors
      • Editorial Policies
      • Editorial Board
      • Aims and Scope
      • Abstracting and Indexing
      • Bibliographic Information
      • Archive
    • World Academy of Sciences Journal
      • Information for Authors
      • Editorial Policies
      • Editorial Board
      • Aims and Scope
      • Abstracting and Indexing
      • Bibliographic Information
      • Archive
  • Articles
  • Information
    • For Authors
    • For Reviewers
    • For Librarians
    • For Advertisers
    • Conferences
  • Language Editing
Login Register Submit
  • This site uses cookies
  • You can change your cookie settings at any time by following the instructions in our Cookie Policy. To find out more, you may read our Privacy Policy.

    I agree
Search articles by DOI, keyword, author or affiliation
Search
Advanced Search
presentation
Molecular Medicine Reports
Join Editorial Board Propose a Special Issue
Print ISSN: 1791-2997 Online ISSN: 1791-3004
Journal Cover
April-2016 Volume 13 Issue 4

Full Size Image

Sign up for eToc alerts
Recommend to Library

Journals

International Journal of Molecular Medicine

International Journal of Molecular Medicine

International Journal of Molecular Medicine is an international journal devoted to molecular mechanisms of human disease.

International Journal of Oncology

International Journal of Oncology

International Journal of Oncology is an international journal devoted to oncology research and cancer treatment.

Molecular Medicine Reports

Molecular Medicine Reports

Covers molecular medicine topics such as pharmacology, pathology, genetics, neuroscience, infectious diseases, molecular cardiology, and molecular surgery.

Oncology Reports

Oncology Reports

Oncology Reports is an international journal devoted to fundamental and applied research in Oncology.

Experimental and Therapeutic Medicine

Experimental and Therapeutic Medicine

Experimental and Therapeutic Medicine is an international journal devoted to laboratory and clinical medicine.

Oncology Letters

Oncology Letters

Oncology Letters is an international journal devoted to Experimental and Clinical Oncology.

Biomedical Reports

Biomedical Reports

Explores a wide range of biological and medical fields, including pharmacology, genetics, microbiology, neuroscience, and molecular cardiology.

Molecular and Clinical Oncology

Molecular and Clinical Oncology

International journal addressing all aspects of oncology research, from tumorigenesis and oncogenes to chemotherapy and metastasis.

World Academy of Sciences Journal

World Academy of Sciences Journal

Multidisciplinary open-access journal spanning biochemistry, genetics, neuroscience, environmental health, and synthetic biology.

International Journal of Functional Nutrition

International Journal of Functional Nutrition

Open-access journal combining biochemistry, pharmacology, immunology, and genetics to advance health through functional nutrition.

International Journal of Epigenetics

International Journal of Epigenetics

Publishes open-access research on using epigenetics to advance understanding and treatment of human disease.

Medicine International

Medicine International

An International Open Access Journal Devoted to General Medicine.

Journal Cover
April-2016 Volume 13 Issue 4

Full Size Image

Sign up for eToc alerts
Recommend to Library

  • Article
  • Citations
    • Cite This Article
    • Download Citation
    • Create Citation Alert
    • Remove Citation Alert
    • Cited By
  • Similar Articles
    • Related Articles (in Spandidos Publications)
    • Similar Articles (Google Scholar)
    • Similar Articles (PubMed)
  • Download PDF
  • Download XML
  • View XML
Article Open Access

Neuroprotective effects of ginsenosides on neural progenitor cells against oxidative injury

  • Authors:
    • Jun Ye
    • Jian‑Ping Yao
    • Xu Wang
    • Minying Zheng
    • Peng Li
    • Chengwei He
    • Jian‑Bo Wan
    • Xiaoli Yao
    • Huanxing Su
  • View Affiliations / Copyright

    Affiliations: Department of Dermatology, Sir Run Run Shaw Hospital, Zhejiang University School of Medicine, Hangzhou, Zheijiang 310016, P.R. China, Department of Cardiac Surgery II, The First Affiliated Hospital Sun Yat‑Sen University, Guangzhou, Guangdong 510080, P.R. China, State Key Laboratory of Quality Research in Chinese Medicine, Institute of Chinese Medical Sciences, University of Macau, Macau SAR 999078, P.R. China, Department of Neurology, National Key Clinical Department and Key Discipline of Neurology, The First Affiliated Hospital, Sun Yat‑Sen University, Guangzhou, Guangdong 510080, P.R. China
    Copyright: © Ye et al. This is an open access article distributed under the terms of Creative Commons Attribution License.
  • Pages: 3083-3091
    |
    Published online on: February 19, 2016
       https://doi.org/10.3892/mmr.2016.4914
  • Expand metrics +
Metrics: Total Views: 0 (Spandidos Publications: | PMC Statistics: )
Metrics: Total PDF Downloads: 0 (Spandidos Publications: | PMC Statistics: )
Cited By (CrossRef): 0 citations Loading Articles...

This article is mentioned in:



Abstract

Ginsenosides exhibit various neuroprotective effects against oxidative stress. However, which ginsenoside provides optimal effects for the treatment of neurological disorders as a potent antioxidant remains to be elucidated. Therefore, the present study investigated and compared the neuroprotective effects of the Rb1, Rd, Rg1 and Re ginsenosides on neural progenitor cells (NPCs) following tert-Butylhydroperoxide (t-BHP)-induced oxidative injury. Primary rat embryonic cortical NPCs were prepared from E14.5 embryos of Sprague-Dawley rats. The oxidative injury model was established with t‑BHP. A lactate dehydrogenase assay and terminal deoxynucleotidyl transferase dUTP nick‑end labeling staining were used to measure the viability of the NPCs pre‑treated with ginsenosides under oxidative stress. Reverse transcription‑quantitative polymerase chain reaction analysis was used to determine the activation of intracellular signaling pathways triggered by the pretreatment of ginsenosides. Among the four ginsenosides, only Rb1 attenuated t‑BHP toxicity in the NPCs, and the nuclear factor (erythroizd‑derived 2)‑like 2/heme oxygenase‑1 pathway was found to be key in the intracellular defense against oxidative stress. The present study demonstrated the anti-oxidative effects of ginsenoside Rb1 on NPCs, and suggested that Rb1 may offer potential as a potent antioxidant for the treatment of neurological disorders.

Introduction

Neurological disorders affect ~30,000,000 individuals in China, leading to disability and contributing to mortality rates (1). These disorders are characterized by pathological changes in disease-specific areas of the brain, and the degeneration of distinct neural subsets (2). It has been well reported that neurological disorders are linked to elevated levels of oxidative stress, which is involved in modulating the biochemical changes resulting in neurological disorders (3). The supplementation of natural antioxidants is regarded as a prophylactic strategy against diseases caused by oxidative stress (4).

Ginseng, the root of Panax species (5,6), is one of the most frequently used herbs in China due to its potential as a general tonic or chemopreventive agent (7,8). The antioxidant action of ginseng is an area of interest in scientific investigations, which provides information for dietary supplementation and the pharmacological usage of ginseng products (9). Ginseng has been shown to have several beneficial effects in a wide range of pathological conditions, including cardiovascular disease, cancer, immunodeficiency and hepatotoxicity in vivo and in vitro. Of note, ginsenosides are the most biologically active substances found in ginseng (10). There are >30 different types of ginsenosides, which have been isolated from ginseng and classified into three major types: Panaxadiol, including Rb1, Rb2, Rg3, Rd, Rc, Rg3, Rh2 and Rs1); panaxatriol, including Rg1, Rg2, Re, Rf and Rh1; and oleanolic acid type ginsenosides, including Ro (9). Among these, the most commonly investigated ginsenosides are Rb1, Rd, Rg1 and Re, as these four compounds are relatively more abundant in ginseng and have a wide range of actions in the central nervous system (CNS), including promoting neural survival, extending neurite growth and rescuing neurons from pathological conditions (11).

Several studies have provided evidence that ginsenoside Rb1 possesses potent neuroprotective effects on cortical neurons and dopaminergic neurons against glutamate toxicity, protects against cerebral ischemia by promoting neurogenesis, prevents MPP+-induced apoptosis in PC12 cells, improves spatial learning, and increases levels of hippocampal synaptophysin in mice (12–16). In the CNS, Rd has been shown to be effective in decreasing the formation of reactive oxygen species (ROS) in cultured astrocytes, protecting PC12 cells from hydrogen peroxide-induced oxidative damage, mitigating neuroinflammation and nitric oxide overproduction, and attenuating neuronal oxidative damage induced by oxygen-glucose deprivation (17). Rg1 has been shown to possess neurotrophic and neuroprotective effects on dopaminergic cells against glutamate injury and MPP+ toxicity, inhibit the mitochondrial apoptotic pathway and increase the survival of primary cultured nigral neurons against rotenone toxicity (18). It has also been demonstrated that Rg1 exerts neuroprotective effects through ameliorating amyloid pathology, modulating the production of APP and activating the protein kinase A/cAMP response element binding protein signaling pathways (19). Re has been reported to protect mouse nigral neurons from mitochondrial permeability transition pore-induced apoptosis in a Parkinson's disease model, and this effect was considered to be attributable to upregulation in the protein expression of B cell lymphoma (Bcl)-2, downregulation in the expression levels of Bcl2-associated X protein and inducible nitric oxide synthase, and subsequent inhibition of the activation of caspase-3 (20). These previous reports suggest that the Rb, Rd, Rg1 and Re ginsenosides offer therapeutic potential in the treatment of neurological disorders.

In the present study, the anti-oxidative effects of four ginsenosides (Rb1, Rd, Rg1 and Re) on NPCs were investigated and compared. NPCs can be utilized for functional tissue engineering as a potential treatment for neurologic diseases (21). They are defined by their ability to self-renew through mitotic cell division and differentiate into neurons, astrocytes and oligodendrocytes (22,23). The results of the present study may provide evidence on the optimal ginsenoside for use as a potent antioxidant in the treatment of neurological disorders.

Materials and methods

Chemicals and reagents

Ginsenosides Rb1, Rg1, Rd and Re were provided in powder form (>98% purity) by Chengdu Must Bio-technology Co., Ltd. (Chengdu, China). The powder was dissolved in saline. Dulbecco's modified Eagle's medium (DMEM) nutrient mix F12, goat serum, fetal bovine serum (FBS), 0.05% (w/v) trypsin/EDTA, phosphate-buffered saline (PBS) powder and N2 and B27 supplements were supplied by Gibco (Thermo Fisher Scientific, Inc., Waltham, MA, USA). Poly-l-lysine (PLL), laminin, 4′,6-diamidino-2-phenylindole (DAPI), bovine serum albumin (BSA), 5-Bromo-2-deoxyuridine (BrdU), tert-Butylhydroperoxide (t-BHP), paraformaldehyde, mouse anti-BrdU (B8434), rabbit anti-glial fibrillary acidic protein (GFAP; SAB4501162) and mouse anti-β-tubulin III (Tuj-1; T8578) were purchased from Sigma-Aldrich (St. Louis, MO, USA). A Lactate Dehydrogenase (LDH) Cytotoxicity Assay kit (cat. no. 11644793001) and In Situ Cell Death Detection kit (cat. no. 11684817910) were obtained from Roche (Basel, Switzerland). The goat anti-mouse 488 antibody, goat anti-rabbit 568 antibody, Click-iT EdU Alexa Fluor® 594 Imaging kit (cat. no. C10339) and the Qubit® RNA BR Assay kit (cat. no. Q10210) were purchased from Invitrogen (Thermo Fisher Scientific, Inc.). The RNeasy® Mini kit (cat. no. 74134) was purchased from Qiagen (Hilden, Germany), and the primers, PrimeScript™ RT Master Mix (Perfect Real Time) kit (cat. no. RR036A) and SYBR® Premix Ex Taq™ II (Tli RNase H Plus; cat. no. RR820A) were supplied by Takara Biotechnology, Co., Ltd. (Dalian, China). The MicroAmp® Optical 96-well reaction plates with barcode were obtained from Applied Biosystems (Thermo Fisher Scientific, Inc.). Mouse anti-Nestin (MAB353) was purchased from EMD Milipore (Billerica, MA, USA); epidermal growth factor (EGF) and basic fibroblast factor (bFGF) were purchased from Peprotech (Rocky Hill, NJ, USA); and mouse anti-receptor interacting protein (Rip) was provided by Dr Xiaoming Xu of the University of Louisville (Louisville, USA). All other chemicals and reagents were of analytical grade.

Primary culture of cortical NPCs

A total of eight pregnant female Sprague-Dawley (SD) rats (weight, 300–350 g; age, 3–4 months) were obtained from the Animal Unit at the University of Macau (Macau, China). The rats were maintained in a temperature-controlled room under a 12-h light/dark cycle, with ad libitum access to food and water. The present study was approved by the Committee on the Care and Use of Laboratory Animals at the University of Macau (Macau, China). The primary rat embryonic cortical NPCs were prepared from E14.5 embryos derived from the SD rats using a modified protocol (24,25). Briefly, the cortex was separated from the surrounding tissue following removal of the meninges. The cortex was transferred into a 15 ml centrifuge tube containing culture medium (10 µl/ml N2, 20 µl/ml B27, 20 ng/ml EGF and 20 ng/ml bFGF in DMEM/F12) and dissociated into a single-cell suspension (5×106 cells/ml) by gentle mechanical trituration through a fire-polished Pasteur pipette. The dissociated cells were filtered through a cell strainer and then cultured in a T25 flask in suspension. The cells were incubated in a humidified incubator at 37°C in 5% CO2. Half of the culture medium was replaced every 2–3 days. After 5–6 days, the cells had grown in neurospheres with the diameter of ~150 µm. The cells in the neurospheres were passaged at the ratio of 1:6. These sub-cultured cells were designated as 'first passage' (P1) cells. The third passage (P3) cells were used for all subsequent experiments.

Establishment of the oxidative injury model

t-BHP is commonly used as a model substance for evaluating the mechanisms of cellular alterations resulting from oxidative stress in cells and tissues (26). In the present study, the P3 NPCs were dissociated into single cells, and then seeded into 96-well plates coated with PLL (25 µg/ml) and laminin (13.3 µg/ml) at a density of 1×104 cells per well. The cultures were grown at 37°C humidified CO2 incubator for 36 h and then treated with 50, 100, 200 and 300 µM t-BHP for 2.5 h at 37°C. The cytotoxicity of t-BHP in the whole cells culture was determined using an LDH cytotoxicity assay. A toxicity rate of ~35–45% induced by t-BHP at specific concentrations was considered to be an optimal t-BHP-induced oxidative injury model.

Drug treatment

To determine the neuroprotective effects of the four ginsenosides, the cultured NPCs were pre-treated with 0, 0.1, 1, 10 and 100 ìM Rb1, Rg1, Rd or Re, respectively, for 24 h at 37°C, followed by drug washout with 0.01 M PBS. The cells were then treated with 300 ìM t-BHP for another 2.5 h. The cell viability was measured using the LDH assay and further confirmed using a terminal deoxynucleotidyl transferase dUTP nick-end labeling (TUNEL) assay.

TUNEL assay

The free 3-OH DNA ends were detected in situ using an In Situ Cell Death Detection kit, according to the manufacturer's protocol. Briefly, after washing the cells three times with ice-cold PBS, the cells were fixed by incubation with fixation solution (Sigma-Aldrich) for 1 h, followed by incubation with permeabilization solution (Sigma-Aldrich) for 2 min on ice. The fixed cell samples were incubated in the TUNEL reaction medium for 1 h at 37°C in the dark. Following completion of the reaction, the cells were washed using PBS, transferred into 2 µg/ml DAPI solution, and mounted on slides. The number of apoptotic nuclei and the total number of nuclei were determined under a fluorescence microscope (Axio Imager A2; Carl Zeiss AG, Oberkochen, Germany).

Lactate dehydrogenase (LDH) release assay

Cell death in the NPCs was quantified by measuring the release of LDH into the medium. As the enzyme is released from cells with damaged membranes, the efflux of LDH is closely associated with the extent of damage or destruction of the NPCs (27). To confirm cortical NPC injury, the activity of LDH in the medium following oxidative injury was determined using the Cytotoxicity Detection kit, according to the manufacturer's protocol. Briefly, the treated cells were lysed for 45 min at 37°C in PBS supplemented with 1X Triton X-100 (0.1%; Invitrogen; Thermo Fisher Scientific, Inc.), followed by centrifugation at 1,000 × g for 10 min at 37°C. The sample supernatants were transferred to a 96-well enzymatic assay plate and reacted with the substrate mix from the Cytotoxicity Detection kit in the dark for 30 min at room temperature. The absorbance of the samples was measured at 490 nm, according to the filter of the SpectraMaxR M5 Multi-Mode microplate reader (Molecular Devices LLC, Sunnyvale, CA, USA). Each experiment was repeated three times independently.

Immunocytochemical analysis

The P3 NPCs in a single cell suspension were cultured on cover slips, which were coated with PLL/laminin (1:1 ratio), at a density of 1×104 cells/cm2 in a 24-well plate. For differentiation experiments, growth factors were removed from the culture medium and 1% FBS was added. The cultures were allowed to differentiate for up to 5 days.

The cells on the cover slips were then fixed with freshly prepared 4% paraformaldehyde solution in PBS at room temperature for 20 min. Following several washes with 0.01 M PBS, the cells were processed for immunocytochemistry. The following primary antibodies were used to stain the cells: Monoclonal anti-Nestin antibody (1:500) for NPCs; monoclonal anti-Tuj-1 antibody (1:500) for neurons; polyclonal anti-GFAP antibody (1:1,000) for astrocytes; and monoclonal anti-Rip antibody (1:50) for oliogodendrocytes. The cultures were incubated with the primary antibodies in PBS with 1% BSA, 10% normal goat serum and 0.3% Triton X-100 overnight at 4°C. The samples were then washed twice with PBS and incubated in secondary antibody conjugated to fluorescent Alexa 568 or 488 (1:500; Thermo Fisher Scientific, Inc.) for 45 min at room temperature. To visualize the nuclei, the cells were mounted in anti-fade solution containing DAPI for 10 min. The fluorescence images were captured using a fluorescence microscope.

Reverse transcription-quantitative polymerase chain reaction (RT-qPCR) analysis

RT-qPCR was used to evaluate the mRNA expression levels of the antioxidant gene in response to oxidative injury. The cells were pretreated with 10 µM Rb1 for 24 h, after which total RNA was extracted using the RNeasy® Mini kit. The RNA concentrations were determined using a NanoDrop 2000 (Thermo Fisher Scientific, Inc.) with a Qubit® RNA BR Assay kit. Total RNA was reverse transcribed into cDNA using the PrimeScript™ RT Master Mix kit, according to the manufacturer's protocol. Amplifications were performed in duplicate in 20 µl reaction volumes containing 1X SYBR® Premix Ex Taq™ II (Tli RNase H Plus), 0.2 µM of each primer and 2 µl target DNA, to quantitatively detect the gene expression levels of nuclear factor (erythroid-derived 2)-like 2 (Nrf2), heme oxygenase-1 (HO-1), superoxide dismutase 2 (SOD2), NAD(P)H: quinone oxidoreductase 1 (NQO1) and catalase (CAT). The relative expression level of each target gene was normalized to the housekeeping gene, β-actin. All primer sequences used are listed in Table I. Subsequently, qPCR was performed using the 7500 Real-Time PCR system (Applied Biosystems; Thermo Fisher Scientific, Inc.). The reaction conditions were as follows: Initial denaturation at 95°C for 30 sec, followed by 40 cycles of 95°C for 5 sec and 60°C for 34 sec, followed by melting curve analysis. Each sample was assessed in triplicate and the 2−ΔΔCq method was used to analyze the relative transcription data (28).

Table I

Primer sequences for reverse transcription-quantitative polymerase chain reaction analysis.

Table I

Primer sequences for reverse transcription-quantitative polymerase chain reaction analysis.

Target geneDirectionSequenceAssociation no.
β-actinForward 5′-GTCGTACCACTGGCATTCTG-3′NM_031144
Reverse 5′-CTCTCAGCTGTGGTGGTGAA-3′
NRF-2Forward 5′-GCAACTCCAGAAGGAACAGG-3′NM-031789.1
Reverse 5′-CAGTGAGGGGATCGATGAGT-3′
HO-1Forward 5′-TGCTCGCATGAACACTCTG-3′NM_012580.2
Reverse 5′-TCCTCTGTCAGCAGTGCCT
SOD2Forward 5′-GGCCAAGGGAGATGTTACAA-3′NM_001274771
Reverse 5′-GCTTGATAGCCTCCAGCAAC-3′
NQO1Forward 5′-GCCCGGATATTGTAGCTgAA-3′NM_017000.3
Reverse 5′-GTGGTGATGGAAAGCAAGGT-3′
CATForward 5′-TTATGGCCTCCGAGATCTTTTC-3′NM_012520
Reverse 5′-ACCTTGGTCAGGTCAAATGGAT-3′

[i] NRF-2, nuclear factor (erythroid-derived 2)-like 2; HO-1, heme oxygenase-1; SOD2, superoxide dismutase 2; NQO1, NAD(P)H: quinone oxidoreductase 1; CAT, catalase.

Statistical analysis

All data are expressed as the mean ± standard deviation. Statistical analyses were performed using SPSS software, version 17.0 (SPSS, Inc., Chicago, IL, USA). The two-tailed Student's t-test was used to make comparisons between two groups and one-way analysis of variance followed by Tukey's post-hoc test was used to analyze differences among multiple groups. P<0.05 was considered to indicate a statistically significant difference.

Results

Characterization of NPCs

In the presence of the EGF and bFGF mitogens, the majority of cells showed bipolar or multipolar morphology with small cell bodies, and were immunoreactive for Nestin, an effective marker for NPCs (Fig. 1A), confirming that the cells remained in an immature stage. Following replacement of the mitogens with 1% FBS, the NPCs began to differentiate. At day 5 of culture in the differentiating medium, the NPCs had successfully differentiated into Tuj-1-positive neurons (Fig. 1B), GFAP-positive astrocytes (Fig. 1C) and Rip-positive oligodendrocytes (Fig. 1D).

Figure 1

Characterization on NPCs. (A) Image shows P3 NPCs cultured in basic fibroblast factor- and epidermal growth factor-supplemented culture medium. Cells were either bipolar or multipolar with immunoreactivity for Nestin. When cultured in differentiating medium, the NPCs differentiated into (B) β-tubulin III-positive neurons, (C) GFAP-positive astrocytes and (D) Rip-positive oligodendrocytes. Scale bar=150 µm in A; 50 µm in B-D. NPCs, neural progenitor cells; GFAP, glial fibrillary acidic protein; Rip, receptor interacting protein.

Neuroprotective effects of the four ginsenosides on t-BHP-induced cytotoxicity in NPCs

The present study used t-BHP to establish a model of oxidative injury. As shown in Fig. 2A, t-BHP treatment induced cell toxicity in a concentration-dependent manner. The NPCs treated with 50, 100, 200 and 300 µM for 2.5 h exhibited a cytotoxicity rate of 5.43±1.40, 9.07±2.20, 13.13±1.80 and 37.67±2.52%, respectively. As a toxicity rate of 35–45% induced by t-BHP was considered to be an optimal oxidative stress model, the oxidative injury induced by 300 µM t-BHP for 2.5 h was selected for the subsequent experiments to investigating the anti-oxidative effect of the four ginsenosides.

Figure 2

Evaluation of the effects of the Rb1, Rd, Rg1 and Re ginsenosides on t-BHP-induced cytotoxicity in NPCs using LDH assay. (A) Establishment of t-BHP-induced oxidative injury model. (B) LDH assays revealed that pretreatment with 10 µM Rb1 for 24 h significantly reduced oxidative stress on the NPCs. Results are expressed as the mean ± standard deviation (n=4), *P<0.05, vs. control group. LDH assays revealed that pretreatment with (C) Rd, (D) Rg1 and (E) Re at different concentrations showed no anti-oxidative effects on the NPCs. NPCs, neural progenitor cells; t-BHP; tert-Butylhydroperoxide; LDH, lactate dehydrogenase.

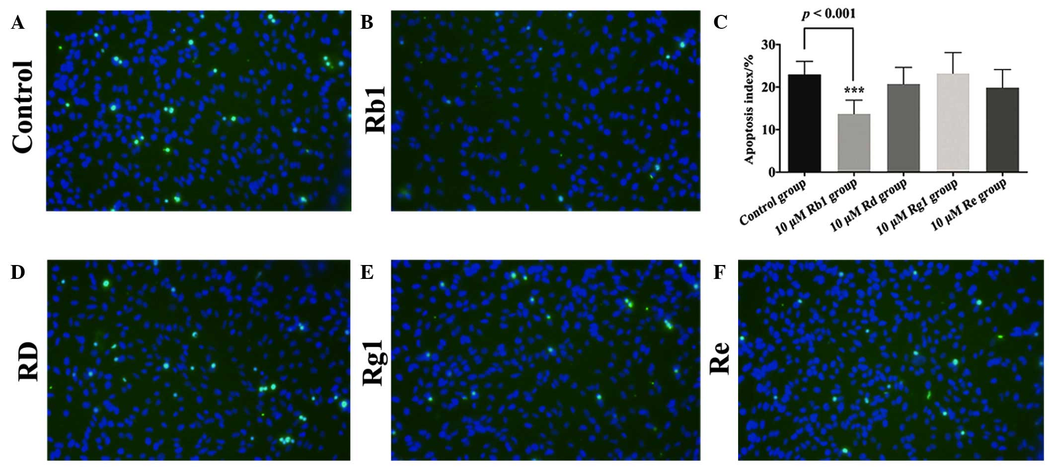
The NPCs were pretreated with different concentrations of Rb1, Rd, Rg1, Re (0.1, 1, 10 and 100 µM) for 24 h, followed by treatment with 300 µM t-BHP for 2.5 h, respectively. Cell viability was measured using an LDH assay and TUNEL staining. The results of the LDH assay suggested that only 10 µM Rb1 showed a protective effect against oxidative stress, with a cytotoxicity rate of 27.5±2.87% in the 10 µM Rb1-pretreated group, compared with 42±5.87% in the control group (P=0.0208; Fig. 2B). Rd, Rg1 and Re had no neurooprotective effects against oxidative injury (Fig. 2C–E). The neuroprotective effects of Rb1 were confirmed by the TUNEL assay, with an apoptotic index of 12.5±2.20% in the 10 µM Rb1-pretreated group, compared with 23±3.02% in the control group (P=0.0003; Fig. 3A–C). The TUNEL staining demonstrated that the remaining three ginsenosides, Rd, Rg1 and Re, exhibited no neuroprotective effects on the NPCs against oxidative injury (Fig. 3D–F).

Figure 3

Pretreatment with 10 µM Rb1 significantly reduces the apoptosis of NPCs induced by t-BHP-cytotoxicity. Representative photomicrographs of TUNEL staining in the (A) control group, (B) 10 µM Rb1-treated group, (C) 10 µM Rd-treated group, (D) 10 µM Rg1-treated group and (E) 10 µM Re-treated group. (F) Quantitative analyses of the TUNEL staining confirmed that the percentage of TUNEL-positive cells was significantly reduced in the 10 µM Rb1-treated group, compared with the control. Cell apoptosis index values are presented as the mean ± standard deviation from six independent experiments. ***P<0.001. Scale bar=200 µm. NPCs, neural progenitor cells; t-BHP; tert-Butylhydroperoxide; TUNEL, terminal deoxynucleotidyl transferase dUTP nick-end labeling.

Rb1 pretreatment activates anti-oxidative genes in cultured NPCs

The present study subsequently investigated the potential mechanism underlying the anti-oxidative effect induced by Rb1. Firstly, the changes in the mRNA expression levels of Nrf2 were measured using RT-qPCR analysis. Nrf2 belongs to the basicleucine zipper family and coordinately upregulates the constitutive and inducible transcription of a wide array of genes involved in drug metabolism, detoxification and antioxidant defenses (29). The mRNA expression level of Nrf2 was increased 2-fold following pretreatment of the cultured NPCs with 10 µM Rb1 for 24 h. However, pretreatment of the NPCs with the other three ginsenosides did not elevate the expression of Nrf2 (Fig. 4A). The mRNA expression levels of the Nrf2-responsive genes, HO-1, SOD2, NQO1 and CAT were then examined. A 1.5-fold increase in the expression of HO-1 was observed in the 10 µM Rb1-pretreated cells, whereas the other three ginsenosides had no effects on the activation of the downstream HO-1, SOD2, NQO1 or CAT genes (Fig. 4B).

Figure 4

mRNA expression levels of Nrf2, HO-1, SOD2, NQO1 and CAT in NPCs following pretreatment with Rb1, Rd, Rg1 and Re. (A) RT-qPCR analysis demonstrated that the expression of Nrf2 was increased 2-fold in NPCs following pre-treatment with 10 µM Rb1 for 24 h, compared with the control, whereas no changes in the expression of Nrf2 were observed following pre-treatment with 10 µM Rd, 10 µM Rg1 or 10 µM Re. (B) RT-qPCR measurement of levels of HO-1, SOD2, NQO1 and CAT in NPCs following pre-treatment with 10 µM Rb1, 10 µM Rd, 10 µM Rg1 and 10 µM Re for 24 h, followed by incubation with 300 µM t-BHP for 2.5 h. Rb1 treatment significantly increased the expression of HO-1, compared with the control group, but did not increase the expression levels of SOD2, NQO1 or CAT. Rd, Rg1 and Re had no effect on the expression levels of HO-1, SOD2, NQO1 or CAT in the NPCs. NPCs, neural progenitor cells; t-BHP; tert-Butylhydroperoxide; Nrf-2, nuclear factor (erythroid-derived 2)-like 2; HO-1, heme oxygenase-1; SOD2, superoxide dismutase 2; NQO1, NAD(P)H: quinone oxidoreductase 1; CAT, catalase; RT-qPCR, reverse transcription-quantitative polymerase chain reaction.

Discussion

Ginseng is reported to have a wide range of therapeutic and pharmacological applications, and has been widely used to treat various diseases and improve health for thousands of years in Asia (7). Accumulating evidence has indicated that ginsenosides are the principle pharmacologically active ingredients of ginseng. An increasing number of studies are being performed to investigate purified ginsenoside alone to examine the mechanism of function of ginseng, rather than using whole ginseng root (30–35). Each ginsenoside is suggested to have distinct effects in pharmacology and distinct mechanisms due to their unique structures (36). At present, ~40 ginsenoside compounds have been identified, among which Rb1, Rd, Rg1 and Re are the most commonly investigated ginsenosides due to their quantitative abundance in ginseng root (9). The present study investigated and compared the neuroprotective effects of four types of ginsenosides on NPCs against oxidative stress. The results showed that only Rb1 exhibited a protective effect on the NPCs, whereas the Rd, Rg1 and Re ginsenosides exhibited no protective effects towards NPCs under oxidative stress.

Oxidative stress is defined as the general principle of imbalance between the formation and detoxification of ROS. When not sufficiently scavenged, these small molecules may cause DNA damage, or mutations and lipid peroxidation, leading to membrane damage (37). Substantial evidence has indicated that oxidative stress is a major contributor to the pathophysiology of a variety of neurodegenerative disorders, including Alzheimer's disease, Parkinson's disease and acute CNS injuries, including spinal cord injury and traumatic brain injury (2,38,39). Ginsenosides have been confirmed to exert protective effects, attributed to their antioxidant ability through increasing internal antioxidant enzymes and acting as a free-radical scavenger (40–42). It has been suggested that the administration of 100 or 200 mg/kg/day of ginsenosides through drinking water improves memory loss in senescence accelerated (SAMP8) mice, and increases serum antioxidant levels (43).

The association between the structure of ginsenoside and its anti-oxidative or pro-oxidative activity has been investigated in free radical-induced hemolysis of human erythrocytes (44,45). The exact mechanisms underlying the differences in protective effects of ginsenosides on NPCs against oxidative stress remain to be elucidated. A number of studies have suggested that Rb1 has beneficial effects in the treatment of oxidative stress (46–51). The present study also demonstrated that pretreatment with Rb1 significantly protected NPCs against oxidative injury, and upregulated Nrf2 and its downstream antioxidant-responsive gene, HO-1. It is generally considered that the activation of the Nrf2 may further upregulate the transcription of multiple antioxidant response element (ARE)-controlled genes, and finally initiate the expression of a variety of antioxidant enzymes and phase II drug-metabolizing enzymes (52,53). HO-1, which belongs to the heat shock protein family, is an inducible enzyme, which catalyzes the first and rate-limiting step in oxidative degradation (54). Evidence has indicated the critical role of HO-1 and its enzymatic by-products in anti-inflammation, anti-oxidation, and more diverse biological functions (55,56).

The mechanism underlying the response of the Nrf2/HO-1 signaling pathway to oxidative stress on NPCs by pretreatment with Rb1 is shown in Fig. 5. Under homeostatic conditions, Nrf2 signaling is repressed by Kelch-like ECH-associated protein 1 (Keap1), which has been identified as a Cullin3-dependent substrate adaptor protein. Nrf2 is found to bind to Keap1 and be sequestered in the cytoplasm, where it is ubiquitinated and subsequently degraded (57). When treated with ginsenoside Rb1, Nrf2 is activated and triggered to translocate into the nucleus, where it elicits a series of anti-oxidative responses. A complex, which consists of Nrf2 protein, a group of small musculoaponeurotic fibrosarcoma proteins and a cis-acting enhancer, ARE, is then formed, which is essential for the anti-oxidative response to cell injury induced by t-BHP by activating the transcription of the downstream anti-oxidative gene, HO-1 (58,59).

Figure 5

Suggested mechanisms underlying the cellular responses to oxidative injury and protective effects of Rb1 pre-treatment via the Nrf2/HO-1 signaling pathways. Keap1, kelch-like ECH-associated protein1; Maf, musculoaponeurotic fibrosarcoma; ARE, antioxidant response element; CAT, catalase; HO-1, heme oxygenase-1; Nrf2, nuclear factor (erythroid-derived 2)-like 2; NQO1, NAD(P)H dehydrogenase (quinone 1); SOD2, superoxide dismutase 2; CUL3, cullin 3.

The present study provided an overview on the pharmacological activity of ginsenoside Rb1, Rd, Rg1 and Re, in terms of the neuroprotective effects on NPCs against oxidative injury. Only Rb1 was shown to have protective effects, by activating Nrf2/HO-1 pathway, in an experimental model of oxidative injury, whereas Rd, Rg1 and Re had no protective effects on the NPCs against oxidative injury. Future investigations are warranted to further examine the mechanisms underlying the protective actions of ginsenoside Rb1 against oxidative injury, and to investigate the therapeutic potential of Rb1 in animal models.

Acknowledgments

The present study was supported by a multi-year research grant from the University of Macau [grant nos. MYRG122 (Y1-L3)-ICMS12-SHX and MYRG110 (Y1-L2)-ICMS13-SHX], a matching project grant (grant no. MRG003/SHX/2014/ICMS) and the Macao Science and Technology Development Fund (grant no. 018/2013/A1).

Abbreviations:

Keap1

kelch-like ECH-associated protein1

ARE

antioxidant response element

CAT

catalase

HO-1

heme oxygenase-1

LDH

lactate dehydrogenase

Nrf2

nuclear factor (erythroid-derived 2)-like 2

NQO1

NAD(P)H dehydrogenase (quinone 1)

SOD2

superoxide dismutase2

PLL

Poly-l-lysine

RT-qPCR

reverse transcription-quantitative polymerase chain reaction

t-BHP

tert-Butylhydroperoxide

CNS

central nervous system

NPCs

neural progenitor cells

BrdU

5-Bromo-2-deoxyuridine

TUNEL

terminal deoxynucleotidyl transferase dUTP nick-end labeling

GFAP

glial fibrillary acidic protein

References

1 

Pei JJ, Giron MS, Jia J and Wang HX: Dementia studies in Chinese populations. Neurosci Bull. 30:207–216. 2014. View Article : Google Scholar : PubMed/NCBI

2 

Radi E, Formichi P, Battisti C and Federico A: Apoptosis and oxidative stress in neurodegenerative diseases. J Alzheimers Dis. 42(Suppl 3): S125–S152. 2014.PubMed/NCBI

3 

Ghaffari H, Venkataramana M, Jalali Ghassam B, Chandra Nayaka S, Nataraju A, Geetha NP and Prakash HS: Rosmarinic acid mediated neuroprotective effects against HO-induced neuronal cell damage in N2A cells. Life Sci. 113:7–13. 2014. View Article : Google Scholar : PubMed/NCBI

4 

Surh YJ: Cancer chemoprevention with dietary phytochemicals. Nat Rev Cancer. 3:768–780. 2003. View Article : Google Scholar : PubMed/NCBI

5 

Diao Y, Lin XM, Liao CL, Tang CZ, Chen ZJ and Hu ZL: Authentication of Panax ginseng from its adulterants by PCR-RFLP and ARMS. Planta Med. 75:557–560. 2009. View Article : Google Scholar : PubMed/NCBI

6 

Qin JH, Leung FC, Fung Y, Zhu D and Lin B: Rapid authentication of ginseng species using microchip electrophoresis with laser-induced fluorescence detection. Anal Bioanal Chem. 381:812–819. 2005. View Article : Google Scholar : PubMed/NCBI

7 

Lu JM, Yao Q and Chen C: Ginseng compounds: An update on their molecular mechanisms and medical applications. Curr Vasc Pharmacol. 7:293–302. 2009. View Article : Google Scholar : PubMed/NCBI

8 

Rausch WD, Liu S, Gille G and Radad K: Neuroprotective effects of ginsenosides. Acta Neurobiol Exp (Wars). 66:369–375. 2006.

9 

Liu ZQ: Chemical insights into ginseng as a resource for natural antioxidants. Chem Rev. 112:3329–3355. 2012. View Article : Google Scholar : PubMed/NCBI

10 

Ru W, Wang D, Xu Y, He X, Sun YE, Qian L, Zhou X and Qin Y: Chemical constituents and bioactivities of Panax ginseng (C. A. Mey.). Drug Discov Ther. 9:23–32. 2015. View Article : Google Scholar : PubMed/NCBI

11 

Zhang YF, Fan XJ, Li X, Peng LL, Wang GH, Ke KF and Jiang ZL: Ginsenoside Rg1 protects neurons from hypoxic-ischemic injury possibly by inhibiting Ca2+ influx through NMDA receptors and L-type voltage-dependent Ca2+ channels. Eur J Pharmacol. 586:90–99. 2008. View Article : Google Scholar : PubMed/NCBI

12 

Ni N, Liu Q, Ren H, Wu D, Luo C, Li P, Wan JB and Su H: Ginsenoside Rb1 protects rat neural progenitor cells against oxidative injury. Molecules. 19:3012–3024. 2014. View Article : Google Scholar : PubMed/NCBI

13 

Chen Z, Lu T, Yue X, Wei N, Jiang Y, Chen M, Ni G, Liu X and Xu G: Neuroprotective effect of ginsenoside Rb1 on glutamate-induced neurotoxicity: With emphasis on autophagy. Neurosci Lett. 482:264–268. 2010. View Article : Google Scholar : PubMed/NCBI

14 

Luo T, Liu G, Ma H, Lu B, Xu H, Wang Y, Wu J, Ge P and Liang J: Inhibition of autophagy via activation of PI3K/Akt pathway contributes to the protection of ginsenoside Rb1 against neuronal death caused by ischemic insults. Int J Mol Sci. 15:15426–15442. 2014. View Article : Google Scholar : PubMed/NCBI

15 

Liu J, He J, Huang L, Dou L, Wu S and Yuan Q: Neuroprotective effects of ginsenoside Rb1 on hippocampal neuronal injury and neurite outgrowth. Neural Regen Res. 9:943–950. 2014. View Article : Google Scholar : PubMed/NCBI

16 

Hashimoto R, Yu J, Koizumi H, Ouchi Y and Okabe T: Ginsenoside Rb1 Prevents MPP(+)-Induced Apoptosis in PC12 Cells by Stimulating Estrogen Receptors with Consequent Activation of ERK1/2, Akt and Inhibition of SAPK/JNK, p38 MAPK. Evid Based Complement Alternat Med. 2012:6937172012. View Article : Google Scholar : PubMed/NCBI

17 

Ye R, Yang Q, Kong X, Han J, Zhang X, Zhang Y, Li P, Liu J, Shi M, Xiong L and Zhao G: Ginsenoside Rd attenuates early oxidative damage and sequential inflammatory response after transient focal ischemia in rats. Neurochem Int. 58:391–398. 2011. View Article : Google Scholar

18 

Leung KW, Yung KK, Mak NK, Chan YS, Fan TP and Wong RN: Neuroprotective effects of ginsenoside-Rg1 in primary nigral neurons against rotenone toxicity. Neuropharmacology. 52:827–835. 2007. View Article : Google Scholar

19 

Fang F, Chen X, Huang T, Lue LF, Luddy JS and Yan SS: Multi-faced neuroprotective effects of Ginsenoside Rg1 in an Alzheimer mouse model. Biochim Biophys Acta. 1822:286–292. 2012. View Article : Google Scholar :

20 

Xu BB, Liu CQ, Gao X, Zhang WQ, Wang SW and Cao YL: Possible mechanisms of the protection of ginsenoside Re against MPTP-induced apoptosis in substantia nigra neurons of Parkinson's disease mouse model. J Asian Nat Prod Res. 7:215–224. 2005. View Article : Google Scholar

21 

Leipzig ND, Wylie RG, Kim H and Shoichet MS: Differentiation of neural stem cells in three-dimensional growth factor-immobilized chitosan hydrogel scaffolds. Biomaterials. 32:57–64. 2011. View Article : Google Scholar

22 

Gage FH: Mammalian neural stem cells. Science. 287:1433–1438. 2000. View Article : Google Scholar : PubMed/NCBI

23 

Alvarez-Buylla A and Garcia-Verdugo JM: Neurogenesis in adult subventricular zone. J Neurosci. 22:629–634. 2002.PubMed/NCBI

24 

Reynolds BA and Weiss S: Generation of neurons and astrocytes from isolated cells of the adult mammalian central nervous system. Science. 255:1707–1710. 1992. View Article : Google Scholar : PubMed/NCBI

25 

Su HX, Zhang W, Guo J, Guo A, Yuan Q and Wu W: Neural progenitor cells enhance the survival and axonal regeneration of injured motoneurons after transplantation into the avulsed ventral horn of adult rats. J Neurotrauma. 26:67–80. 2009. View Article : Google Scholar : PubMed/NCBI

26 

Kučera O, Endlicher R, Roušar T, Lotková H, Garnol T, Drahota Z and Cervinková Z: The effect of tert-butyl hydroperoxide-induced oxidative stress on lean and steatotic rat hepatocytes in vitro. Oxid Med Cell Longev. 2014:7525062014. View Article : Google Scholar

27 

Koh JY and Choi DW: Quantitative determination of glutamate mediated cortical neuronal injury in cell culture by lactate dehydrogenase efflux assay. J Neurosci Methods. 20:83–90. 1987. View Article : Google Scholar : PubMed/NCBI

28 

Livak KJ and Schmittgen TD: Analysis of relative gene expression data using real-time quantitative PCR and the 2−ΔΔCt method. Methods. 25:402–408. 2001. View Article : Google Scholar

29 

Aueviriyavit S, Phummiratch D and Maniratanachote R: Mechanistic study on the biological effects of silver and gold nanoparticles in Caco-2 cells-induction of the Nrf2/HO-1 pathway by high concentrations of silver nanoparticles. Toxicol Lett. 224:73–83. 2014. View Article : Google Scholar

30 

Buettner C, Yeh GY, Phillips RS, Mittleman MA and Kaptchuk TJ: Systematic review of the effects of ginseng on cardiovascular risk factors. Ann Pharmacother. 40:83–95. 2006. View Article : Google Scholar

31 

Gillis CN: Panax ginseng pharmacology: A nitric oxide link? Biochem Pharmacol. 54:1–8. 1997. View Article : Google Scholar : PubMed/NCBI

32 

Hofseth LJ and Wargovich MJ: Inflammation, cancer and targets of ginseng. J Nutr. 137(Suppl 1): 183S–185S. 2007.

33 

Attele AS, Wu JA and Yuan CS: Ginseng pharmacology: Multiple constituents and multiple actions. Biochem Pharmacol. 58:1685–1693. 1999. View Article : Google Scholar : PubMed/NCBI

34 

Zhou W, Chai H, Lin PH, Lumsden AB, Yao Q and Chen CJ: Molecular mechanisms and clinical applications of ginseng root for cardiovascular disease. Med Sci Monit. 10:RA187–RA192. 2004.PubMed/NCBI

35 

Cheng Y, Shen LH and Zhang JT: Anti-amnestic and anti-aging effects of ginsenoside Rg1 and Rb1 and its mechanism of action. Acta Pharmacol Sin. 26:143–149. 2005. View Article : Google Scholar : PubMed/NCBI

36 

Murthy HN, Georgiev MI, Kim YS, Jeong CS, Kim SJ and Park SY: Ginsenosides: Prospective for sustainable biotechnological production. Appl Microbiol Biotechnol. 98:6243–6254. 2014. View Article : Google Scholar : PubMed/NCBI

37 

Alfadda AA and Sallam RM: Reactive oxygen species in health and disease. J Biomed Biotechnol. 2012:9364862012. View Article : Google Scholar : PubMed/NCBI

38 

Smith JA, Park S, Krause JS and Banik NL: Oxidative stress, DNA damage and the telomeric complex as therapeutic targets in acute neurodegeneration. Neurochem Int. 62:764–775. 2013. View Article : Google Scholar : PubMed/NCBI

39 

Fernández-Gajardo R, Matamala JM, Carrasco R, Gutiérrez R, Melo R and Rodrigo R: Novel therapeutic strategies for traumatic brain injury: Acute antioxidant reinforcement. CNS Drugs. 28:229–248. 2014. View Article : Google Scholar : PubMed/NCBI

40 

Xie JT, Shao ZH, Hoek TL, Chang WT, Li J, Mehendale S, Wang CZ, Hsu CW, Becker LB, Yin JJ and Yuan CS: Antioxidant effects of ginsenoside Re in cardiomyocytes. Eur J Pharmacol. 532:201–207. 2006. View Article : Google Scholar : PubMed/NCBI

41 

Lim JH, Wen TC, Matsuda S, Tanaka J, Maeda N, Peng H, Aburaya J, Ishihara K and Sakanaka M: Protection of ischemic hippocampal neurons by ginsenoside Rb1, a main ingredient of ginseng root. Neurosci Res. 28:191–200. 1997. View Article : Google Scholar : PubMed/NCBI

42 

Tian J, Fu F, Geng M, Jiang Y, Yang J, Jiang W, Wang C and Liu K: Neuroprotective effect of 20(S)-ginsenoside Rg3 on cerebral ischemia in rats. Neurosci Lett. 374:92–97. 2005. View Article : Google Scholar : PubMed/NCBI

43 

Zhao H, Li Q, Zhang Z, Pei X, Wang J and Li Y: Long-term ginsenoside consumption prevents memory loss in aged SAMP8 mice by decreasing oxidative stress and up-regulating the plasticity-related proteins in hippocampus. Brain Res. 1256:111–122. 2009. View Article : Google Scholar : PubMed/NCBI

44 

Liu ZQ, Luo XY, Liu GZ, Chen YP, Wang ZC and Sun YX: In vitro study of the relationship between the structure of ginsenoside and its antioxidative or prooxidative activity in free radical induced hemolysis of human erythrocytes. J Agric Food Chem. 51:2555–2558. 2003. View Article : Google Scholar : PubMed/NCBI

45 

Liu ZQ, Luo XY, Sun YX, Chen YP and Wang ZC: Can ginsenosides protect human erythrocytes against free-radical-induced hemolysis? Biochim Biophys Acta. 1572:58–66. 2002. View Article : Google Scholar : PubMed/NCBI

46 

Liu D, Zhang H, Gu W, Liu Y and Zhang M: Neuroprotective effects of ginsenoside Rb1 on high glucose-induced neurotoxicity in primary cultured rat hippocampal neurons. PLoS One. 8:e793992013. View Article : Google Scholar : PubMed/NCBI

47 

Liu Z, Chen J, Huang W, Zeng Z, Yang Y and Zhu B: Ginsenoside Rb1 protects rat retinal ganglion cells against hypoxia and oxidative stress. Mol Med Rep. 8:1397–1403. 2013.PubMed/NCBI

48 

Tan SJ, Yu Z and Dong QT: Effects of ginsenoside Rb1 on the oxidative stress in the skeletal muscles of rats with postoperative fatigue syndrome. Zhongguo Zhong Xi Yi Jie He Za Zhi. 32:1535–1538. 2012.In Chinese.

49 

Wu Y, Xia ZY, Dou J, Zhang L, Xu JJ, Zhao B, Lei S and Liu HM: Protective effect of ginsenoside Rb1 against myocardial ischemia/reperfusion injury in streptozotocin-induced diabetic rats. Mol Biol Rep. 38:4327–4335. 2011. View Article : Google Scholar

50 

Migliore L and Coppedè F: Environmental-induced oxidative stress in neurodegenerative disorders and aging. Mutat Res. 674:73–84. 2009. View Article : Google Scholar

51 

Li J, O W, Li W, Jiang ZG and Ghanbari HA: Oxidative stress and neurodegenerative disorders. Int J Mol Sci. 14:24438–24475. 2013. View Article : Google Scholar : PubMed/NCBI

52 

Xie Y, Zhao QY, Li HY, Zhou X, Liu Y and Zhang H: Curcumin ameliorates cognitive deficits heavy ion irradiation-induced learning and memory deficits through enhancing of Nrf2 antioxidant signaling pathways. Pharmacol Biochem Behav. 126:181–186. 2014. View Article : Google Scholar : PubMed/NCBI

53 

Li W and Kong AN: Molecular mechanisms of Nrf2-mediated antioxidant response. Mol Carcinog. 48:91–104. 2009. View Article : Google Scholar :

54 

Li B, Choi HJ, Lee DS, Oh H, Kim YC, Moon JY, Park WH, Park SD and Kim JE: Amomum tsao-ko Suppresses lipopoly-saccharide-induced inflammatory responses in RAW264.7 macrophages via Nrf2-dependent heme oxygenase-1 expression. Am J Chin Med. 42:1229–1244. 2014. View Article : Google Scholar

55 

Was H, Dulak J and Jozkowicz A: Heme oxygenase-1 in tumor biology and therapy. Curr Drug Targets. 11:1551–1570. 2010. View Article : Google Scholar : PubMed/NCBI

56 

Wu ML, Ho YC, Lin CY and Yet SF: Heme oxygenase-1 in inflammation and cardiovascular disease. Am J Cardiovasc Dis. 1:150–158. 2011.

57 

Tkachev VO, Menshchikova EB and Zenkov NK: Mechanism of the Nrf2/Keap1/ARE signaling system. Biochemistry (Mosc). 76:407–422. 2011. View Article : Google Scholar

58 

Zenkov NK, Menshchikova EB and Tkachev VO: Keap1/Nrf2/ARE redox-sensitive signaling system as a pharmacological target. Biochemistry (Mosc). 78:19–36. 2013. View Article : Google Scholar

59 

Dinkova-Kostova AT, Holtzclaw WD and Kensler TW: The role of Keap1 in cellular protective responses. Chem Res Toxicol. 18:1779–1791. 2005. View Article : Google Scholar : PubMed/NCBI

Related Articles

  • Abstract
  • View
  • Download
  • Twitter
Copy and paste a formatted citation
Spandidos Publications style
Ye J, Yao JP, Wang X, Zheng M, Li P, He C, Wan JB, Yao X and Su H: Neuroprotective effects of ginsenosides on neural progenitor cells against oxidative injury. Mol Med Rep 13: 3083-3091, 2016.
APA
Ye, J., Yao, J., Wang, X., Zheng, M., Li, P., He, C. ... Su, H. (2016). Neuroprotective effects of ginsenosides on neural progenitor cells against oxidative injury. Molecular Medicine Reports, 13, 3083-3091. https://doi.org/10.3892/mmr.2016.4914
MLA
Ye, J., Yao, J., Wang, X., Zheng, M., Li, P., He, C., Wan, J., Yao, X., Su, H."Neuroprotective effects of ginsenosides on neural progenitor cells against oxidative injury". Molecular Medicine Reports 13.4 (2016): 3083-3091.
Chicago
Ye, J., Yao, J., Wang, X., Zheng, M., Li, P., He, C., Wan, J., Yao, X., Su, H."Neuroprotective effects of ginsenosides on neural progenitor cells against oxidative injury". Molecular Medicine Reports 13, no. 4 (2016): 3083-3091. https://doi.org/10.3892/mmr.2016.4914
Copy and paste a formatted citation
x
Spandidos Publications style
Ye J, Yao JP, Wang X, Zheng M, Li P, He C, Wan JB, Yao X and Su H: Neuroprotective effects of ginsenosides on neural progenitor cells against oxidative injury. Mol Med Rep 13: 3083-3091, 2016.
APA
Ye, J., Yao, J., Wang, X., Zheng, M., Li, P., He, C. ... Su, H. (2016). Neuroprotective effects of ginsenosides on neural progenitor cells against oxidative injury. Molecular Medicine Reports, 13, 3083-3091. https://doi.org/10.3892/mmr.2016.4914
MLA
Ye, J., Yao, J., Wang, X., Zheng, M., Li, P., He, C., Wan, J., Yao, X., Su, H."Neuroprotective effects of ginsenosides on neural progenitor cells against oxidative injury". Molecular Medicine Reports 13.4 (2016): 3083-3091.
Chicago
Ye, J., Yao, J., Wang, X., Zheng, M., Li, P., He, C., Wan, J., Yao, X., Su, H."Neuroprotective effects of ginsenosides on neural progenitor cells against oxidative injury". Molecular Medicine Reports 13, no. 4 (2016): 3083-3091. https://doi.org/10.3892/mmr.2016.4914
Follow us
  • Twitter
  • LinkedIn
  • Facebook
About
  • Spandidos Publications
  • Careers
  • Cookie Policy
  • Privacy Policy
How can we help?
  • Help
  • Live Chat
  • Contact
  • Email to our Support Team